H25年 12月 31日 八丈島 アシオレ


今年最後の納竿でアシオレへ
しかし、水温低く、全く釣れず。
今年最後の夕日を見ながら・・・
エサ取りもいない、まったりモード



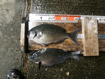
H25年 12月 12日 沖縄県那覇 一文字堤防 北の新堤防


今回は、八丈島からカゴ釣り仕掛けを
送ってもらい、気合十分で始めたが、
数分後、高波に遭い、竿もリールもすべて
海の中へ・・・・。
地元底物師、先端側はたまに来る高波に
ビシャビシャ・・・。ゆみの氏も全身ずぶ濡れ
今日は潮も良くないとの事・・・。
結局底物は2名で不発だった。
帰りの船の中・・・。
今回は何かとツキの無い1日でした。
竿・リール・針巻機・カゴ仕掛けが海の中
さらに最初に粉餌を持ってくるのを忘れたり・・。
さらにさらに、いつもお世話になってる
大洋丸がまさかの故障で船が出ない・・・。
今回は初のもう一つの渡船丸沖3号に
乗せてもらいました。
lt="">
それでも、気合でこれだけ釣りました。
普通ならリリースの魚も、なぜか沖縄では
美味しい魚なんです。
全てフカセにて・・・。



H25年 12月 03日 八丈島 南原(夕方~)


北西の風が強いが、なんとか
出来る感じ・・・。
しかし、水温が下がったらしく
活性が低い・・・。エサもそのまま・・・。
雑魚が数匹釣れて終了



H25年 12月 02日 青ヶ島 三宝港


今日は、撮影隊もいないので
釣りに集中の、ゆみの氏
前日一投目で自己記録の口白ゲットも
金具が外れてまさかのサヨナラ・・。
前回よりも活性は低いも、
掛かってくる魚は、どれも良型
このやり取りが楽しいんです。
腰痛いけど・・・・。
自己記録更新の56cm
2.97kg何故か軽い・・・。
口白の顔はかっこいいです。
これは54cm
泳がせは、全然ムロが釣れず苦戦。
何とか、食いついたらしいが食いが
浅いとの事
夕日が綺麗です。
普段夕日なんて見ないけど、
釣りの時は海に沈んで行く所まで
ぼ~っと見てます。
なんか、みんな痩せてる気がする。
普段餌が無いのかな・・・。?
全部で20枚ほど釣りましたが、
40cm以下はリリース。
これは口白の顔していた5枚です。



H25年 12月 01日 青ヶ島 三宝港


かなり海がやばい感じ・・・。
バンバン潮がかぶっています。
初青ヶ島のゆみの氏
釣り座のすぐ後ろでは、黄金伝説の
撮影・・・・。気になって仕方ありません。
釣りに集中できない・・・。
よゐこと菊池凜子、あとココリコ遠藤が
いました。
12月26日放映とのこと
前日はこの寒い中、濱口が
イセエビゲットしたらしいです。
船が欠航で、撮影スタッフ帰れず
数名は八丈島から優宝丸を呼んで
帰還しましたが、凄い揺れ揺れ・・・。
タレントはチャーターヘリで帰還



H25年 11月 30日 八丈島 アシオレ(夕方~)


小島から帰ってきて、そのまま
アシオレへフカセに挑戦。
しかし撃沈だった・・・。



H25年 11月 30日 八丈島 小島 セイズコウ


初の本格的な磯フカセに挑戦の
エムズスタッフ京ちゃん
魚を抜きあげ、大はしゃぎ!!
同じく初の釣りをする、エムズスタッフ
どしこちゃん
どしこちゃん、またまたヒット・・・。
竿がいい感じでシナッテます。
京ちゃん、やりました。
初ゲットはイスズミしかもでかい!
51cmありました。
で、またまた今度は勘八ゲット
やるな~~~~。
どしこちゃんも負けてません。
初ゲット同じくイスズミ
バンバン、イスズミを釣り上げる
京ちゃん、余裕のピースです。
こちらも、初の磯釣りに挑戦中の
佐竹氏、もうすぐ会社を立ち上げ
独立です。頑張れ~~~^^
お腹すいた~~と魚八弁当を
食べる、釣りガールショット
釣りって楽しい~~~^^
最高の笑顔を見せてくれました^^
最後にダブルショット^^
釣りファンが増えるのはうれしいです^^



H25年 11月 12日 八丈島 八重根高堤防


うねりが強く、危険を感じダメもとで
高堤へ移動してきた。
三重県から移住してきた底物師が
先に竿を出していた。
狙うテトラ脇・・・・。しかし
当たりもほとんどなく、釣れたのは
イシガキフグのみ結果でした。
新堤防では、シマアジが好調だった。



H25年 11月 12日 八丈島 軍艦堤防


今日も軍艦堤防です。
風は前日よりも強く、寒い・・・。
さらにうねりもあり釣りづらい
魚八店長とゆみの氏
なんとかワサ3枚(2枚放流)
勘八は魚八店長がルアーにて
昨日同様、ムロのライズがあり、ゲット



H25年 11月 11日 八丈島 軍艦堤防


北風がびゅーびゅー・・・。
めっちゃ寒い・・・。
ゆみの氏、固まっています。
初めて、底物にチャレンジした、
エムズスタッフ京子ちゃん
寒さに負けず、絶対釣ると気合を
入れてチャレンジ
京子ちゃんやりました~~~!!
初底物デビューでワサゲットです^^
バトルフィッシングのメンバーになるのも
近いね・・・・・。(笑)
ゆみの氏も負けてません
自己記録の50.4cmゲットです。
2.66kg
気づいてみたら、この釣果
これでも本日食べる以外の
小さいのは放流したんですが
最後にエース釣具店にて、バトルフィッシング
の看板をバックにパシャリ!!
YANAさんの看板も入ってます。
八丈荒磯会の看板が入んなかった・・。
成田会長すんません!!



H25年 11月 08日 沖縄県 那覇一文字堤防 新堤防


数年前に完成した、新堤防に
初めて渡船、先端が良いと思ったが
かなり浅く、潮が速すぎて釣りにならない
船着け場所は人気の石物ポイント
地元の石物師が2本竿を出していた。
テトラの向こうは北堤防離れ
緑色のアイゴが釣れた~~。
ハナアイゴって言うらしい。
ミナミハタンポが釣れた~。
塩焼きが美味しい~~。
カスミアジも釣れた~^^ ヒメゴンべも釣れた~~^^
この日の釣果、他イッテンフエダイ
テングハギモドキなどが釣れた。
船から見た新堤防、小さい堤防だが
なかなか面白い良い場所だった。
帰りがけに北の離れを写してみた。
人が少ない・・・。
前来た時はすごい人だったのに。



H25年 10月 20日 八丈島 八重根低堤防


仕事も終わり、今日帰ります。
でも、大会中なんだからと、
朝から来ちゃいました。
午前中のみ
今日は朝一からなので、好きな場所で
竿を出せました。
しかし、活性が昨日とは違って
低く、カニに反応するも小さい様子
成田会長は天持ちで挑戦
この日はワサで終了も次の日
口白ゲットの連絡がありました。
詳しくはhttp://www.geocities.jp/araisokai1/



H25年 10月 19日 八丈島 八重根低堤防


仕事終了後、八重根低堤防へ
荒磯会の成田会長から伝授される
たにやん
やりたい場所はさすがに先客が
いたので、少し真ん中寄りで
挑戦。
成田会長ワサゲット
かなり活性は高い、素張りで
戻ってくる
なんとかワサを4枚ゲット
活性は高いが、でかいのが
こないな~~~。
台風26号の爪痕・・・。大島もひどいですが
八丈島だって、悲惨なことになってます。
屋根が無い家や、海岸線にはデカい石が
ゴロゴロ・・・。かなり悲惨な状況でした。



H25年 10月 18日 八丈島 南原(夕方)~


水温が21度台をずっと続いていたので
釣れるかもと思い、用事が終了後南原に行ってみた。
やはり、活性は高く40cm頭に5枚ゲット



H25年 10月 09日 八丈島 八重根低堤防


今日がラスト、内閣総理大臣賞
是非とも頂きたい・・・・。
水温が上がったのか、当たりが多く
昨日とは違う。
何故か、今日の堤防はガラガラ
危険なのか???
うねりはある。
地元山ちゃんさんヒット~~~。
高級鉄カゴ使用、山ちゃん仕様との事
上がってきたのは良型のスマ鰹
他にもう一枚上げていた。
すっごい引きで竿が入ったが
正体はコイツ・・・・。
タキベラ61cm、3.78kg
口白だと思ったのに~~~。
それでも今日は活性が高い、午前中の
釣果、他バラシ3回・・・。
またまた大会に出せるサイズは
出せなかった・・・・。詳しくはメンバーサイトにて



H25年 10月 08日 八丈島 八重根低堤防


今日のたにやんは、灯台の前
しかし、午前中早い時間は当たるも
その後は全然、たにやんワサ1枚
あまりに釣れないので、
自分の竿とたにやんの
竿のツーショット。

うねりは強いし、当たらないし
泳がせとカゴは楽しそうだけど・・・。
オオカミが釣れていた。



H25年 10月 07日 八丈島 八重根低堤防


前日入りしていた自分に、
ゆみの・たにやんが合流
この飛行機に乗っている。
さっそく竿を出す、ゆみの
しかし、来る前まではあたりが
あったのに、突然当たらなくなった。
今度こそ口白~~~
しかし状況は一緒。
この日はワサ1枚で終了



H25年 10月 03日 沖縄県 那覇一文字堤防 北堤防真ん中


初めて沖縄に来たもりね
渡船の中で、何が釣れるか
ワクワク!
上陸しました。
さて何が釣れるか・・・。
北堤防の真ん中あたり
初の場所です。
足元はこんな感じ、テトラ脇は
石物も狙えるとの事
水深は10m位
まき餌を撒くとダツとサヨリが水面に
大量にいる。真ん中あたりには
テングハギモドキが見える、
エサ取りが大量にいる。スズメダイ
で、もりね初の沖縄釣りでなんと
まさかのクマノミゲット・・・。
クマノミ釣った人初めて見た~。
船着け場はこんな感じ
階段なので楽ちんです。
台風が近づいているので、午前中で
撤収となったが、釣果はサヨリに
テングハギモドキとやや不満な感じでした。



H25年 09月 03日 八丈島 八重根堤防


今日も八重根です。移住している
健太君(Ks)も一緒に初挑戦。
この後、巨大シイラがかかるも
惜しくもバラシ!でも大群が見える
自分は今日も底物釣り、しかし
水温が下がったらしく、昨日とは
状況が全然違う。食い込まない
おみ、泳がせでツムブリ70cm程ゲット



H25年 09月 02日 八丈島 八重根堤防


今日は朝から、八重根堤防へ
やっと海も落ち着いてきた。
おみ、ムロ釣れずに苦戦
それでもムロが釣れれば、
必ず当たってくる。
勘八56.3cm小さいけどね。
自分は底物に挑戦。
頻繁に当たりはあるも、なかなか
食い込まず苦戦
それでも何とか40後半の
美味しいサイズをゲット他1枚
エース若旦那が応援に来てくれた。
いつもありがとうございます。



H25年 08月 31日 八丈島 ○○○午後より


西側は大しけで、軍艦は工事で立ち入り禁止
底土は人がいっぱいで仕方なく、実績の
あまりない○○○で泳がせ釣り
ムロ鯵が釣れるか心配だったが
アミコマセを撒くと大量のムロが。
これなら出来ると期待大に
場所はメンバーサイトにて
しかし、ムロが沖へ行くのを拒む
何で????
と思ったら、いきなりこいつが
足元で食ってきた~~~
他にカンパも追ってきた。



H25年 07月 30日 熱海 ワク島


こちらはアラレと言われる地磯
右奥に見えるのは、えぼし
こちらもアラレ
隣の洞窟がいい感じ~~
たぶん、カンノンと言う地磯
かなり浅い感じだが・・・。
同じくカンノン、こちらも洞窟が
いい感じだが・・・。
初ワク島に上陸です。
感じは、八丈島のウロウ根に凄く似ている
クロダイの実績が高いとのこと
真夏の磯釣りは、命の危険を感じます
おみは、頭から海水をかぶり熱中症対策。
シイラの大群がやってきて
一時シイラが入れ食い状態に・・・。
初シイラゲットです。
これが最終釣果、カワハギも狙って
良型が数釣れ、メジナは口太30cm位
クロダイは撃沈でした。



H25年 07月 06日 八丈島 底土港 夜


夜の泳がせが熱いよ~と
早速底土へ、慎ちゃん、高広君は
フカセとサビキでサバを調達
鯖下さいとの注文に必死で答える
名コンビ~~~!!
そして賢二君、ルアーマンさんと
共に泳がせチャレンジ!!
何度か、サバがざわついたが、
ヒットにはならず終了。



H25年 07月 06日 八丈島 軍艦堤防


三重県出身で島に住んでいる方
前にも一度お会いしています。
楽しく釣りができました。
この日はなかなか海が騒がしく凄かった!
詳しくはメンバーサイトにて



H25年 07月 05日 八丈島 軍艦堤防


今日は朝から、軍艦堤防へ
ウニが手に入り、石物釣り
期待が膨らむ、たにやん
海は湖のような、八丈とは思えない
静けさ・・。水温が下がったのか、
あたりが少なく、エサ取りもいない・・。
それでも気合で3枚上げました。
小さいのは逃がすつもりだったんですが
弱ってしまい、晩においしく頂きました。



H25年 07月 04日 八丈島 八重根低堤防 夕方~


前日の夜に八重根新堤防にて
タマンを狙ったがボーズだったので
今日は八重根低堤防、しかし
荒れている・・・・。
結局釣れたのはコイツ・・・・。
トラウツボ・・・。
泳がせも撃沈だった。



H25年 06月 08日 八丈島 藍ヶ江港


青ヶ島の余韻が残る中、
釣りに行きますかと藍ヶ江港へ
しかし釣り道具は、まだ青ヶ島なので
ルアーに挑戦。
沖合でナブラも確認できるが、
ルアーには無反応。
次の日に地元木村君と賢二君が
ヒラマサをゲットした。



H25年 06月 08日 青ヶ島 ヘリポート


帰る日に晴天なんて、・・・。
しかし凄い所です。青ヶ島。
またいつか来たいです。
釣りの詳しい詳細はメンバーサイトにて
載っていない話もたくさんあります。



H25年 06月 07日 青ヶ島 三宝港

今日も雨に強風、もりねはこいつに
苦戦・・・。
他のカゴ師には縞鯵60cmクラスが
上がっているのに
底物は絶好調。
手持ちで送ってあげると入れ食いに・・・。
最終日だけで20枚以上釣り上げました。
シラガ丸掛けが秒殺でした。
最後に、こいつを釣って終了
口白はたくさんいますね・・・。
凄い所でした。
もりねも大雨、強風さらに
道糸バンバン切られ、苦戦していたが
ヒラマサ50cmを釣って嬉しそう・・・。



H25年 06月 06日 青ヶ島 三宝港


今日は朝から雨と強風
それでも来たからには釣りをします。
モリネ、雨ニモマケズ・・・。
自分は底物以外に、昨日見えてた
カンパチを狙い死にエサで足元へ
ポイッと・・・。はたして・・・。
当たりは頻繁に一日中ある
時合関係ない場所だったが
なかなか入り切らない・・・。
何とか船は来たが、大時化に
なってきた。
旧堤防の方では海に何かを
沈めている様子・・・。
ゴロタ場所もなんかいい感じだが
土砂崩れが危険らしく近づけない。
偶然お会いした、八丈島のテルさん
死にムロでカンパ15kgゲット
です。前日もゲットしてました。
さすがです^^。
テルさん、宝亭の仁之君と一緒に
来島していた、ダイワの方、口白
ゲットです。仁之君お世話になりました。



H25年 06月 05日 青ヶ島 三宝港 午後~


青ヶ島へ向かうヘリの中
期待が膨らむモリネ
見えてきました。・・・。
これが青ヶ島
先端から少し手前で竿掛けセット・・・。
この日はワサ3枚で終了
もりねはこの中間あたりで
堤防の中に車が入ってこれるので
楽ちん。もりねはパッとした釣果なし
先端はこんな感じ、潮がめっちゃ早く
右から左へ流れているので
先端では釣りづらい、足元でヒラマサが・・・。



H25年 06月 04日 八丈島 アシオレ 夕方~


明日からの青ヶ島へ行く前に
ちょこっとアシオレに行ってみた。
釣果は撃沈、サバの攻撃で終了
夕日が綺麗・・・。
もりねがブヨに刺されまくって、ブツブツに



H25年 05月 15日 城ケ島 居島新堤防


足元でのカワハギ狙い
アサリには無反応
さて、何に反応したでしょう。
先端での石物は無反応
なので、沖向きで遠投へ
なんとしてもメジナを釣りたい
フカセ師のもりね
こんなに広くなりました。
漁礁も出来て、ここに
石物やらクロダイやらが
居ついてくれると良いけど。
この日の釣果はこんな感じ、
詳しくはメンバーサイトにて



H25年 05月 05日 エースカップ表彰式


優勝はアシオレで私の隣で
釣り上げた、54.4cm2.24kgでした。
当日、本人が不参加の為
太郎君が代わりに受賞。
2位は46cm主将の賢二君
3位はなんと私でした。・・。
副賞などの抽選会で
大盛り上がりの名人たち
この日、なぜか絶好調の
岡村さん・・・。サンバイザー
被って超ご機嫌です^^。
主催者のエース釣具高広くんと
エース釣具店フィールドテスター
慎ちゃん。慎ちゃん3冠ならず。



H25年 05月 05日 八丈島 モロ根


もりねがもろねで何かがヒット^^ 正体は、サンノジでした~~。
ざんねん!!



H25年 05月 04日 八丈島 アシオレ 夕方~


今日は朝から雨との情報で
いたのに、朝から晴天・・・。
なので、前日好調のアシオレへ
すると慎ちゃんが変な魚を
ゲット・・・・。
名前はたぶん
タナバタウオ
この日の釣果はこんな感じ
やっぱ型が出ない・・・。
外道とはいえ、慎ちゃんの
釣り上げた、タマンはでかい。
70cmオーバーだった・・・。



H25年 05月 03日 八丈島 アシオレ 夕方~


型の大きいのを目指し、
アシオレへ移動した
西風が強くやりづらい・・・。
地元慎ちゃんも合流
しかし、潮が良くない。
景色は最高~~~!!
この後、なんと磯手前の
浅場でやっていた釣り師に
54cmがヒット・・・。暫定一位



H25年 05月 03日 八丈島 黒崎


今日からエースカップ開催です。
しかし小島が大混雑で
仕方なく不動丸にお願いして
黒崎にやってきた。
朝一はもりねと私二人だったが
10時便で大勢やってきた。
潮も止まり、当たりも無くなったので
2時に撤収しました。
それでもこの釣果です。
サイズは40cmクラスの口太
湧きグレもあったがすべて口太
もりねがこんなでっかい
オキナメジナをゲット・・・・。



H25年 05月 02日 八丈島 南原 夕方~


久しぶりに八丈に戻ってきた
もりね、明日からのエースカップ
優勝を狙い、ためし釣り。
いい感じでサラシもあって
沖へ流れている。
暗くなり、黒鰓会会長の
ルアーマンさんが餌木を
しに来たが、フカセ中
で、釣果です。
かなり楽しめました。



H25年 04月 8日 八丈島 ヨノモウ


ワンド手前では、カゴ師が後から
入ってきたが釣れていない。
小林氏、初のフカセ釣り。
先端近くのサラシの部分のヨノモウでは
一番良いポイントで竿を出す
もりね・・・。
自分は、もりねの少し手前で
同じポイントへ流してチャレンジ
で釣果がこちら↑、カゴ師ボーズの中
何とか、40前後を7枚他スマカツオゲット・・・・・。



H25年 04月 7日 八丈島 神湊港 PM5:00~


強風の中、最近好調のアオリイカ
餌木にて・・・・。
初挑戦の小林氏、もう諦めてる
感じ・・・・。
とにかく寒い・・・・。
寒すぎる・・・・。ほんとに春か??
暗くなってくると、たくさんの
餌木師がやってきた。・・。



H25年 03月 31日 神戸ポートアイランド周辺


慰安旅行で神戸へ
夜のメバリングがやりたくて
ポイント探し
なんかいいかんじ・・・。
でも釣りしていいのかな??
地元の釣具店にてポイントを
聞いて、この場所へ
神戸空港のそば
詳しくは釣り場情報へ
メバリング釣果は、小さなカサゴ
が3匹、地元の人はメバルを
釣っていた、さすが・・・地元



H25年 03月 19日 自宅にて


頂いた、真カジキを子供たちが
喜んで頂きました。
船長ありがとう~~。
賢二君ありがとう~~~。
カジキの頭、一時間かけて焼きました。
めっちゃくちゃ美味しかったです^^。
かぶりつき~~~~^^



第1回バトルフィッシングカップを振り返って


  最後に今回、初めての釣り大会を開催し

  島の皆さんの協力もあり、事故も無く

  無事に終了することが出来ました。

  大変感謝しております。

  ありがとうございました。

  来年も是非大会が出来るように

  頑張りますので、御協力及び御参加の程

  よろしくお願い申し上げます。

  by  きんき
これは島の凄腕漁師あっちゃんが
釣り上げた、マカジキ・・・・
優宝丸船長が、東京へ持って行けと
買ってくれました。
船長~~ありがとうございます。



H25年 03月 17日  八丈島 小島(セイズコウ) (バトルフィッシングカップ最終日)


笑っても泣いても、今日の午前中で
大会も終了、最後に掛ける
たにやん、はたして・・・。
もりねも、最後の奇跡を信じて
潮に乗せて、流す流す・・・。
終了です^^最後にみんなで
帰りの船の中でパシャリ^^
お疲れ様でした。
唯一の大物^^
バトルフィッシング賞阻止の一匹
私がやりました。でもこれじゃ~~
そして表彰式です^^
フカセ、尾長メジナの部優勝は
慎ちゃん^^中根で釣り上げた
57.1cmです。
2位は北条君56.5cmでした。
ちなみに3位も慎ちゃん^^
黒鰓会強し!!
口太の部優勝は健太君
47.5cm、なんとバトルフィッシング賞も
獲得です。
口太の部2位はサンライン
フィールドテスターの内藤君^^
検量ギリギリに持ち込まれ
2位獲得、さすがです。!!
口太の部3位は黒鰓会会長の
ルアーマンさん^^
最後の最後に抜かれちゃいました。^^;;
これから恒例になるであろう
入賞者のカップ飲み^^??
日本酒がなみなみと・・・!!
もちろん、2位の北条君だって^^
慎ちゃんは3位も取ったから、もう一回(>_<);;・・・!!。
この後慎ちゃんは遠い世界へと
連れて行かれたとさ!
飲んでなかった、口太優勝の健太君も
引っ込みがつかなくなり
やるはめに・・・・。^^;;;
ルアーマンさんだって・・・・。
奥さんに怒られる!・・・・。
慎ちゃ~~~~~~~~~ん
もう、遠くに行っちゃってます。
あちゃ~~~~、奥さんがこ・わ・い!! まだ行く慎ちゃん・・・・・。
遅れて参加の高広君
何故か優勝カップ飲み???
で、また慎ちゃ~~~~~ん
で、高広君こんなんなっちゃいました^^。



H25年 03月 16日  八丈島 アシオレ (バトルフィッシングカップ5日目)


まさかの渡船が出ない事態・・・。
島の北側をあっちこっちと見て回り
南原で2時間ほどやってからの
アシオレ・・・。
風が強い、竿を持っているのも辛いです。
もりね、大型出るか~~~・・。
出ました~~大型^^
60cmオーバーかと思ったのに~~~
しかし、バトルフィッシング賞を
阻止しました^^・・・。
で、今日の釣果はこんな感じです。
口太多いな~~~~



H25年 03月 15日  八丈島 アシオレ (バトルフィッシングカップはお休み)


高広君かっこいい~~~~^^!!
さまになってます^^
この日の釣果はこんな、やっぱり
大型が出ない・・・。



H25年 03月 10日  八丈島 軍艦堤防 午前中 (バトルフィッシングカップ4日目)


東京から、仲間が一周年の祝いに
来てくれたので、ムロアジ釣りへ・・・。
強風の凄さに大はしゃぎ・・・。
もりねがずっと面倒見てました。
自分は、大会に集中
泳がせ釣りが理解できない・・・。
これ釣れたの???・・・。
ないない・・・。
底物釣果はワサ一枚
泳がせ、カゴ共にダメ
ムロは多数
夜は島の仲間達と一緒に魚八亭の
一周年をお祝いで、こんな感じ
ダンディー北条君まで・・・。
主将~~~~!! 黒鰓会長も・・・。
二次会でもまだまだ・・・・。
この後、高広君は遠い世界へ・・・。
絶好調、慎ちゃん・・・。
このまま逃げ切り優勝か・・・。



H25年 03月 04日  八丈島 軍艦堤防 午前中 (バトルフィッシングカップはお休み)


今日は大会日では無いので
島の大会用に頑張る~~。
活性は相変わらず高い。
このあと、凄いことが!!・・・。
く・ち・じ・ろ・・・・・。
詳しくはメンバーサイトにて



H25年 03月 03日  八丈島 アシオレ PM3:00~


午前中は小島の一の根に渡った
もりねとみやちゃん、しかし
40オーバーは釣れたが大型が
出なかったので、夕方の大型狙いへ
みやちゃんに鳥の応援が・・・。
はたして、みやちゃんは釣れるのか?
みやちゃん、やりました!!
自己記録45.4cmの口太メジナ
島の大会メジナの部3位確定
他の釣果はこんな感じ・・・。
数は釣れるも型が出ない・・・。
この日、南原で55.8cmが出た。
慎ちゃん、暫定一位



H25年 03月 03日  八丈島 小島(一の根)午前中 (バトルフィッシングカップ2日日)


初の小島チャレンジのみやちゃん
凄まじい風に、どうすることも出来ない
賢二君も、さすがの強風に
悪戦苦闘・・・・。
さらば小島!!
また来るぞ~~~。
べてらん賢二君も釣れない中、
もりね、やりました~~^^



H25年 03月 03日  八丈島 軍艦堤防 (バトルフィッシングカップ2日日)


凄い活性が良い、ガゼは秒殺。
しかし風が強い・・・。
当たる当たる・・・。楽しい~~~。
大型は出ず、ワサ6枚ゲット
ゆみの 島の大会石物の部2位獲得
たにやん、3位獲得です。



H25年 03月 02日  八丈島 洞輪沢沖堤防 (バトルフィッシングカップ初日)


強風の中、釣り場が無く
お願いして、沖堤防に渡ったが
ここもかなりの強風・・・。
強風の中、頑張るゆみの、たにやん
もりね、みやちゃん・・・・。
私は足が・・・・・・・・・。
沖堤防にゴレンジャー???
四レンジャーか^^
釣果はメンバーサイトにて
強風で撤収・・・。
バッカンやら、帽子やら
みんな飛んで行ったとのこと・・。



H25年 03月 01日  八丈島 ヨノモウ PM3:00~


ヨノモウで初の底物釣り
ヨノモウは足元が深く、ちょい投げると
浅い事が分かった。
ルアーマンさんはフカセ釣り
帰りに捻挫して、歩けなくなった・・。
釣果はメンバーサイトにて



H25年 02月 16日  東京にて~


島のベテラン漁師、あっちゃんから
頂いた、メジマグロ!!
子供に食わせてと・・・・。
子供たちも大喜びで、たくさん食べました。
あっちゃん、ありがとうございます。
また、よろしくお願いします。



H25年 02月 15日  八丈島 ヨノモウ 夕方~


あまりに、当たりが多く写真撮るの
忘れた・・・。でこれが釣果
最大魚、口太47.5cm1.78kg
記録更新!!でもやっぱ口太???



H25年 02月 14日  八丈島 アシオレ 夕方~


地元の名手、賢二君。側面側から
モロネ側へ流している。
あまり状況は良くない様子
賢二君 今度は先端へ移動し
同じく地元名手の慎ちゃんと
応援に、あったかいコーヒーを
持ってきてくれた、ゲッツの
お二人・・・・。さんきゅ~~!!
で、この日の釣果はこれ、
最大、口太45cm1.58kg
尾長は全部慎ちゃんと賢二君
なぜ、自分は口太なのか???



H25年 02月 12日  八丈島 アシオレ 夕方~


魚八店長は同突きでアカハタ狙い
しかしエサが取られないとの事
潮は沖へ流れいい感じ、エサ取り多い
40オーバーのタカノハダイが釣れた。
付けエサがだいぶ沈んでいるのか



H25年 02月 11日  八丈島 藍ヶ江港


海が時化てるので、渡船をやめて
藍ヶ江港にてゆみの・魚八店長と
水温が下がったらしく、当たらない。
私も釣りしたいと、応援に来てくれたのは
ゲッツのかよちゃん。ルアー竿に
中通し錘で、プチ石物。正座で釣りって・・・・。



H25年 02月 10日  小島 セイズコウ


久しぶりの底物3人が揃っての
釣行、船着けにて
なんかいい感じ、ガンガン当たりがある
入るか…・・・。
結果はワサ3枚で、最大魚が
41.2cmでした。口白に会いたい。
同じ磯のワンド側でフカセ釣りを
する名手太郎君、尾長53cm
1.96kgをゲットしてました。



H25年 02月 09日  八丈島 アシオレ PM5:00~


大しけの中、アシオレの付け根で
磯に隠れながらの釣行
潮に乗せて沖目で食ってきた。
口太40cm他、尾長2枚



H25年 01月 14日  八丈島 アシオレ 夕方~


エサ取りはさほど酷くはないが
水温が高いのか、活性が低い
何とか、口太をゲット38cm
潮が悪いのか?腕が悪いのか?
デカイシガキフク ゲット
51cm・・・。



H25年 01月 02日  八丈島 アシオレ(夕方~)


義理の兄です。初八丈で、沖縄から
来ました。しかも初磯釣りで
42cm、 尾長です。凄い!!。



H25年 01月 03日  八丈島 イデサリヶ鼻(朝~)


黒鰓会、大会最終日のため
何とか1枚釣りあげたいと風裏の
イデサリヶ鼻へ、もりね、義理兄、
ルアーマンさんと
ルアーマンさんヒット~~~~
しかし、上がってきたのはブダイ。
この日もエサが全然取られずでした。
大会の結果はhttp://blog.goo.ne.jp/11-03-kk-9-05-ak




     



Copyright © 2004-2012 Isotsuri All rights reserved.