H29年 12月 18日 バトルフィッシング2017年 忘年会


愛媛からバンジーとSyachoが、駆けつけ
忘年会スタートです^^
2018年から入会が決まった白石さんこと
sheila(シーラ)が新規入会。さらに
てっちゃんの息子も入会です。次回ご紹介します。



H29年 12月 13日 八丈島 軍艦堤防


昨日は台風のような悪天候で釣り出来ず
少し落ち着いてきたので今日も軍艦に
他に何処も出来る所が無いからか
大混雑の軍艦堤防です。
先端は横風でやりづらいので、もりねの
独り占めです^^。けど飛ばないって
(( ´ ∀ ` ))ケラケラ
直ぐに諦めて休憩に入るもりね^^
強風だわ寒いわで、遊んでます^^ 八丈富士をバックにパシャリ!!
これで納竿です。また来年^^
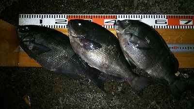
今日も一枚ワサをゲットして今回の3日間の
釣果はこんな感じでした^^
東京に戻り、早速釣ってきた魚でかんぱ~~い^^



H29年 12月 11日 八丈島 軍艦堤防


西風強風でしかも小雨です・・・。
すると晴れ間と同時に虹が・・・・。
こんな遊びを^^
虹ビーム~~^^
先端でもりねがカゴ釣りしてます 自分とゆみの氏は底物釣り
アタリはあるも食い込まない時間が続きます・・・ ゆみの氏は約半年ぶりの釣り^^
先端に遅れてやって来たのは・・・。
(* ´ΨΨ` )クスクス
黒鰓会の真由美さんです^^
この日の釣果はこんな感じ^^
ワサ2枚にカイワリ1枚^^
もりね、今年最後の大物とのやり取り^^



H29年 12月 10日 八丈島 南原


今年最後の釣りです
2便到着後早速南原へ
エサ取りも少なく、いい感じですが
型は出ないが数は出ました。 こんな外道まで~~^^
嬉しい外道です^^



H29年 11月 27日 福岡県 宗像大島(ゴトウセ)


初めての福岡での釣り^^
ライブで福岡入りしていた、バンジー達と
朝方まで仕事をしていたとは思えないくらい
元気なバンジー^^
船酔いが心配だったけど、ほぼ湖で全く平気^^ どこの磯に釣れて行ってくれるのか?
完全に船長任せ^^
宗像大島が見えてきた~~^^ 良い感じの磯がいっぱいある^^
皆さん各々の磯を選択し、船長と相談している
自分たちは初めてなので全てお任せ^^
凄いトコ乗るなぁ~~~^^
トイレ出来ないじゃんと思うもりね^^
段々デカイ磯場が出てきた・・・。
ここら辺は良型の本石が数釣れるとの事
石物も次回準備してくるかな^^
で、降ろされた磯がココ^^
「ゴトウセ」って言うらしいが漢字がわからん^^;;
各々に場所取りして^^
釣り開始です。
このサイズは入れ食い・・・。
コッパの下に良型も見えます
自分はどうしても黒鯛が釣りたかったので
重い仕掛けでさなぎをエサに^^
やりました^^
Syachoは相変わらずコッパに苦戦!! 徐々にサイズは上がってきたが・・・
もりねもバンジーもコッパの入れ食いです
自分はさらにもう一枚黒鯛追加して終了です。 「ゴトウセ」の全体写真です^^
さらば「ゴトウセ」!!さらば宗像大島^^ 船酔いもなく^^ご機嫌です^^
Syachoとバンジー^^お疲れ様でした^^ 船に乗ってこの表情・・・^^
八丈島ではありえない^^
また機会が有れば来たいな~~^^ 島への定期便だそうです^^
福岡の街に戻り、お寿司屋さんで
釣った魚を料理してもらった^^
針を飲み込んで死んでしまった魚は
ちゃんと頂きました^^
動画1 動画2
動画3 動画4



H29年 11月 09日 八丈島 藍ヶ江港


最終日は藍ヶ江港にて挑戦。
しかし、うねりがきつい!!
先端ではもりねがカゴ釣り。
全然、食ってこないとの事・・・。
(´;ω;`)ウゥゥ
たにやんも諦めずに頑張っているが・・・。
段々と人が増えてきた~
けど誰も釣れることなく終了です。
東京に戻り魚八千住店で、釣ったカイワリを
美味しく頂きました^^



H29年 11月 08日 八丈島 南原


堤防を見切り、夕方狙いで再び南原へ^^ 状況は前日と変わらずです^^
良い感じなんだけど^^
北条君登場~~^^ デカイの来るか~~^^
たにやんは疲れて休憩^^ 今日の釣果こんな感じ^^
美味しく頂きます^^



H29年 11月 08日 八丈島 八重根低堤防


さすがに昼間のフカセは難しいと思い堤防に・・・
でかいシマアジを狙う、古河原さん^^
おっと古河原さんヒット!!・・・
しか~~し、犯人は超デカイ、「さんちゃん」^^
自分とたにやんは底物狙ってみた^^ カゴ釣りをしているもりね^^
コンスタントにカイワリとサビレをゲット^^
一時入れ食い状態に^^
楽しそうなもりね^^
これはデカイ!!^^記録魚ですね^^
釣れない「たにやん」^^;; しかし、この後、たにやんと自分に2kgのワサが
1枚づつヒット!!^^



H29年 11月 07日 八丈島 南原


まだフカセには早いかな~~^^
夕方狙いで様子見^^
思ったよりエサ取りも少なく、期待できそう
たにやんはミャク釣りで大物狙い^^ 釣果はこんな感じ^^メジナは型が出ないけど
ショゴにカイワリに遊んでもらった^^



H29年 10月 27日 城ケ島 居島新堤防


一年ぶりの夜釣りに城ケ島まで来ました^^ すでに朝から渡船している石物師がいます。
何やら釣れた様子です^^
今回初めて連れて来た、若手芸人の「やす」^^
ますはカワハギ釣りを教えて挑戦
夕日が綺麗だよとやすに言うと
携帯でパシャリ!!
夕日と富士山のツーショット
右の方に富士山が見えます^^
カワハギは釣れないが、こんな珍客が^^
沖縄では普通に食べるようですが・・・
こっちでは食べません^^
アカハタの稚魚をゲット^^
さすがに放流です^^
いよいよ夜に突入!!
もりねも真鯛、黒鯛を狙います。
電気うきで手前から徐々に狙っていきます。 やすは、良型のメバル狙い^^
ビクビク来ます!!と興奮するやす^^ 最後に記念写真をパシャリ!!
今日の釣果はこんな感じです^^
真鯛・黒鯛は出ませんでしたが
美味しい刺身でかんぱ~~い^^
楽しかった~~
やすも大満足です^^



H29年 10月 11日 八丈島 八重根低堤防


次の日も再び石物釣りです
こちらは宙釣り・・・
こちらはぶっこみ釣りです^^
果たして今日はどっちに掛かってくるか^^
前日のシマアジラッシュの情報が
伝わったかな^^
徐々に人が増えてきました。^^
左宙吊り、右ぶっこみ^^ しかし暑い!!^^夏です^^
BTFのTシャツが^^ 北条君です^^シマアジゲットの為
頑張ってくれてます^^
良い感じで海もザワザワしてます^^
来るか!!
今日は何故か宙釣りが調子よく
竿が良く入ります^^
シマアジは前日の漁の影響か
全然釣れません。
夕方まで皆さん粘っていましたが
全然釣れませんでした・・・。(´;ω;`)ウゥゥ
今日の自分の釣果はこんな感じで
3枚です。すべて宙釣りでした^^



H29年 10月 10日 八丈島 八重根低堤防


久しぶりの石物釣り^^
左が宙釣り、右がぶっこみ釣りです
どっちが有利か・・・。
宙釣りは頻繁に当たりますが食いこまず
ぶっこみは良い感じで竿が入ります。 シマアジ狙いのカゴ師達で堤防は賑わいます。^^
魚八亭の中村店長もシマアジ狙いです。
青い人^^しかし全然釣れません^^
中村店長が諦めて、帰った途端に
シマアジラッシュが・・・。
すると漁船が近づいてきて、漁が・・・・
皆、ショックが隠せない・・・
石物は何とかぶっこみの方で2枚ゲットです^^



H29年 09月 15日 城ケ島居島新堤防


久しぶりに城ケ島へ^^
今日の本命はカワハギ^^
新堤防へ上陸!!先端で狙うことに^^
しかし、もりねはフカセ・・。(´;ω;`)ウゥゥ
慎ちゃんもフカセ(´;ω;`)ウゥゥ
みんな、カワハギ釣ろうよ~~^^
沖目を狙ったり・・・。
足元狙ったり・・・。 ん??なにか見つけたか???
で、やりました~~^^新堤防では
デカイ方ですよ^^
今回はエサ取りも少ない状況でしたが
メジナが全然見えず、練りエサで黒鯛狙うと
アイゴの攻撃でした。
渋い状況でしたが、なんとかカワハギ他ゲット
城ヶ島では、初のアカハタもゲットです^^



H29年 07月 10日 沖縄県那覇市 一文字堤防


沖縄在住の明日香ちゃん
初の釣り体験をしたいとの事で・・・。
Syacho、気合十分^^
果たして何を釣るのか^^
各々に竿を出します^^
ここは北の離れです^^
初心者でも釣り易い、同付き3本ハリで
明日香ちゃん挑戦^^
バンジーはサビキ釣りでグルクン狙い 段々コツを掴み、当たりが分かるようになり
必死に合わせてます^^
社長はフカセでイラブチャー狙いです で、最初に釣り上げたのは明日香ちゃん^^
これはメギスとかいう魚^^
また釣れました^^
もう合わせのタイミングばっちり^^
これは沖縄でも珍しい、アカメモドキ
どんどん釣り上げます^^
これはハコフグ^^
でもって、モンガラカワハギ
暑さで耐え切れず、昼に撤収しました^^
屋根にも乗れて最高~~^^
バンジーもグルクンを釣り上げ楽しかった様子^^
Syachoは数回でかいのに切られ悔しそう~~^^ ビギナーズラックで爆釣だった明日香ちゃん^^
すっかり釣りにハマった様子です^^
明日も釣りする予定でいたが
暑さが激しくやめました^^
夜は釣った魚で晩酌です^^
これは自分が釣ったカスミアジです。
アカメモドキのガーリック揚げ モンガラとイスズミのマース煮
沖縄は何故かイスズミも臭くない^^



H29年 06月 23日 城ヶ島 居島新堤防


カワハギが食べたいな~と思い
来ちゃいました^^城ヶ島
まだAM4:00過ぎなのにもうこんなに明るい
フカセにカゴに石物に同付きにと
揃えたら凄い荷物に・・・・。
谷やんカゴに挑戦中。
狙いは真鯛
一緒に乗った方、久しぶりの
新堤防らしいです。
奥から石物2本にカワハギ2本
昔と比べてだいぶ状況が変わってしまった
テトラがだいぶ散らばっている。
広くなった新堤防は非常に釣りしやすい環境に
もりねはフカセ一筋^^ 谷やんはカゴにハマった様子
で、本日の釣果・・・。(´;ω;`)ウゥゥ
水温下がったとの事
思った以上に釣れなかったが、やはり新堤防は楽しい^^
拓ちゃんが迎えに・・・^^
お世話になります^^
さらば新堤防^^
また来るよ^^
磯場の人の多さにびっくりしているもりね
平日なのに・・
見えますか?磯場はたくさんの釣り人が^^
魚八亭千住店にて、おいしいカワハギを^^ いや~~格別にうまい^^



H29年 06月 06日 八丈島 アシオレ


オダッチが合流。オダッチはアカバ狙い イカを付けてフカセをしてみた・・。すると
ショゴが入れ食いに・・・(* ´ΨΨ` )クスクス メジナが居ない
オダッチも楽し気・・。
頻繁に当たるらしい^^
竿が折れるので木村君にタモ入れしてもらい
興奮気味のオダッチ
で、食ってきたのがコイツ^^
八丈島あるあるのヒラタエイ
めっちゃ嬉しそう~~^^
どうすんのコレ??
食うの??
フカセがあまりに釣れないので木村君に
竿を渡して、自分もアカバ狙いに^^
食わない・・・。
アカバが食いたい・・・。(´;ω;`)ウゥゥ
すると魚八亭中村店長登場
すかさず、キシハタゲーム開始して数分後
良型のアカバゲット^^さんきゅ~~^^



H29年 06月 05日 八丈島 アシオレ


南伊豆から直ぐに八丈島へ^^
水温が高くエサ取りが凄いのかと思いきや・・・。
エサを取られない事も多数。
それほどエサ取りも多くは無いがメジナも居ない



H29年 06月 03日 南伊豆 大瀬 第五回キザクラ伊豆懇親大会


申込みを済ませ、大会説明を聞きます^^ 抽選で決められた番号順に荷物を船に
載せていきます^^
いざ!出発です^^
果たしてどこの磯に乗れるか^^
船は満員^^バンジーも手すりに掴まり^^
地磯周りの沖磯へ
まだ、うねりが残ってます。
で、もりねとSyachoは
大根の離れって場所^^
もりねの自撮り^^ エドさんとの記念写真^^
もう、Syachoもベテランの風格 自分とバンジーは黒根の離れです。
実は狙っていた場所^^イザキが・・・^^
時折うねりで波が上がってきますが
八丈に比べれば可愛い^^
エドさんが来てくれました。^^
実はバンジーとエドさんは一緒に仕事をした事が
あるらしく、久しぶりの再会です^^
沖合いは結構うねりが出てます。
沖に見えるのは神子元島
もりねとSyachoが乗った磯は
真ん中あたりかな???
被って危険と思ったら電話下さいと
船長から^^船長はちょくちょく家から
自分たちを双眼鏡で見ていたらしい^^
荒れて来ました^^;;
一面サラシに^^
うねりが大きくなって釣り辛いので
自撮りしながら遊んでます^^
ピースしたら、なんかひらめいた^^
どう??指にバンジーが乗っているように
見えますか??爆
遊んでいたら船長が、もう危ないから
「撤収しましょう!!」と迎えに来てくれた^^
さ~検量です^^メジナは2匹のみ^^ エドさんも見に来てくれました。
小さいけど、バンジー初メジナ^^ 写真を撮っておきますか^^
後ろからエドさんが・・・・。 バンジー気付かず^^
で、表彰式です^^果たしてもりねチームは^^ 3位から発表が続きます。
残念、もりねチームは入賞出来ませんでした^^
でも、メジナをきちんと二人とも3匹そろえてさすがです^^
その後は恒例のじゃんけん^^
あれ??3位入賞者は??(* ´ΨΨ` )クスクス
神保テスター((´▽`))ケラケラ
周りはまさか元アイドルがいるとは
気付いていない様子^^
その日の夜は釣った魚で宴会です^^
楽しかった~~^^



H29年 06月 02日 南伊豆 大瀬


翌日のキザクラ懇親大会出場の為
南伊豆へ向かっています。
途中に常連の滝にて
バンジー、ワサビところてん食べて
絶句しています^^鼻痛そう~~^^
もりねとバンジー お昼は天城峠にある、猪料理のお店
富士見山荘さんへ
なんとオーナーは猟師^^自ら撃ったイノシシや
鹿を提供しているそうです^^
めっちゃ旨そう~^^イノシシ大好き^^
このお店、一人で運営しているのでセルフで
動かなくてはいけませんが、めっちゃお勧めです^^
バンジーとSyachoも興奮です^^ 鹿の刺身も最高^^
南伊豆の地ビールも堪能^^
勿論運転手の自分はノンアルコールで^^
なんとヤマメの養殖もやっているのとの事で
ヤマメのお造りも頂いちゃいました^^
南伊豆大瀬に到着しかし、沖合いに浮かぶ黒根が
被っている。
明日は磯が限定されるとの情報もあるが
今日は美味しいご飯を食べて明日に期待です。
大瀬の倉の下さんに宿泊^^
いつもありがとう御座います



H29年 05月 27日 愛媛県 中泊 大三角奥・奥の奥


二日目です。今日こそはデカイの上げて見せます^^ 船の中には尋常じゃ無い程超デブのメジナの写真が・・
60cmオーバーで4~5kg^^
土曜日なので昨日よりはお客さんがいます。 で、下りた場所は大三角の奥の奥^^
ここもデカイの出ています。
奥に見えるのが大三角と大三角の奥 すると、社長に・・・・^^
まさかのオオモンハタです^^
風の影響も無く釣り易いのですが・・・。
細ハリスにやはり苦しめられます。
小さなワンドの足元を攻めまくった会長
ついにゲットと思いきや・・・(* ´ΨΨ` )クスクス
賢二君ここは八丈じゃ有りませんよ^^
周りの釣り人も目が点に((´▽`))ケラケラ
時折見えるデカイ魚影・・・
確実にメジナもいます
みんな諦めずに頑張ります。 しかし、足元に見える群れはデカイ・・・。
何とか取りたいが・・・。掛けても切られる しか~~し大三角のメタボ魚に撃沈
必ずリベンジしてやる^^ 中泊港
奥までずっと渡船の船が停泊しています。 動画1
動画2



H29年 05月 26日 愛媛県 中泊 松島南


一度港に戻り、お昼ご飯を食べて
13:00便で次の磯へ向かいます。
北の風を少しでもかわせる場所として
松島南と言う磯に来ました。
正面に見えるのが大三角のある小地島
右側は強風の影響で波が凄い事に
非常に低い磯ですが、広さもあり釣り易い
ナブラが見えると古山会長!!
水面が凄い事になっているが犯人わからず
タイトプールもあり良い感じですが
やはり、潮が速くしかも真横に・・(´;ω;`)ウゥゥ
みんな悪戦苦闘!!
仕掛けが全然沈まない
ど遠投してみても状況は同じ、困った~~~
賢二君は諦めてお昼寝です。^^ 淳ちゃんは諦めないでなんとか型をみようと
頑張る^^
しかし、同付きに変更した賢二君に
アイゴとウツボが釣れて終了です^^
最後に記念写真。
残念だったけど初日は終了です。
明日に掛けます。



H29年 05月 26日 愛媛県 中泊 大三角


東京から約5時間ついに来ました
愛媛県!!中泊!!
目指す磯は大三角!!
過去に70cmオーバーの出た夢の磯
渡船は行きたい磯で分かれているらしい 期待度MAXです^^淳ちゃんと賢二君
海の海面に何やら蠢く生物が・・・。
大量にいる。
よく見ると何やらカエルの卵のような生物が
動いていた。・・・。正体不明???
出港です^^
もりねと小笠原社長
黒鰓会( もりね・賢二君・古山会長 )
八丈の海とは全然違うな~~^^
波がまるでない
とにかく驚くほど船が速い^^
波が無いのでバンバン行きます^^ ポイントも多数あり、6艘くらいの船が一斉に
沖へと向かいます。
いつもなら船酔いで死んでる自分も
これなら酔いません^^
あっという間に大三角到着です^^
ここは大三角の奥です。 賢二君と古山会長が下りました。
でも大三角からも歩けます。
こちらは大三角、早速釣り開始 すると、小笠原社長^^いきなりヒットです!!
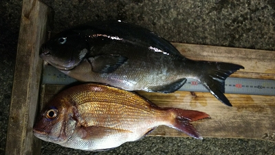
2号の竿がグンニャリ^^ハリスは2.5号 犯人はコイツ!イスズミです^^
イスズミもデカイ!!
時折デカイ魚影も見え!期待度マックス すると、またまた社長^^
口太40cm程?やります^^
今度は賢二君!!!しか~し、ここからが悪夢の始まり・・・。
掛けるもハリス切れ
今度は会長!!しかしハリス切れ
またまた賢二君!!しかしハリス切れ!!
自分も切られまくり!
ハリスを太くするとあたりもなく!
結局良型を上げる事は出来なかった。
さらに強風で釣りにならず潮も真横に
早く仕掛けが沈まない。
動画1 動画2
動画3 動画4



H29年 05月 06日 八丈島 ヨノモウ


明日帰るので、今日が最後の釣りになります。
西風を受けて、東側にヨノモウ
相変わらずベタ凪ですが、初日好調だったので期待できます^^
凹凸が激しくて移動が大変な磯ですが
実績抜群の磯です。
もりねに真鯛がヒット^^
最近もりねの真鯛率が高い^^
大会も無事に終わり疲れきっている高ちゃん^^
お疲れ様でした^^
何とか40オーバーの尾長を最後に見ることが出来ました^^



H29年 05月 06日 八丈島 番外編(2) 八重根漁港


打ち上げで飲みすぎて・・・。
二日酔いの中、つまみ釣りに行こうと誘われ・・・。
まさかの釣り名人たちが漁港に集結です^^
真剣に小さなイワシやサバを釣って盛り上がり。 釣った魚をすぐさま捌く流れ作業~~^^
100匹は、います^^
これ、揚げるとめちゃくちゃ旨い^^



H29年 05月 05日 八丈島 番外編(1)


小岩戸から緊急避難し時間も有るのでキクラゲでも
探しに行きますかと地元賢二君と・・。
賢二君の直感でありそうな山へ^^
有りました^^しかもデカイ!!
めっちゃ美味しそう~~^^
早速キクラゲ卵炒めにしてこりこりのキクラゲを
堪能しました。



H29年 05月 05日 第10回エースカップ表彰式


3日間の大会は無事に終了です。まずは第3位から・・・。
ビーチタイムの奥山飛龍さん
口太46.4cm  1.66kgです。
表彰式欠席でビーチタイム代表の太郎君が代わりに^^
第2位は八丈島南海磯釣りクラブ所属
佐々木直樹さん
恒例のいっきです。
嬉しいような、悲しいような^^
そして栄光の第1位は・・・。
南鷲会の田島英晃さん
尾長メジナ47.4cm  1.48kgです。
おめでとうのトロフィーいっき!!
大会結果です。


ここからはダイジェストで楽しい宴を^^






H29年 05月 05日 八丈島 小岩戸


小島も釣れないし、地磯も釣れないしと悩んでいると・・・。 優宝丸の文則船長から
小岩戸行くよって・・・・!!!
行っちゃいますよ^^大好きな小岩戸^^
こちらは小島組
ここは地のヨコセ!なんと低い
凪でなければ無理ですね^^
賢二君達が下りました。^^でここが大正解^^
爆釣です^^
で、小岩戸到着です。
まずは石物師達に場所を決めてもらいその後に
フカセの場所を決めます。
この暗黙のルールを知らない人が多くて・・(´;ω;`)ウゥゥ
しかし、うねりがきつい!!
夕方まで保つか心配です。
今日デビューのまさかのダイワ
今年発売のトーナメント竿とリールです^^
凄く軽くてさらに柔らかい竿です。
石物もそれなりにアタリもあり
フカセはイスズミに苦戦
どんどんうねりが強くなってきました
さすがに危険と判断して撤収要望です。
片付けて何処に船を付けるか
って言うか、船を付けれるのかと心配です
迎えが来ました。帰れます
動画1 動画2



H29年 05月 04日 八丈島 南原


水温が高い小島を諦めて今日は南原で
朝一から慎ちゃん達が・・・。
しかしコッパに苦しめられていた。
小島に行った人たちも気になるが すでに片付けだした慎ちゃん
お仲間たちはギリギリまでチャレンジしてます。
右奥でもやはりコッパ・・・。
でもイスズミが少ないとの事でチャンスはあるかも
奥でまたコッパ・・・。
で、早速自分たちも・・・。左はオダッチ!
オダッチは相変わらずアカハタ狙い
ちょくちょく当たるも、本命ではない感じ
黒鰓会の真由美さんも参戦です。 頻繁にポイントを変えながらアカハタを狙うオダッチ
なんとなくサラシが出てきた・・・。 すると真由美さんの竿が大きくしなる^^
なんかでかくない???
なにそれ???
超絶でかいイスズミ・・・(´;ω;`)ウゥゥ残念
やはりイスズミが湧いてきたかな・・・ そのまま暗くなるまでやり続けたが・・・・。
食ってくるのはコッパとササヨで終了です。



H29年 05月 03日 八丈島 小島 (トモウジ)


いよいよ始まりました
第10回エースカップ
果たして優勝は誰の手に^^
今回初めての磯!トモウジです。
あそこがトモウジかな??っと
黒鰓会の真由美さんと
優宝丸は次の磯へ^^ なんかめっちゃいい感じです。
釣り易いし^^
丁寧に磯際から遠投を攻めるもりね^^
しかし・・・・
真由美さんは沖目のポイントでまずは状況判断
そして竿を出すも、状況は微妙な感じです。
水温が一気に上がったとの事・・・
ちょっと凪過ぎるのか、潮は緩いです。
サラシも小さく、潮が流れていない感じ でも足元にはエサ取りが多数見えます。
どう攻めればいいのか???
ちょっと沖には沈み根が見えます。
もりねも苦戦してます。 少しでも潮が流れている所をと
もりねは先端の強風側へ移動
潮は流れているも、強風でやり辛いとの事
良い感じなんだけどな~~
先端のもりね側からの写真
磯も平らで非常に座りやすい
(* ´ΨΨ` )クスクス
しかし、釣れてくるのは
イスズミばっかし・・。(´;ω;`)ウゥゥ
最後までイスズミに苦しんだ真由美さん もりねが磯際で食わせた
イシガキダイ^^



H29年 05月 02日 八丈島 アシオレ


今日の2便でもりねが合流との事で腕試しにアシオレヘ
本当は昨日のヨノモウに行きたかったのですが東の風で・・・
(´;ω;`)ウゥゥ
何も食いません、何もいません・・・。
潮・・・動きません。
エサ取られません。魚見えません 水温が低いせいで、水位が下がり底が丸見えです。
エサ取りも全く見えません。 遠投しても状況は変わらず・・・
モロ根に遠投しても変わらず・・・・
結局腕試しにならずに終了



H29年 05月 01日 八丈島 ヨノモウ


アカハタが食べたいと魚八亭を手伝いに来た
魚八亭千住店のオダッチとヨノモウへ
いきなり食ってきた~~!!
凄い強烈な引き・・・・。
しかも白くて長い・・・・。
なんだ????
なんとサメです。しかも深海ザメ!! 地元賢二君が針を外してくれます。
怖くないのか???
賢二君に「噛まないサメ?」って聞いたら
「いや!噛むよ!」だって・・・ヒャー!!
深海ザメのホシザメです。
タイトプールに入れて泳がせてみた^^
めっちゃ飼いたい^^
普段はサラシがあるヨノモウも今日はベタ凪です。
すると連発で良型のメジナが^^
めっちゃ楽しい~~
思わず車に竿を取りに行き珍しく釣りをする
賢二君
さすが賢二君、あっという間に良型連発です^^ 一番でかいので47cmでした。^^
で、わかりますか??真ん中のヤツ
アカムロですよ^^なんと海一面にアカムロの群れが^^
でも一匹しか釣れませんでした^^



H29年 04月 29日 八丈島 南原


きんきさん一人だから、荷物運び手伝いますよって
一緒に来てくれたエース釣具若旦那^^
なんか磯で見る高広君、凄い久しぶりです^^
さすがの高広君もこの状況には苦戦^^;;
食ってきません。
餌も取られないので置き竿です(* ´ΨΨ` )クスクス
めっちゃいい感じなんだけど・・・
エサ取りもいない。
地元の方が来ました^^
島の高校の先生だそうです



H29年 04月 28日 八丈島 南原(夕方~)


5月3日の第10回エースカップ出場が
待ち切れず、来ちゃいました^^
まずは夕方~の南原
良い感じだが・・・。
食わないでしょ~って地元賢二君
水温安定してないからねとの事
結局何も食わず終了



H29年 04月 09日 八丈島 (オオカタ)


港へ戻り地磯へ。黒鰓会のメンバーと
「キョクチョウ」って言う地磯へ
なんか昔ここで郵便局長が亡くなったとかで
「キョクチョウ」って言うらしい。
しかしさすがにここを降りていくのは
内地には無理^^
段差は無いが距離が長いオオカタって場所に
慎ちゃんともりねとともに・・・
いや~~歩いた~~~(´;ω;`)ウゥゥ
直ぐに釣りを始めるお二人・・・
自分は休憩しないと膝がガタガタで動けない。
低い磯で普段は海の中らしい
夏に泳ぎに来たいな~~
磯物が沢山捕れそう^^
潮だまりも沢山あってよい感じ^^
なんか浅そうに見えたが
20m近く有るらしい。
もう立ち上がれないのでこのまま
釣り開始^^
な、なんと!!爆釣です^^
めっちゃ楽しい~~^^
んでもって検量所にて^^
いや~~釣れ過ぎ^^もりねが背負いカゴで
運んでくれた^^感謝^^
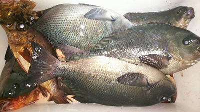
これが、自分の釣果です^^
このサイズが爆釣!!
で、こちらがもりねの釣果^^
慎ちゃんの撮り忘れたけど同じくらい釣ってますよ^^
詳しくは^^エースのブログ(こちら↓)見て!!
http://blog.goo.ne.jp/hachijo-ace/e/46dc699a742058493b1451a471087966
さあ~~いよいよ表彰式です^^
他の方は渋かったとの事ですが・・・。
まずは大会実行委員長の鵜澤プロより
ご挨拶^^。百川さんにもお会いしたかったと
毎回思います。<m(__)m>
まずは第3位^^
やった~~我がチームもりねが入賞です
やったね~~^^自分の事のように嬉しい^^
ダイワのもりねなのでこのウェアーは
嬉しいですね^^
ででで・・・・・・。なんと自分が2位です^^
鵜澤プロよりトロフィーが^^嬉しい^^
でもってキザクラのバッカン^^
やったね~~^^
ありがとう御座います^^
でもって一位はやっぱりの慎ちゃん^^
という事は、オオカタで釣りした3人が入賞です^^
場所が良かった~~^^
慎ちゃんおめでとう~~^^
でもってオオカタに連れて行ってくれてありがとう~~^^
因みに1位から5位まで
全て黒鰓会^^凄い黒鰓会^^

※画像をクリックにて拡大
素晴らしい~~^^
めちゃくちゃ嬉しい結果^^
太郎会長ありがとう御座いました
大会を続ける事が大切ですね^^
何でも言って下さいね協力は惜しみませんから^^
最後に皆さんと記念写真です^^
釣りで始まり、いろんな人と交流してどんどん
仲間が増えていく^^やっぱり釣りは最高^^!!



H29年 04月 09日 八丈島 小島 (トヨガシタ)


最終日です。今日は抽選番号がかなり
後半の番号なので磯が遠いかも・・。
何処になるのかな・・・
今回は全員大会参加者^^
まだ名前を呼ばれない・・・
やはり最後の方かも・・
鵜澤さんはワダの階段に決まり
木村君は???
船の中はみんな楽しそう~~~^^ 地磯に行く予定だった古山君
小島に誘っちゃいました^^
で、やっぱり自分は・・・
(´;ω;`)ウゥゥ
ワダかな??
古山君と真由美さん
鵜澤プロはワダの階段 オオモウに渡ったのは慎ちゃんと北条君
で、自分たちは初めて渡った
トヨガシタ^^
船酔いが止まりません。しばし休憩
ワンド側は水深が浅い もりねは最初右側先端に移動したが
強風で船付けに戻ってきた。
潮が悪く全てこの浅いワンドに
入ってきてしまう。
オオモウでは竿が曲がっている様子
北条君かな?? 強風で仕掛けが沈まない。
サラシに入れても潮が逆で戻ってくる 段々やる気が失せていき・・・
爆睡中。 諦めて帰りますかね^^
まだAM11:00なので戻って地磯行きますか^^
海苔が半端なくやたら滑るし危ない!!。



H29年 03月 29日 八丈島 南原


お世話になった方の一周忌のため
急遽八丈島入りです
せっかくなので南原に・・・・
しかし魚がいません(´;ω;`)ウゥゥ
めちゃくちゃ綺麗な夕日なんですが
携帯の写真ではこれが限界・・。
本当はもっとピンク色なんです



H29年 03月 19日 八丈島 小岩戸


いよいよ大会最終日です
この日に全てが決まります。
現在、底物W優勝の掛かった谷やん^^
さあ~行きますよ~^^
逆転を狙いますよ~^^
あれ???慎ちゃん??
釣りの格好ではない・・・。
淳君・もりね もりねに社長の師弟関係
(* ´ΨΨ` )クスクス
船の先端は楽しそう~~
酔わないって良いな~^^
このころ船の後ろには・・・。
このころにはすでにグロッキー 荷物降ろしの手伝いに乗っていた慎ちゃん
慎ちゃんまた後で~~^^ 念願の小岩戸に乗ったが、場所が限定される。
一通り見て、石物はテラスに決めた。 フカセチームは先端と左のワンドへ
うねりが大きい
裏のワンドのフカセチーム
小笠原社長かな?
Kenjiさん
淳君はひたすら竿先を睨む 昨日の三便でやってきた
ゆみの氏、疲れきってます。
フカセチームの状況が遠すぎて分からない
釣れてるのかな?
どうですか~~^^
あたりますか??
左が自分、右がゆみの氏 左がたにやん、右が淳君
これは自分かな?? フカセチームの様子を見に磯を歩いていると・・・。
後ろが騒がしい^^
淳君根掛りかな??
根掛りだね^^
すると今度は前方のフカセチームが
騒がしい。
白石さんが鯛らしきものを持っている^^
なんだ???ヘダイ??
なんか頻繁に釣っている様子 もりねは釣りしないで磯をひたすら
探索している。
また、イセエビでも探しているのか?? フカセチームも場所替えを頻繁に行っている。
これは先端かな?? 広い場所なんだけど、うねりが強く場所が限られる
磯はノリがいっぱい生えてる^^
美味しそう~~^^
Syachouはここでも口太ゲットです。
淳君まさかのキンダイゲットです^^
幻の魚ですよ
小さいワサもゲット
最後に記念写真です^^ 広い磯なんだけど^^;;;



H29年 03月 18日 八丈島 黒崎


今日は小島を見切り、小岩戸方面に行くことに。 昨日の2便で合流した、淳君とKenjiさんと
小笠原社長。
地元釣り師もあまり小岩戸には行った事が無いらしく
期待に胸が膨らみます
しかし、八重根からだと遠いな~~。
船の後ろでは、船酔いとの戦いです
小岩戸が見えてきました・・・。
ん???まさか被ってる。
これでは安全が危ういので場所を黒崎に
変更です。
黒崎が見えてきました。
こちらは、まだ大丈夫そうです。
これなら何とか行けそうです^^
まずは安全な場所に
船付けで、荷物を降ろします。
さあ~準備に入ります
今回は淳君初の石物に挑戦です。
低い場所ではフカセチームが・・
しかし、時折来るうねりでやりづらそうです。
石物竿セット完了 淳君もバックラッシュに苦戦しながらも
エサを投入です。
まだ、潮なのかあたりなのか分からない様子です 淳君!!出来そう??
タレントオーラ全開で!! 黒崎は非常に浅く、うねりの影響を
もろに受けるので根掛り多数
フカセチームも苦戦している。でも
何かしら掛けている
地元若手釣り師、真丈君 良い感じ^^
北条君も苦戦。 慎ちゃんもうねりがやばいと撤収
真由美さんもさすがに厳しいと考え中 ものまねタレントKenjiさん
初の磯釣りです
小笠原社長、今日こそは・・・。 山本君は投げるたんびにバックラッシュ^^;;
ひたすら竿先を睨み付ける谷やん 先端から船付け右側に移動してきた北条君
おっと!!淳君にヒット!! 初の石物釣りでイシガキゲット!!
さすがだね^^
なにやらミーティングかな??
もりねチーム
北条君は沖合いに流してる
小笠原社長にヒット!! もりねがタモ入れ準備 果たして!!
チョー嬉しそうな小笠原社長^^
やりました!!
初のメジナゲット^^
口太メジナです
釣り場が限られてしまい、どうするか考え中 慎ちゃんと真丈君
何かデカイの掛けたが犯人はサンノジ
石物はあたりが頻繁にあります。
谷やんヒット!!
上がってきたのは本石!!
美味そうなサイズです
淳君に再びヒット??
確かこれはカンムリベラだったかな??
天気も良いし最高なんだけど風が強い!!
慎ちゃんヒット!!
確かこれもサンノジ
真由美さんも付け根で竿を出す
小笠原社長にKenjiさん
楽しいそうです
低いほうでも何やら騒がしい
風が無く、うねりも無ければ
最高なんだけど・・・。
それでも何とか魚は掛かってくる
魚が掛かれば楽しいです^^ フカセチームの半分は
場所が無いので移動を決断
船が来た~~^^
この日は一便で八丈島入りした白石さんが
乗っています。
移動を決めたフカセチームはウロウ根に
行くとの事!!
白石さんお疲れ様です。
今回は釣りを楽しんで下さいね^^
前回は撮影班だったから
小笠原社長もさまになってきた^^
各々でそれなりの釣果を出していきます。 Kenjiさんも初のメジナ^^
谷やん、口白ゲット!! さらにさらに・・・
良型の銀ワサゲット!!
淳君初のイシガキゲット 小笠原社長、口太ゲット
この写真最高!!!羨ましい~~^^ このツーショットは、なかなか見れないでしょう~^^
淳君の釣ったイシガキダイと社長が釣った口太メジナ^^ 旨そう~~~^^



H29年 03月 17日 八丈島 小島 (一の根)


いよいよ今日から3日目に入ります。今日は1便で
たにやんが合流なので
先に、もりねに場所取りをお願いしました。
古河原さんは何処に??
矢野さん達、石物師も^^ 古河原さん、ここどこだろう??
写真撮影がもりねなのでわからない^^;;
これも誰だか分からない。 矢野さんはカンナギへ
ここは一の根。角は被ってますね。 裏のワンドも結構被ってる。
まずは船付けで挑戦したんですね。
そのころ自分は空港に^^
なんとか裏側も出来る感じになってきたのか??
お~~~い!!
来たよ~~
一の根に到着です。
どうよ!!! 早速、石物とフカセの両刀準備
谷やん、まさかのリール破損!!
なので自分のリールを貸し出す事に
もりね、船付け横側で。
まずは一枚、今晩のおかずをゲット。 もりねも裏に移動
と思ったら、何やら袋を片手に^^ カンナギ、一の根から見た感じだとかなり
被っていて危ない感じが・・・矢野さん大丈夫かな??
鳥が邪魔そうだな~~ たにやんはひたすらエサを割って芯を作る。
谷やんどうよ!! 記念写真を交互に撮って
この日の釣行は終了です^^ しかし釣れないな~~~
大会が盛り上がらない・・・。



H29年 03月 16日 八丈島 アシオレ(夕方~)


明日から大会3日目に入ります。
飛行機の中から小島が綺麗に見えたので^^
早速、アシオレで試し釣りを
さほどウネリも無く、良い感じかな?? 準備も出来て早速釣り開始です。
果たしてどうか??
状況は前回と変わりません。
魚いません
撒き餌にもエサ取りすら反応しません。
先端のひな壇は時折被っていたので
横でモロ根に向かって竿を出します。
賢二君が応援に・・・
どう??ダメでしょう~って
もうすぐチャンスタイム!!
しかし、メジナは口を使ってくれませんでした。



H29年 03月 05日 八丈島 アシオレ(夕方~)


で、夕方狙いのアシオレヘ
なぜアシオレか・・・・
何とか型物を見たい。いるか???
北条君も合流 さらに木村君が応援に。
竿を渡して、ハンドルの違和感を見てもらい・・・。
なぜアシオレに来たかと言うと
沖にある、このモロ根に実は・・・・
ビーチタイムの邦君が、渡船しているからなんです。
邦君!!とでかい声で叫ぶと
気付いてくれた様子^^
邦君の同僚の奥山さん
釣れてますか??? どうやらここもダメだった様子
お迎えの船がやって来た^^ 小島チームはどうだったかな???
また後で~~~^^
釣果教えてね~~^^
チャンスタイム突入も
やはり型物は見れず、二日目終了です^^;;



H29年 03月 05日 八丈島小島 シモダテ


大会二日目です。前日の情報で
シモダテが良いのではと・・・
じゃあ~みんなでシモダテ行こうと
言う事になりましたがシモダテは遠いのです・・・。
(´;ω;`)ウゥゥ
シモダテ到着です。しかし、動けません
船酔いです。
しばし休憩。酔いが覚めないと
釣りどころでな無いので^^
全く酔わないてっちゃんは
直ぐにつり開始です。
北条君!頑張って~~^^
エサが残るとのこと 掛かるのはイスズミ
真由美さんも頑張って~^^ これ誰かな??
真由美さんは場所移動でワンド側へ てっちゃんヒット!!!
尾長ゲットです^^いるね^^ その後また何も食わない状況が続き・・・
沖合いにはクジラが・・・ 凄い!!!3頭くらいいるのかな???
たかのぶ君は・・・・ 自分には全く食ってきません
北条君も少し諦めムードに 賢二君も一言!
いないな!!
と、ウダウダな時間が過ぎている中
いないな~~って思っていた
もりねが・・・・え~~~~~!!
磯場を歩いてたらいたらしい^^
ってこんな陸地にいるの???
魚いないな~~^^もう飽きた!! 裏のワンド側もかなり厳しい感じ
この後、賢二君とたかのぶ君は磯替えを・・・ で、最後にシモダテで記念写真^^
夕方狙いの地磯へ行くため2時上がりで



H29年 03月 04日 八丈島 南原(夕方~)


悔しいので、夕方狙いの地磯へ
すでに賢二君がやっていたので合流
夕日が綺麗^^
しか~~し やはり何も食ってこない
良い感じなんだけどな??
やはり水温が安定していないからか。
てっちゃんも丁寧に攻めていくが・・・。
チャンスタイムに入っているが
この日はボーズで終了です。



H29年 03月 04日 八丈島小島 セイズコウ


いよいよ始まります。
第五回バトルフィッシングカップ
島内・島外の凄腕釣り師たちが
集結です。
各々の考えのもと磯を決めていきます。 遠いところから荷物を載せます
果たして何処に行くのか??
小島へ向けて出発です。 船酔いを考えて。近い場所へ
ここはセイズコウです。
自分とてっちゃんは船付けで竿を出す事に 今日のために購入した
BBーX  SPECIAL  MZII2号と
BBーX  テクニウム スプールは4000番へ変更
ハンドルが逆回転しないので違和感が・・。
魚がいません・・・・。
まさかの初ヒットがオヤビッチャ
付けエサが取られません
困った・・・。
魚が見えない。水温か??? 裏のワンドに行ったもりねの様子を見に行ってみた・・。
んっ???何やら魚が足元にたくさんいる 1投1投に魚掛かってるの??
えっ??何でこっちは魚居るの??
釣れる~~??って聞いたところ
エサ取りが半端ないとのこと!
全然船付けと違うじゃん^^;;
で、てっちゃんと移動する事に。
早速エサ取りの洗礼を^^でも何も釣れないよりは楽しい^^
てっちゃん連発!しかもイシガキばかり^^
嬉しい外道かな^^
セイズコウで記念写真
そうそう、もりねは型は今一つだが
尾長メジナゲットです。
セイズコウから見た横瀬です。
香港からのお客さんらしいが釣れている様子はない。
お迎えの時間です。
みんなどうだったかな??
他も撃沈だったらしいが、シモダテで良型が
数枚出たとか^^



H29年 03月 03日 八丈島 エダマ(夕方~)


西風強風でやる場所がない
またココ!!
口太狙い・・・
潮は良い感じだが。
サラシを攻めるもりね。 奥はてっちゃん、潮に乗せて・・・。
潮は悪くない。 サラシも出ている。これなら・・・。
て、やっぱりいた^^ 40くらいの口太^^いるじゃん^^
賢二くんも応援に^^何か見えるのか?? 何も見えてはいない様子^^
沖合いに投げてみた^^すると直ぐに糸あたりが^^ で、40くらいの口太連発です^^
てっちゃんはまさかの尾長ゲット。 もりね絶好調。口太2枚ゲット



H29年 02月 26日 南伊豆 大瀬 MFG東日本復興親善海釣り大会(伊豆大会)


まずは受付を済ませます
ペアになる方が誰だかわかりません
今回はペアの3匹の合計重量で決まります。
範囲は伊豆半島全域です。
自分たちはそのまま大瀬で真ぐれ会の
方々と一緒に渡船させてもらいました。
神保テスターから前日に乗った牛ケ瀬を
譲って頂き、同じ磯に乗ることが出来ます。
北条君がんばれ~~~^^ 今日は朝一から先端に乗れます。
早速釣り開始です。果たして・・・。 北条君も場所を決めたようです。
エサ取りが半端ない感じです。ほぼフグです。 もりねもフグに悩まされます。
北条君もやはりフグに・・・・。 勘太郎には3人乗っています。
与平にも数人乗ってます。 そんな中、自分にまさかの真鯛が・・。
大瀬はメジナの調子が悪い時に、深い場所に
エサが届くので真鯛が釣れるらしいです。
真鯛49.3cm
嬉しいような悲しいような・・・。
時間になり終了です。結局メジナを見ることが
出来ず、イサキが数枚出た程度でした。
みなさん、いろんな場所で釣ってきたメジナを検量して
います。石廊崎が調子良かった様子。
結果発表・・・
自分とペアになった方・・申し訳ないです。
(※写真をクリックにて拡大)
いよいよ表彰式です。詳しくは MFG のWebを確認下さい。
(※青色のURLをクリックにて表示)
用意されていた豚汁!!めっちゃ旨かったです^^
誘っていただいた神保テスターありがとう御座いました^^。



H29年 02月 25日 南伊豆 大瀬


MFG東日本復興親善海釣り大会に
参加するため、前乗りして、南伊豆大瀬へ
さほど混み合っては、いないです。
みなさん何処の磯に乗るのか??
北条君も南伊豆は約9ヶ月ぶりかな? まだ乗ったのとの無い磯を
船長にリクエストしてます。
船長がセレクトした磯は「牛ケ瀬」っていう磯^^ 先端は、潮が通していいらしいが
まだ被っているので、根元に着岸
早速海の状況を確認する北条君 対面の磯には多数の釣り人が
勘太郎って言う磯だと思う
もりねも一番付け根の本土側に決めた様子 さすが、北条君^^良型の口太をゲットです。
やりますね~~自分には何も食ってきません。 35~6cmって感じだと思います^^
先端も収まって来ました。
もりねは、すかさず場所移動です。
自分も先端に移動してきました。
だいぶ海が落ちついています。
もりねは何やら騒がしく、どうやらイサキが
釣れた様子
この日は、こんな感じです。
ちなみに自分はボーズでした。(´;ω;`)ウゥゥ
美味しい倉の下の晩御飯を食べて
明日の本番に向けて、今日は早めに寝ます。



H29年 02月 12日 八丈島 八重根カヌー揚場・神湊港


本日帰ります。なのでお土産用に
ムロアジ釣りです。
八重根のカヌー揚場
しか~~~し、ムロいません!!
場所を移動してきました
  神湊港・・・。いるかな??
全く反応しません・・・。
黒鰓会の木村君が応援に・・・。
  「先端が良いんじゃない」とのアドバイスを頂き
先端に移動すると・・・。
釣れた~~^^
バンバン釣れます^^ で、今晩のおかずに^^



H29年 02月 11日 八丈島 エダマ


今日も、釣り場を求めて彷徨います。
昨日のイデサリは全然釣れないので
違う場所を・・・。
石積に来てみましたが・・・。
出来そうな感じがするも・・・。
心配なので動画を撮ってエースの高広君へ・・・。
すると高広君から「ダメです!」との返事が・・・
(´;ω;`)ウゥゥ
ダメもとでアシオレも見てみたが
やっぱダメですね^^;;;
別の場所へ移動~~!! で、やってきたのがまさかのエダマ
口太場とは聞いているが・・・
果たして魚がいるのか??? 黒鰓会、北条君も参戦です^^
黒鰓会、木村君も参戦です^^ なんか、ムロアジが沸いている
いい写真^^ いい写真2^^
北条君は沖へ流す!! 魚来た~~~^^足元狙いの
もりね!!やるな~~^^
今晩のおかずをゲット!!(小笠原社長)



H29年 02月 10日 八丈島 イデサリ


今日はもりねと小笠原社長合流
西側が大時化なので東側の磯へ
しかし、北風も強く場所が無い!!
何とか、北風もかわせるイデサリに・・。
小笠原社長は初のフカセ釣り
もりねがレクチャーします^^



H29年 02月 09日 八丈島 アシオレ


やっぱ来ちゃいました^^
賢二君も一緒です。しかし、強風^^;;;
うねりも結構あり、
いつまで釣りが出来るか??
このときは、さほど激しくは無いのですが・・・
段々と嫌な感じが・・・
段々ひどくなり、夕方頃には大時化
2回ほどデカイ波を喰らい、危険なので撤収・・・。
(´;ω;`)ウゥゥ



H29年 02月 08日 八丈島 アシオレ


次の日もアシオレ^^
八丈島で私を探すときはまずここに来て下さい^^
大概いますよ^^
昨日よりは良いが、でも時化です
生体反応があまり無いです。
明日も来ようっと^^ 今日は黒鰓会の木村君の希望でスッポンを食べます
八丈はウミガメを食べる習慣があるので抵抗は無いようです^^
コラーゲンやばい!!
黒鰓会の真由美さん^^
生き血から始まり、内蔵の刺身から揚げに、鍋^^
フルコースで最後は雑炊です。
みんな精力ついて、楽しい宴です^^
次の日の朝、二日酔いも無く皆ビックリ!!



H29年 02月 07日 八丈島 アシオレ


仕事で八丈島入りです。
さっさと仕事を済ませ大好きなアシオレヘ
しかし、大時化です。
ウキが着底とともに無くなります。



H29年 01月 28日 城ヶ島 居島新提


バトルメンバーでの今年初の釣りに
城ヶ島へ来ました。
日曜日なので子供たちも連れて
しかし、めっちゃ混んでます。
混んでいるので2便・・(´;ω;`)ウゥゥ 新堤防に向かいます。
すでに1便の方に先端を取られ、どこでやるか・・・。
てっちゃんは船付け左の鯛場と言われるポイント 自分は先端左の沖向き
辻川は同じく沖向きでカゴ釣り
ゆみのさんも鯛場 もりねも鯛場
たにやんは先端右側の湾側で投げ釣り この日は強風でPEラインに慣れていない
辻川は悪戦苦闘
もりね、何度かでかいのに切られているらしい 先端では頻繁にカゴで真鯛が出ている。
ここが鯛場ではないの???
てっちゃんはメバルが連発!!しかも型が良い^^ 辻川氏周りは鯛が釣れているのに
なぜか当たらない・・・。タナが悪いのか??
強風だが海は穏やか・・・。 先端は賑やかです。真鯛が5~6枚は
上がっている。
思えば自分のフカセ釣りはここから始まったな~^^
月二回は通い、フカセ釣りを研究しました。
ゆみの氏も何やらいい感じとの事^^
皆、思い思いに竿を出します。 てっちゃんは先端に移動してきました。
同じ場所で粘るゆみの氏 そろそろ帰る時間です。
富士山も良く見える
大島も見えます。
帰り仕度です。
地元の漁師さんが何かを捕りに長い棒で突き刺しています。
ナマコ???
一便に乗れるだけ乗って自分たちは
次の便を待ちます。
あれ??
もう一艘やってきた^^
一休丸2号です^^これは嬉しい^^
待たずに済みます。2代目船長が来てくれました。
船に下りてみると、4代目船長^^きっと自分の息子達が
お世話になるかな^^いつまでもこの場所を大切にしたいですね^^



H29年 01月 22日 ジャパンフィッシングショー2017 みなとみらい


フィッシングショーに毎年恒例で行ってきました。 竿を物色している北条君ともりね^^
次はダイワにしようかな・・・。
もりねがシマノからダイワに切り替えるのか?
悩んでます^^
マルキューブースにて神保テスターに
お会いしてご挨拶^^
次に八丈島在住ののパパさんにお会いして
ジギングも盛り上がってます。
シマノブースでは高橋哲也氏にお会いして
記念写真を^^
これが追い求めている内閣総理大臣賞の
トロフィー^^
息子もせっかくなので^^ 最後に食事して記念写真^^



H29年 01月 07日 八丈島 南原


昨日の正体を暴きたく!今日は場所取りがてら
朝一から南原へ^^
明るいうちはやはりコッパとササヨ^^
しょうがないですね^^
流石に朝からなので眠くなり磯場で気持ちよく睡眠^^
起きてみるともりねは粘り強く釣りしていた^^
状況は変わらないとの事^^
昨日ヒットしまくった時間は5:00頃なので
これからがチャンス^^
昨日の状況を電話で慎ちゃんに連絡すると
慎ちゃんがさっさと仕事を終わらせて合流
してくれた^^
しか~~し、5時を過ぎても昨日の状況にならない・・・
最高の釣り日和なのに^^
もりねの浮きに亀が・・・。
結局最後までシマアジらしくラッシュは
訪れずでした。
釣りは今日が最後です。
明日東京に帰ります
この日の夜、北条君が家で鍋しましょうと
誘ってくれた^^
めっちゃお洒落なお家^^
憧れます^^こんな家を八丈島に建てて
老後過ごしたいです^^



H29年 01月 06日 八丈島 南原


やっと北東に風が変わってくれた^^
先に入っていた古山会長に電話して
南原に合流させて貰いました^^
古山会長も準備中です^^
早速開始も、やっぱりコッパに苦戦。
暗くなればチャンスかな^^
すると頻繁にヒット!強い引き!!
止められない!!ラインブレイク!!
その後、古山会長と自分に何度もヒットするが
切られるか口バレかの状況!!会長いわく
シマアジの可能性大とのこと!!悔しい~~!!



H29年 01月 05日 八丈島 八重根低堤防


大会も終了し今日は石物師・金子さんのお誘いで
底物にチャレンジ、小島に行きたかったが
海の状況が良くないので八重根堤防で
金子さんの竿が食い込みましたが上がってきたのは
アオカン!!
少しうねりが有り、たまに大きなうねりで
堤防が被っています
もりねも今日は石物に挑戦してます
カゴの名手二人は良型のヒラマサと
シマアジゲットです^^さすが!!
石物の竿は何も変化無なく・・・・
静かな時間が流れます。
いつもフカセのもりねも暇そう^^
水温は低くないが活性は低い!
エサ取りもあまりいない。
さっきまで晴天だったが急に雲行きが
怪しくなってきた
スコールです^^八丈あるあるですね^^
でもすぐに止んでまた晴天に^^
金子さんが上げたイシガキフグ^^




H29年 01月 04日 八丈島 アシオレ


今日も北西の風が強いです風裏になる東側は
釣り人多数なので、再度アシオレ付け根で
挑戦します。
昨日よりは少しましかな??
相変わらずコッパは多いです。
もろ根側に流したいが強風で足元にしか
仕掛けが飛びません^^;;
足元を丁寧に攻めますが、やはり上がってくるのは
コッパとササヨです。
風が更に吹き出したので
一段降りて風の当たらない場所で挑戦
もりねはコッパ他に空飛ぶエサ取りに
苦戦!!
なんとか針を外してリリース
今日はコイツに苦しめられます。
風正面は立つのもやっとです。
いつもの先端は被っています 風が少し弱まったので
上に上がってきました^^
暗くなってきました^^
くるか~~~^^
って期待したが、海の状況がかなり危なくなってきたので
撤収する事に・・・
黒鰓カップの表彰式です。
黒鰓カップは非常にレベルが高く
メジナ51cm以上入賞です。
結果、今年も該当者無しで
来年に持ち越しです^^
きっと来年は誰かが釣るでしょうね^^
古山会長!!なんで一気??してるんだ
おぼえてな~~い(* ´ ΨΨ ` )クスクス
今回も釣れなかったけど、島の名手たちとの飲みは
ほんとに楽しい^^
たくさん勉強になります^^



H29年 01月 03日 八丈島 アシオレ


今年の初釣りは八丈島アシオレから^^
大好きな場所^^更に黒鰓会大会中なので
気合十分
しか~~し大しけです。
付け根でも危険を感じる大しけ!
それでも何とか竿を出せると判断し
風裏にポイントを決めて開始です。
一投目!!浮きが一気に消込!!
上がってきたのはササギ!!
コイツが今年のスタートです^^
もりねも今年初釣り開始!! 仕掛けをなじまして~~~~!!
で上がってきたのはこいつ!!
コッパです。(´ ; ω ; `)ウゥゥ
コッパに苦しめられてますが
ダツもササヨも多くないし、期待は出来る
暗くなってきました^^チャンス到来か^^ で、何も起きずに終了・・・。明日こそ!!
コッパに苦戦中のもりね1 コッパに苦戦中のもりね2




   




Copyright © 2004-2012 Isotsuri All rights reserved.