H28年 12月 20日 沖縄県那覇 一文字堤防


仕事で沖縄に来てます。合間に釣りの日を作って・・・
ほんとに今年最後の釣りです。
夜中3時に起きて4時に受け付け
5時出船、まだ真っ暗です。
やっと明るくなってきたのが7時ごろ
沖縄は明るくなるのが遅い!!
迎えに見える北の新提に行きたかったが
人気があって混んでます。
ここは赤灯台と言われる場所
このテトラ周りにイシガキがいます。が
今回はフカセです。
見えるかな??サヨリらしき
魚影が見えます
利光、サヨリ狙いに変更しゲット・・??
あれ何か違う!!それサヨリで無く
ダツだ~~~!!
堤防で記念写真!二人とも
ほぼ初体験の釣り^^
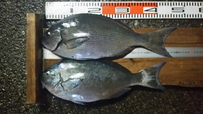
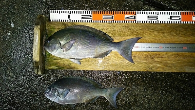
で今日の釣果はこんな感じでした
はじめて釣った魚もいて楽しかった^^
今回もお世話になった丸沖釣具さん



H28年 12月 17日 八丈島 イデサリ


今年最後の八丈島釣りかな^^
イデサリが最後の釣り場です。
北西強風で釣り場が無い中
ここは他とは違いベタ凪です。
もりね果たして・・・
期待にワクワク
潮が全然動かない
まずはダツの攻撃です。
コッパにも苦戦
ここはオキアジでいい思いでのある場所です。
このサイズのアカハタが良く釣れる。
放流したのですが、飲み込まれた物だけ
持ち帰りです。



H28年 12月 08日 八丈島 アシオレ


じゃ~~ん!!( * ´ ΨΨ `  )クスクス
帰るのやめちゃった^^  悔しすぎてね^^
今日は先端で出来るので
先端で挑戦!!
足元にはいい感じでサラシも
足元狙うとコッパだらけ
昨日の切られまくったポイントも気になる・・・・
魚八中村店長登場!!
ルアーでアカハタゲットしていた。
昨日の場所のポイントの方が
いいのかな・・・
夕方、地元木村君合流
応援に賢二君と北条君も登場
なのにまた写真忘れた・・・
帰る間際についに来た!!
北条君にタモ入れしてもらい
昨日の犯人!!ハリス5号で確保!
中村店長がゲットしたアカハタを頂き
明日こそ東京へ帰ります^^



H28年 12月 07日 八丈島 アシオレ


昨日のうねりが残っている
アシオレできるかな・・・???
八重根は人がいるみたいだし、
大丈夫かな^^
北西の風が強風です。先端は危ないので
モロ根側でやってみます。
結構荒れてます。でも何とか出来そうです。
しかし、食ってくるのはコッパとササヨ
たまにダツ
良い感じで暮れて来ました。
地元慎ちゃんが合流。
写真忘れた。~~(  ´  ;  ω  ;  `  )ウゥゥ
少し落ち着いてきたかな^^
この後、怒濤の切られまくりに・・・。
明日帰還なんでせめて犯人みたいが・・・。
結局撃沈・・(  ´  ;  ω  ;  `  )ウゥゥ



H28年 12月 07日 八丈島 ヨノモウ


北西の強風でヨノモウに来てみたが、全く釣りが出来ない。
やるところないな・・・。



H28年 12月 05日 バトルフィッシング忘年会


忘年会です。バトルフィッシングメンバー
全員集合
山本君達も愛媛から駆けつけてくれた^^
白石さんも飛び入り参加^^



H28年 11月 29日 北海道釧路 千代の浦マリンパーク


釧路にやってきた。釣具屋さんで場所を教えてもらい
様子を見に来た。
見た感じは運河のようだが
右奥に外海が見える。
ここの堤防も広く車が入れるので
楽ちん、周りの堤防でも釣り人が見える
足元の際はこんな感じ
魚は全然見えない。
釣れていたのはチカって言う魚
ワカサギに良く似ている、おいしいとの事
延べ竿のサビキ釣りでした。



H28年 11月 13日 神奈川県 葉山


もりねからの報告。
TMD丸で葉山へ
狙いはカワハギ!しかし
この日は全然ダメだったらしい。



H28年 11月 08日 エムズガール 釣り動画


エムズガール釣り動画1 エムズガール釣り動画2
エムズガール釣り動画3



H28年 11月 08日 八丈島 小島(下館)


地磯がダメなら小島だ!と小島へ向かうことに^^ 他のお客さんもいないのでエムズガールを誘ってみたら
ついてきた^^
下館到着。海は良い感じ^^
潮も流れている、これは期待できる。
裏のワンドもいい感じ^^
早速釣り開始です。
エムズガールは初磯釣りです^^
もりね、頻繁に掛けるも・・・
全てコイツです。ササヨ!!
沸きまくってます。
エムズガールにもササヨの攻撃
でも初磯釣りで、小島とは^^
ビーチタイムの邦君
仕事休みとの事で一緒に下館に
邦君は裏ワンドでやっていたが
やはりササヨだらけの様子
潮は良いんだけどな~~~
ササヨが多すぎる。
エムズガール爆睡中
そりゃ~~眠いよね
最後に下館で記念写真^^ これは珍しい^^邦君がゲットした
コバンアジです^^
さらば下館^^ 邦君お世話になりました^^
またよろしくお願いします^^
またね!小島^^



H28年 11月 07日 八丈島 南原(夕方~)


南原にやってきました^^
まだ、シーズンに入っていないらしいが
食ってくるのは、ササヨ、ダツ
やはり早いのか・・・。
暗くなっても食ってくれず。
撃沈です。



H28年 11月 01日 城ヶ島 居島新堤防


どうしても黒鯛釣りたいと
再度城ヶ島へ  たく丸船長お世話になります^^
オダッチはメバルとカサゴ狙い
たにやん寒そう~~^^ 明るい内は湾内で真鯛狙いにチャレンジ
一先早く先端に移動してきた。 まずはエサを撒いて魚を寄せておく^^
良い感じになってきたよ~^^
はやくおいで~~^^
先端で落とし込みにも挑戦
デカイ黒鯛も見えるが・・・。
新提はほんと広くなった^^ みんな先端に移動してきた^^
よし!がんばろう~^^
もりねやりました^^初黒鯛ゲット
ゆみの氏はまさかの石鯛^^
さすが底物師^^フカセでも石物^^
またまた黒鯛ゲット^^
もりねコツを掴んだか^^
皆さんお疲れ様でした^^
今日も爆釣^^
それなりの釣果で納得です^^
気持ちよく帰還です。
でこれがこの日の釣果^^黒鯛3枚
石鯛、40cmメジナ、メバルにカサゴ
爆釣でした^^
そして、魚八亭で美味しく頂きます。
いや~~うまい^^
メバルのお造り^^絶品です^^



H28年 10月 20日 城ヶ島 居島新堤防


またまた来ちゃいました^^
でも今日は5年振りの夜釣りです。
なんとまだ東京にいた慎ちゃん^^
真鯛・黒鯛を釣らせてあげたいとチャレンジです。
ん??誰かいるかな???
石物師が2名とカゴ師がいるようです。
夜までには時間があるので、先端は先客にやってもらい
自分たちは、かなり手前側で邪魔にならないように^^
先客が帰ったので先端に移動
自分と慎ちゃんは何をやっているのか・・・。
実は黒鯛がたくさん見えるのです^^
で、落とし込み釣りをカニ餌に挑戦・・。
でも食ってくれません
暗くなり、いよいよ黒鯛・真鯛釣りに挑戦です。
ポイントと釣り方を慎ちゃんにレクチャーして
チャレンジ。すると慎ちゃんいきなり良型のメバルゲット
そこから慎ちゃんの爆釣が・・・。
良型のメバルにカサゴに
自分も今までこんな良型が連ちゃんで釣れるのは
初めて^^黒鯛真鯛よりも価値高いし^^
結局城ヶ島では良型のメジナに
黒鯛を1枚ゲットで黒鯛真鯛の爆釣には
なりませんでしたが凄く楽しい釣りでした^^
この日の釣果はこんな感じ!爆釣です^^
ちなみにこのクーラー90cmありますよ^^
その日のうちに捌いてお造りにして
いや~~うまい!!
慎ちゃんの釣った巨大カサゴはから揚げに
このサイズのカサゴは中々釣れない^^
めちゃくちゃ旨かったです^^



H28年 10月 16日 城ヶ島 居島新堤防


会社のオリエンテーションで城ヶ島BBQ
自分たちは釣りチーム。午後には皆と合流します
てっちゃん丸出港準備中
こちらはTMD丸。今日の船長はもりね船長です。
息子も釣りがしたいと言うので連れて来ました
パパ掛かった~~^^
カワハギゲットです^^
思ったより釣りが出来るのに驚き^^
つじかわさん釣れますか?~~~
息子の偵察が始まります。
いえ~~い!!
凄く楽しいようです。また連れて来るかな^^
角のポイントでフカセ釣りをしているのは
なんと八丈島の慎ちゃん^^
細ハリスに苦戦中^^
なんか外海側でやっていたカゴ釣り
つじかわちゃん、でか~~いって騒いでる
上がってきたのは真鯛49cm
メジナも釣りたいって言うのでフカセも
レクチャー~し見事コッパゲットです^^
後ろで慎ちゃん足元狙いかな^^
みんな~~BBQの時間ですよ~~って
てっちゃんがお迎えに^^
パパ先に行ってるね~~^^
もりね船長もお迎えに来ました^^
お~~い^^
だいぶ変わってしまった居島新堤防
でも十分楽しめます^^
慎ちゃんは何を見ているのか??
何か見つけたか?帰るよ~~^^
もりね船長来たよ~~^^
もう疲れた~~~
朝早くからお疲れ様でした^^
この日の釣果はこんな感じです^^
カワハギ・メジナ多数に真鯛などなど
城ヶ島居島新堤防凄く楽しい場所です^^
慎ちゃんお疲れ様でした^^
もう細ハリスにだいぶ慣れてきたんじゃないかな^^



H28年 10月 14日 八丈島 八重根堤防


本日帰ります。この船には魚八亭中村店長が
乗っています。
帰ってきた中村店長
すぐにムロアジ釣りです^^



H28年 10月 12日 八丈島 八重根堤防


仕事の工程で中日が出来たので
八重根に港に残ったエサを持ってやってきた^^
活性低い・・・。沖磯とはやはりぜんぜん違う
小魚がつつく程度です。
周りは泳がせ釣りにカゴ釣り。
これといった釣果は無いようです。
たまりツムブリが食っては来るようだが
見ないで~~~~。( * ´ ΨΨ ` )クスクス
アオカン釣ってます^^
もう飽きてきたのか、同付きでアカハタを
狙い始めたたにやん
釣りした~~いとエムズガールが合流^^
釣りできんの?
一生懸命コマセにえさを入れてムロアジを狙います。
釣り楽しい~~~^^ きた~~~!!巻けない~~!!
おも~い!!
ってずいぶん小さなムロアジゲットです^^
でも釣れて良かったね^^
帰り際、素晴らしい夕日を見て終了
アオカンとの格闘動画2



H28年 10月 10日 八丈島 モロ根


ゆみの会長最終日。
最終便で帰るので、少しでも長く出来る
モロ根に渡船です。今日こそは!
たにやんは遠投で口白を狙ってます。
もうワサはいらないって^^
絶好調の人は違うな~^^
なんか凄く浅くなった気がする
カウントで13mだいぶ浅くなった・・。
遠投のたにやんは頻繁に当たるも、毎回根掛りで
少し心が折れてきている様子・・。
左がゆみの会長、右が自分です。
浅くなり根係りも多くなった。
当たるんだけどな~~~
竿が入るとアオカンなんだよな~~~。
3日目にしてまだイシガキを釣っていない、ゆみの会長
また根掛かり~~~~!!
もう鉛が無くなった~~。
撤収前ギリギリにゆみの会長、ワサ一枚ゲット
良かった~~~~。
ボーズを回避できた^^
で、これが今日の釣果です。
ひさしぶりにタキベラ釣れた^^
この日は黒鰓会の定例会^^
毎回豪華なBBQ、ほんと良いな~^^
東京じゃ味わえない。素晴らしい~^^



H28年 10月 09日 八丈島 大根


休みの賢二君と真由美さんを誘って
西側は時化なので大根へ
たにやん初の大根に期待高まる。
なんと賢二君
大根初上陸との事
大根が近づいてきた~。
はたしてどうなるか?
潮が引いてるせいか
先端で釣りが出来た
おっとヒット~~^^
真由美さん撮る時言って~^^
立ち上がるから~^^
反応は高く、頻繁に当たってくる
シラガ丸掛けにも良い反応
こうやって見ると自分も
竿上げすぎ・・・。反省反省
やっぱ良いな~~^^
沖磯は頭を真っ白にできる^^
都会を忘れられるね
頻繁に食ってくる正体はコイツ!
もう何匹釣ったかわからん!!
腰痛~~~!
自分もまたまたヒット~~~
でもやっぱアオカンだった
この日はアオカンが爆釣で
もう何匹釣ったか・・。
賢二君が「大雨降るよ~~。」って
その10分後ほんとに大雨が・・・。
みんなカッパを用意していたのね^^
雨も止んで釣り開始^^
ゆみのさんどうよ!!
えっ??何が・・・( * ´ ΨΨ ` )クスクス
この日アオカンを6枚くらい釣ったゆみの会長
真由美さん他はカゴ釣りです。
賢二君はぶっこみの同付き釣り
おっと真由美さんにヒット~~~!!
巻け巻けって叫ぶ賢二君!!
上がってきたのは八丈島では良く釣れる
ナンヨウカイワリ
賢二君はぶっこみで爆釣!!
もう流石としか言えない!!
ジョゴダブルヒット^^
で、この日の釣果はこんな感じ^^
ほとんど賢二君の釣果^^
素晴らしすぎる^^
アオカンとの格闘動画1



H28年 10月 08日 八丈島 八重根堤防


一便でゆみの会長合流!しかし時化で小島は
中止、仕方なく八重根堤防へ
相変わらず、夏の海で泳がせにルアーに
にぎやかな堤防
たにやん、早あわせにならないように
竿から離れて様子を伺う^^
活性低いな~~~。
食いこまね~~~。
ちょくちょく当たるんだけどな~~~。 っと思ったら絶好調たにやん!
本日のおかずゲット!!
結局、ゆみのさんと自分はボーズ
( ´; ω ;` )ウゥゥ



H28年 10月 07日 八丈島 八重根堤防


午後からのタマン狙い^^
周りは泳がせでツムブリが数本出ていた
あたりはあるも、小魚もつつく程度ダメだな・・・。



H28年 10月 06日 八丈島 底土港


「古山君アカバが食いたいです^^。」って
お願いしたら一緒に来てくれました^^
たにやんと自分はタマン狙い^^
しかしウツボに邪魔されます^^
そんな状況の中!さすがの古山君
きた~~って^^
はいどうぞ~!!やった~~^^
今晩の晩飯確保~~^^
他にもカサゴやら八丈島でも珍しいらしい
ヒゲダイもゲット^^ほとんど古山君が釣ってくれました^^
ありがとうございます^^



H28年 10月 04日 城ヶ島 居島新堤防


久しぶりの城ヶ島
堤防が決壊して初です。形状が変わってます。
堤防自体は数m長くなり更に広くなりました。
最近石物が好調との事
水面に見える黒鯛を狙ってみるが
追ってくるものの食い込まない。
内海側は穏やか!岩場の方にてっちゃんと
オダッチが居るのですが・・・。見えない^^
出来立ての堤防なので綺麗です^^
広くてすごくやりやすい^^
ここはいろんな釣りが出来るので大忙し^^
テトラに落とし込み仕掛け準備中
しかしテトラが変わってしまい、浅くなってた。
てっちゃんとオダッチが近づいてきた^^
釣れてるかな~~^^
必死にチヌの落とし込みをやる自分!!
どうして食わないんだろう~~???
追ってくるのに????
きたきた^^どう~釣れてる???
って声をかけると・・・。
エサが無くなったとの事で、堤防チームの
エサを分けてあげることに^^
オダッチ、ビビリながら立ち上がる^^
もりねは内海側で良型のメジナを狙っているが
ヒラソウダが連発していた^^。
すると、石鯛狙いのたにやん^^
釣れた~~って凄い!!
実は何度も挑戦してますが、ここで釣れたの初!
自分は良く引くヒラソウダかと思ったら
イナダでした^^
またまたたにやん^^また釣れた~~^^
って凄い!!堤防が変わったせい??
一緒に乗った方にも石物連発していた^^
この日の釣果は堤防チームがこちら^^
爆釣です^^
ボートチームもカワハギ爆釣
今回もデカカワハギをゲットしたのは
オダッチ  29cm
美味しく頂きました^^
石鯛うめ~~~^^もちろんカワハギも^^



H28年 09月 05日 八丈島 八重根堤防


泳がせ釣りに八重根堤防へ。
しか~~しムロアジ釣れません。
いつまでたっても釣れませ~~ん
結局エサが釣れず終了。
周りも特に釣れることも無く、静かな堤防でした^^



H28年 08月 24日 八丈島 底土港カヌー揚場(夕方~)


今回もタマン狙いで出かけてみた^^
実績が高いとの事で底土カヌー揚場に
観光客はサビレを釣って楽しんでいる^^
しかしタマン仕掛けは無反応。



H28年 08月 19日 魚八亭千住店


やっとバトルフィッシングの刺繍が完成
東京に仕事で来ていた山本君と小笠原社長に
渡すことができた^^
これから、バンバン釣っちゃってくださいね^^
来年のBTFカップ優勝して下さいね^^



H28年 08月 06日 八丈島 八重根堤防(夕方~)


一度は八丈島でタマンが釣りたいと八重根に・・・。 あたりは頻繁にあるが、本命ではない感じ
途中パトカーにて・・・・。
(  波が高いので撤収して下さい!  )っえ!残念
高提側は穏やか・・・。
工事もやっていない^^
よし!高提防へ移動しよう~~^^ せっかく移動したが、こいつばっかり・・。
もうへとへと。・・・。( ´; ω ;` )ウゥゥ



H28年 07月 26日 三重県鳥羽 小浜湾


和歌山からの帰りに再度鳥羽のホテルへ
今日は、釣りの出来る部屋が予約できました。
子供たちも大興奮で釣りに挑戦。!!
しかし干潮で足元の岩がむき出しです。
根係り心配です。
どうやらこの石周りにエサを落とすと
カサゴなどが掛かるらしい。
更にこの辺りまで黒鯛が来るとの事。
でも、根係りが嫌なので自分は遠投フカセに挑戦です。
部屋からコマセを撒くのは大変だし、
部屋が臭くてたまりません^^
子供たちはクサフグゲット。
他に小鯖が入れ食いになりましたが
黒鯛の姿は見れませんでした。



H28年 07月 24日 三重県鳥羽 小浜湾


ネットで部屋から釣りが出来るホテルがあると知り
和歌山の田舎へ行く途中に鳥羽に立ち寄る事に。
今日は釣りが出来る部屋が満室なので
ホテル専用の筏の上で挑戦。
湖みたいな海です。
水深もなく遠浅で砂地のようです。
左奥に見えるのが宿泊したホテルです。
ホテルの部屋から見た筏
今日の釣果はサバとチャリコのみです。
まったく波が有りません。



H28年 07月 07日 八丈島 藍ヶ江港


翌日、自分も泳がせ釣りを・・・。
純君に頂いたムロアジで、ヒラマサゲット
今日は地元の釣り師が・・・・。
地元の釣り師にムロアジを頂き・・。
自己記録のハガツオゲット



H28年 07月 06日 八丈島 藍ヶ江港


エースの高広君が藍ヶ江にいるとの事で様子を見に・・・。 状況が悪いのか、ガラガラです。
必死にムロアジを狙う高広君 疲れちゃったか・・・。まったりモード。
釣果はハガツオ1枚でした。



H28年 07月 05日 八丈島 八重根堤防


泳がせ釣りに八重根に来ては見たが・・・。
オダッチは得意な同付き
相変わらず釣ります。
イカでイシガキ釣られると複雑だけど・・・。
結局ムロが釣れずに泳がせ断念。



H28年 06月 28日 八丈島 南原


翌日、大雨強風大しけの中、北条君と一緒に
八重根へ・・・。
すると、魚八亭店長中村氏が・・・・。
ムロはちょくちょく釣れている。
泳がせチャレンジ^^
6回食ってきて、やっと1枚ゲットです。
いつ合わせればいいのか・・・。難しい・・・・。
その後、地元漁師のテル君がやってきて
すぐにヒラマサゲット^^さすが^^



H28年 06月 27日 八丈島 アシオレ


急遽仕事で八丈島へ・・・。
水温も低いしまだ釣れるかなと思い
夕方5時過ぎからの釣行
6時過ぎても7時過ぎても暗くならない・・・。
7時過ぎに足元に怪しい気配を感じ際を攻めると・・・ やっぱいました^^
そんなに大きくはないですが、41cm
尾長ゲットです^^



H28年 06月 19日 南伊豆 大瀬


昨日の大会さめやらずの中、
今日はお土産釣りです^^
渡船受付場で記念写真^^
朝日が昇ってきました・・・。
果たしてどこの磯に渡るか・・・
船長にお任せです。
今日はイサキが釣りたいな~~~
いざ出船です^^
黒鰓会のライジャケ^^
良いですね~~~^^
乗った磯はオン根の離れ,ここも普段は
水の中っぽい磯です。
小鯖の群れが半端なく交わせません。北条君も苦戦中 もりねに良型イサキが掛かるも続きません
慎ちゃんはなぜそんなところで竿を出しているのか?
実は水道なんです。幅2m無いくらいのオン根との間に
水道があります。向こう側がオン根、こちらが離れ
慎ちゃんやりました^^しぶとく水道を攻めて見事キャッチ^^
もりねのイサキと慎ちゃんの口太 あまりに小鯖が多く釣りになりません。
船長の機転で磯替えすることに・・。
オン根の離れで記念写真
右後ろが北条君と乗った中の島
見える磯はツユクサって磯かな??
これから移動する黒根です。
大瀬の中で最も沖にあり、水深もある磯です
ワクワク^^
黒根に到着。
早速竿を出すと・・・いない・・・・
小鯖がいません^^
期待度マックス、北条君良型掛けるも根ズレでハリス切れ・・・残念!! 底の方に良型の魚影を見つけた慎ちゃん
持っている一番太い3号ハリスに変更
しかし・・・バンバン切られて終了
潮がガンガン流れているので、もりねひたすら流す・・。 すると、大型の当たりが・・・・。
北条君も網を持って準備万端
青物だと思って盛り上がったけど、
正体はゴマサバでした。
だんだん霧が濃くなってきた・・・。
撤収時間・・・・。 なんか海の上に人が立っていると・・・。
そんな馬鹿な・・・。
え??ほんとだ・・・。 え~~~~まさかこんな所も下りるの??
めっちゃ怖い・・。
今回の釣果、すべてイサキです。
船長の機転のおかげです^^イサキ爆釣
メジナもそこそこ釣れました。
釣行動画 Ver.1 釣行動画 Ver.2



H28年 06月 18日 南伊豆 大瀬 第四回クラブキザクラ伊豆懇親釣り大会


うねりが心配でしたが、大会開催が決定しました。 抽選でどこの磯に乗るかが決まります。
神保テスターが大会詳細を説明しています。
前日のうねりがまだ残っているそうで
磯が限定されるようです。
昨日よりは全然うねりは無いです^^
慎ちゃん・もりねチームは親島に決定
乗ったこと無いので分りませんが
傾斜面の磯ですね・・・。
疲れそう~~~
サラシもいい感じで・・・。平スズキいるんじゃないかな^^ 慎ちゃん初の南伊豆・・・。
果たして・・・・
サバの猛攻撃に遭ったようです
メジナはコッパばかり・・・。
あちらこちらに参加選手が竿を出しています。
他の選手が下りているのは高平??
で自分たちが下りたのは・・・。
中の島です・・・。なんと下りた時は
ほぼほぼ水面に浸かっていて、マジって
ここに下りるのかと・・・。
少し高くなっているところで竿を出す北条君
イサキ連発しました。
記念写真^^ここに下りた時は水の中^^
引き潮でどんどん磯が大きく^^
小鯖の攻撃もありましたが、秘策の海苔エサを使ってなんとか
良型の口太をゲットです。
お迎えの船がやってきました^^
慎ちゃん達も乗ってます^^
どうかな??釣れたかな???
何処の磯も小鯖の猛攻撃で苦戦したようです。
港に戻って、エド山口氏と神保テスターに
お願いして記念写真を^^
こちらは磯での記念です。
慎ちゃん・もりねチーム(横浜真ぐれ会さんより)
きんき・北条君チーム
(横浜真ぐれ会さんより)
そして表彰式です。なななんと・・・
自分準優勝しちゃいました^^
シャンパ~~~~ン^^
(子供用なのでノンアルです笑)
エド山口氏と記念になります^^
キザクラのバッグ頂きました^^ 釣り方など聞かれ、答えましたが緊張・・。
何言ったか覚えていない^^
表彰状と磯バッグ 慎ちゃんはじゃんけんでエスカップゲット^^
北条君も良型口太ゲットこれ3匹釣れてれば
優勝だったろうに・・・。
でも、サバの攻撃を交わして釣るのは流石^^
で、じゃんけんでポテトチップス一箱ゲットです。
もりねもエスカップゲット エスカップツーショット^^



H28年 06月 17日 南伊豆 大瀬


明日のキザクラの大会に参加する為
前日入りで南伊豆に向かう途中
下田海中水族館に行ったりして観光してます。
天城越えで有名な常連の滝です。 マス釣り場もあって楽しめるようです。
本日お世話になる南伊豆大瀬の「倉の下」に
到着です。
早速明日の釣り場の様子を見に行く
慎ちゃんと北条君
結構うねりがあります。明日収まってくれると良いですが・・。 なんて磯か名前わかんないですが、
ここも結構被ってました
堤防を見て回る慎ちゃん、実は今年から港での夜釣りが
禁止になったそうです。原因は釣り人のマナーのようです
地磯で釣りをしている人を発見。
どうやって行ったのか??
釣れている感じはしないです。
水深もかなり浅いと思います。
沖の黒瀬です。かなり被ってます



H28年 06月 08日 八丈島 南原


朝一大雨で渡船は断念。地磯南原へ
水温が低いせいで水位がかなり低いです。
当たりません・・・。ガンガゼ・カニにも
無反応です。
やはり小島へ行くべきだった・・・。 唯一食ってきたのはフグ・・・。
やる気が失せます。
辻川氏は諦めず底物を狙ってますが・・・。
何回かあたりは有ったとのことですが・・。
自分とゆみの氏は底物を諦め、上物に切り替えです
この水温なら上物の方が良いと思ったのですが
食ってきたのはコイツです。
イスズミです。BF記録更新です。



H28年 06月 07日 八丈島小島(カンナギ)


一便で到着後、10時便でカンナギへ
さすがカンナギ低水温を感じない活性の高さ
白髪丸掛けでも秒殺で無くなります。
潮は穏やかです。
一緒に乗った邦君
邦君はフカセに挑戦です。
名礁カンナギで辻川氏
底物2回目でカンナギとは贅沢です。
水温は良い感じですが、ササヨが大量にいるらしく
苦戦してましたが、良型の口太をゲットしてました^^
楽しい時間はあっという間です。
ひろし船長が迎えに来ました^^
夜は黒鰓会の定例会に参加しました^^
なんと贅沢なBBQ。
最高に美味しかったです^^



H28年 05月 18日 全磯連関東支部懇談会(大崎)


本日は全磯の懇談会に参加です
大崎のホテルニューオータニに来ました。
舞台は出来上がっています。
なななんと・・・!
スピードの今井絵理子氏ではないですか^^
釣りするのかと思いきや、選挙活動のようです。
せっかくなので、ご挨拶を^^
ゆみのさん誰か知ってるのかな??
で、自分もちゃっかり^^
名刺交換して、連絡先も分ったので、今度
釣りに誘ってみるかな^^
荒磯会の成田会長と磯野さん^^
この二人も知ってるのかな???
八丈島荒磯会の席です。誰も話を聞かず、各々の釣り談話で
盛り上がりです^^
奥のテーブルには八丈島でお見かけする
ポイント磯クラブの皆さんが座ってます。



H28年 05月 05日 八丈島 エースカップ表彰式


さあ!いよいよ表彰式です。
高広君終わって嬉しそう^^
結果はどうなんだろう~^^
期待が膨らみます^^
第三位からの発表~~^^
黒鰓会会長古山君か・・・師匠賢二君か^^
なななななんと!もりねがやりました^^
3位入賞です^^
もりね初の大会入賞です^^おめでとう~~^^ でもなぜか主催者も一緒にお祝い一気^^
高広君好きだな~~^^
そして第二位はさすがの慎ちゃん^^
なんせエース釣具店の公認フィールドテスターですから
やった慎ちゃん^^おめでとう~~^^
持ってる人です^^
で、やっぱり高広君とお祝い一気です^^
高広君痛風悪化しそう~^^
そして栄光の一位は・・・・・。
なんと居ません^^仲真さん~~~^^
南鷲会の仲真良次さんです^^
で、やっぱり高広君が代わりに
お祝い一気を優勝カップで^^
さ~ここからは商品ゲットのじゃんけん大会の
始まりです^^
じゃんけんに勝つと商品+一気!
勝つのが怖いじゃんけん大会。
ちなみに大会結果はこちらです^^
これは新しい、お祝いちゅ~~~!!
飲めない伊藤さん用に用意されていた^^
またまた一気しているもりね^^
3位入賞ですからね^^
賢二君が暴れ始めた~~^^
最近入賞していないので、怒り爆発か^^
主催者も攻撃に・・・・・笑
で、自分だってやっちゃいますよ^^
きつい~~~。なんで自分やってんのか???
もうじゃんけん関係なくなってきた~~^^
6升の日本酒があっという間に・・・。汗
繁さんだって~~^^
凄い量を一気で・・・・・。汗
高広君お疲れ様でした^^
また来年楽しい大会を期待していますよ^^



H28年 05月 05日 八丈島 ヨノモウ


今日も渡船は中止、相変わらず西側は
大荒れの模様。東側の磯を観察して・・・・。
渡船のつもりだったので、早い時間からヨノモウへ・・・。
ヨノモウは相性悪いけど・・・・。
海はべた凪・・・。やはりエサは取られない。 先に入っていた石物師・・・。カニ餌で挑戦してるが
本命のあたりは無い様子。イシガキフグを掛けていた。
サラシに乗せて、沖へ流すもエサ取り居ない。 奥の方に黒鰓会会長の古山君と北条君が居るらしいが
車は見えるも姿は見えない。
なんと自分が熱中症に・・・。車で休憩中
もりねが心配だけど・・・。
夕方なんとか真鯛と尾長ゲットも入賞サイズに届かず・・・。
初の真鯛ゲット、もりね^^
これは嬉しい外道です^^



H28年 05月 04日 八丈島 アブラト


西風が強く、渡船が出ません。
アブラトに来ると中島親子が^^
場所も無く、お願いして横で竿を出させて貰いましたが
状況は良くないようです。
やはり魚の気配がありません。
付けエサそのままの状況が続きます。
エサ取りもいないので、足元を攻めると一発デカイの
掛けましたが、細ハリスにしていたので切られてバラシ・・・。
足元や遠投など皆いろいろ工夫するも
一向に状況は良くない・・・。
陵亘君が小型の真鯛とサンノジを掛けて少し
状況が上向きになったと思ったが・・・。
結局最後まで状況は変わらなかった。
これからって時に、食事会があって撤収
この写っているあたりに地元慎ちゃんが釣りを
しているとの情報 後日、暗くなってから
入れ食いになったらしい・・・。やっぱり^^
そのままやりたかったな



H28年 05月 03日 八丈島 アシオレ(夕方~)


今日からエースカップ開催です。
何とか入賞魚を目指します。^^
アシオレは南東の風が強く、それでも何とか
ひな壇で竿を出します^^
状況は昨日同様エサを取られません。
そんな中、暗くなって、もりねが良型尾長ゲット
尾長メジナ47.7cm  1.74kgもりね記録更新です



H28年 05月 02日 八丈島 南原(夕方~)


二便で到着後先入りしていたもりねと合流
南原へ
サラシもいい感じであったが、何も食わない
エサがそのまま戻ってくる
我慢の時間が過ぎていくも、暗くなって
食ってくるのか・・・・。不安
若干のうねりもあり、続けられるか少し心配
いよいよチャンスタイムに突入 釣れました^^尾長と口太です。
尾長は46.8cm 1.48kgでした。



H28年 05月 01日 八丈島 小島


2便でもりね渡船もうねりがあり苦戦
一緒に乗った純君に良型の尾長メジナ
55.5cm  2.74kgゲット



H28年 04月 20日 熱海 沖磯ワク島


前回の八丈島で不完全燃焼だったので
もりねとゆみの氏を誘って、黒鯛狙いの
熱海ワク島へ
就航・・・・・
もりねは初のワク島
途中、地磯を見ながらポイントへ
いい感じです。
洞窟みたいなポイントが多数
もちろんここにも渡船出来ます。
ここもいい感じです。でも今日のポイントは
一番遠い、ワク島
ゆみの氏はカワハギとカサゴ狙いです
沈み根を集中的に攻めてます。
もりねはフカセで黒鯛狙い。
しかし、黒鯛どころかメジナもいません
遠投しても状況は変わらず
しかし、エサ取りは多く付けエサは取られます。
結局フカセは完敗
ゆみの氏はウツボと格闘しながら
カサゴは不発でした。
しかし、カワハギは爆釣です。
しかも良型・・・。食べるのが楽しみ^^
本日の宿から見た、熱海港
東京から車で2時間ちょっとで来れる。
近場のリゾート地です^^
で、ホテルに頼んで本日のカワハギを・・。
うまい~~~^^やっぱ肝はたまんないです^^



H28年 04月 03日 八丈島アシオレ (夕方~)


先端でチャレンジ・・・
もりね、頻繁にコッパを掛ける。
潮は良くない、エサ取りも多数いて
付けエサが残らない。
先に入っていたビーチタイムのお客さん
同じくコッパに悩まされていた。
足元も攻めたがコッパしかいない。
結局暗くなっても良型は見れなかった。



H28年 03月 20日 バトルフィッシングカップ表彰式


ついに戦いが終わりました。
表彰式です。どんな結果になるのか??
逆光???笑
フラッシュが負けてる??^^矢野さん^^
古河原さん、賢二君^^
いつもありがとうございます^^
フラッシュ効いてる^^
矢野さんは何処へ^^皆さんお疲れ様でした^^
では、表彰です^^まずはバトルフィッシング賞から^^ フカセ石鯛の部・・・56cm  3.4kg
黒鰓会兼エース釣り具テスター慎ちゃん~~^^
まずは一杯^^おめでとう~~^^ 1,000円ゲットです^^フカセでこのサイズは反則でしょう^^
フカセ、イスズミの部・・・56.7cm  2.95kg やったね真由美さん^^
黒鰓会 尾野真由美さん 1,000円ゲット
差別の無いバトルフィッシングは容赦ないです^^ おめでとう~~^^次はメジナで優勝だね^^
底物イシガキダイの部・・・
なんとわたくし、やっちゃいました。
64.7cm  5.1kg
自己記録です^^
フカセ尾長メジナの部
またまたやっちゃいました^^
仲間からの祝杯、半端ないです^^
58.8cm  2.92kg
次に大会の表彰です。
フカセ尾長メジナの部
黒鰓会、北条君やりました^^
去年3位からの2位浮上^^
49.2cm  1.75kg
北条君は去年尾長、口太共に3位
第一回では尾長2位と入賞の常連さん
おめでとうございます^^
来年は優勝ですね^^
そして、第一位・・・・・
やりました^^去年2位からの優勝です。
大会2日目にして釣って、そのまま逃げ切りです^^
海女屋の中島陵亘君
51.75cm  1.90kg
特別に賢二君からもう一杯^^ほんとにおめでとうございます
6万円ゲットです^^
また賢二君からもう一杯^^
悔しいのか、嬉しいのか・・・笑
愛されているって事で^^お疲れ様でした^^
続いて、口太の部です
46.0cm1.55kg
やりました第2位
ビーチタイムラダーズ伊藤寿さん
場所はヨコモウ・・・。って何処??
秘密の場所かな^^今度教えてください^^
車の運転があるので、代わりに
ビーチタイムラダーズの太郎会長が・・・。
そして、第一位^^
46.9cm  1.65kgオオゴシ^^
金内礼二さん
なんと八丈島に移住してきたんだって^^ いいな~~~^^
6万円ゲットです^^
おめでとうございます^^
恒例の・・・・・・
大丈夫ですか???^^
続いて、底物イシガキダイの部
やったぜたにやん^^
地磯南原 57.3cm 3.1kg
第2位です^^
賢二師匠、どこまで入れるか、見てません
こわいこわい・・・。
たにやん、おめでとう~~^^
もっともっとデカイの釣りましょうね^^
そして第一位
64.7cm 5.1kg
やってもうた~~~^^
でもうれしい^^
去年の尾長メジナの仕返しですか~~^^
陵亘君、許して~~~~^^
うっ!!つ辛い・・・。
きっとこれで終わらないよな・・・。
やっぱり・・・師匠・・・
焼酎ストレートは・・・。
まさかの慎ちゃん・・・・
もうだめだ~~~
皆さん、ほんとお疲れ様でした^^ 古山君、ありがとうございました^^
バタバタしててちゃんと挨拶できずすみません。
なんで、ゆみさん一気してんの??
やけ酒??笑
サーフ君・シオン君ありがとうね^^
君たちは素晴らしい島で育っていることに感謝してね^^
さて、ここからは恒例のじゃんけん大会です。
素晴らしい協賛の商品をゲットしましょう^^
まずはビーチタイム賞ですね^^
木村君が取ったんだっけ??
もう覚えてない・・・
こちらは島の凄腕漁師松丸のあっちゃんからの
協賛、鮮魚です^^
なんと山本君の事務所の社長がゲットしました^^
愛媛県松山に送ってました^^良かったです
優宝丸様より、無料渡船券です。
熱くなります^^
ひろし船長じゃんけんが強い!!
勝てないよ~~
あれ??もりねゲット???
やっぱり覚えてない^^
ついに賢二君が暴れだした~~^^
だれか止めて~~~^^
続いて、バトルフィッシングから
3位入賞が居ないのでじゃんけんで
古山君ゲット???
だよね^^おめでとう~^^
なんと、魚八亭、エムズの母体の会社
ティーエムディーより専務賞
現金一万円を2回です^^
ん??賢二君とサーフ君???
どっちが買ったんだ??
入賞できなくても、このじゃんけん大会が結構
熱いです^^木村君もゲット^^
賢二師匠もゲットしてますね^^良かった^^
そして、エース釣り具の高広君が締めてくれたんですね もう記憶が・・・。ありがとう~~^^
皆さんお疲れ様でした^^
ここからは、皆さんから頂いた写真も含めて
楽しい記憶を紹介です
白石さん、ほんとお疲れ様でした^^
映像楽しみにしてます。
慎ちゃん目いっちゃってますよ^^ 気持ちよくよってますなぁ~~~^^
山本君もありがとうございました^^
悪天候の中、おししい魚ゲットさすがです^^
高広君釣ってよ~~^^
もうみんなグチャグチャ^^楽しい宴です^^ ゆみのさん超ご機嫌じゃないですか^^
えっ?またじゃんけん大会したの?なにで?? これお気に入り^^かっこいい^^
エムズ新人ガール、ゆかりちゃん^^おっかない二人に囲まれてしまった えっ?えっ??やっぱじゃんけん大会したの?
だめだ~~~。できてる・・・。 慎ちゃんが何でこんな酔っているか??
なるほどね・・・・^^ 飲ませ合いが始まってる・・・。
あれ?古山君の隣に・・・いつ??覚えていない・・・。 バトルフィッシングマスコットの那帆ちゃん



H28年 03月 20日 八丈島 南原


本日最終日、なんとうねりが取れず渡船中止に・・・。
南原に来た^^地元木村君も一緒に^^
昨日の最終便でやってきた久しぶりの八丈島てっちゃん
てっちゃんはメジナ狙ってないな^^
きっと、狙っているのはシマアジ^^
てっちゃん、メジナですよ~~^^
左木村君、右もりね^^
サラシに吸い込まれ、同じ場所に流れるらしい。
山本君ヒット~~~^^
凄い凄い^^やるな~^^
でもうねりが怖いな~~。
地元木村君、何気なく山本君の後ろに回って
うねりを見ながら、いつでも山本君を掴める位置に
島の人達はこうやって助けてくれるんです。
この優しさに島外の人は気づいてるかな^^
おめでとう~~^^去年はムロしか釣れなかったもんね~~^^
よかった~~^^
慎ちゃんは、大池側にいました^^
伊藤さん、渡船中止で場所探しながら応援に
来てくれました^^
おっと慎ちゃんヒット~~か??
なんか変??・・・芝居でした^^
伊藤さんと、有名人太郎君^^
デカイの頼みますよ~~^^
木村君^^自分と同じシマラーです^^
お世話になりました^^
山本君、今回はご機嫌ですな~^^
でも、うねりも見てね~~^^
てっちゃん、メジナですよ~~^^
最近もっぱらボートにハマってますが^^
底物チームの竿^^
いい感じ^^左たにやん、右きんき
これ、自分です^^
ホワイトキング使ってます^^
ランチ中の底物チーム すると大騒ぎの声が~~^^山本君だ~^^
今回はプロのカメラマンとして
みんなを撮影してくれた、白石さん^^
ありがとうございます。
で、山本君が釣り上げたのはこいつ^^
スマカツオ^^うまいよね~~これ^^
ほんとおめでとう~~^^
てっちゃん、エサが無くなるとぼやいてる・・。
エサが自然に落ちるのかな??って
それ、エサ取りだと思いますよ^^
撮影風景。手前が石物、奥がフカセです。
なんと、たにやん自己記録魚ゲット~^^
凄い!ノリノリですね^^
地磯で、このサイズは価値ありだよ^^
記念写真^^南原チームです。
お疲れ様でした^^



H28年 03月 19日 八丈島 ヨノモウ


中盤二日目です。まさかの大しけ釣り場がありません。
そんな中でも何とか場所探しして挑戦・・・。
しかし、撃沈です。潮動かず。
昨日の2便で八丈島入りした、ゲストの
元光ゲンジ山本君。久しぶりです^^



H28年 03月 18日 八丈島小島 一の根


中間初日に選んだ場所は一の根、もりねは玉石側に・・・。 一人で石物とフカセはきついな~~
早く来ないかな~~~。
お~~~来た来た~~^^
お~~い!!
ん??たくさん乗ってる??
だれだ??
まさかの慎ちゃんが乗っている^^
今日は仕事って?????
仁之君もいるぞ~~^^
たにやん・ゆみの合流^^新メンバーの辻川ちゃんは
玉石側のもりねと合流
活性高いっすね~~^^たにやんが大物ぶりを^^
さすが全チャンピオン^^
で、いきなりヒット!!さすがです。
今晩の晩飯用ゲット^^
いいね~~盛り上がります^^
すると一の根の一級場所の角にもりね現る^^
頻繁にヒットさせているもりね^^
しかし、色が違う。
ササヨとの格闘が始まった~~^^
掛かるんは全てササヨ・・・。笑
ゆみのさん、笑っちゃダメだって~~~^^
ほら~もりね見てるよ~^^
こちらは玉石側の一級場所
真由美さんがいますね~~~
大丈夫かな~~。濡れてるけど
ちょっと怖い感じもするが。
新メンバー辻川ちゃんにアドバイスする
ゆみのさん、底物師がフカセをアドバイス。
あれ~~?いつの間にもりね??
ササヨだらけで移動してきたのかな?
こちらは一級磯のカンナギです。
古河原さんと矢野さんが乗っています。
真由美さん、なにか頻繁に掛けてる感じだけど・・・。 またヒット~^^ここ正解だったかな^^
でも気を付けてね~~^^
真由美さんの後ろのタイトプールには良型の
メジナとササヨが・・・。
こちらは、10時便で仕事のはずがやってきた
慎ちゃん。中根に渡船です。
もりねが角から撮ったゆみの、たにやん
いい写真ですね^^
新メンバー辻川とやっぱり心配、真由美さん。
戻れなくなるんじゃないかな・・・。
無事に終了です^^
この日は、真由美さんと自分に良型のメジナ
しかし、入賞サイズに届かず。
真由美さんはBF賞入賞のササヨゲット
お疲れ様でした^^
サイズは出ませんが、石物も数釣れました。



H28年 03月 17日 八丈島地磯 南原(夕方~)


明日からいよいよBTFカップの中盤戦に
入ります。
前日戦は大好きなアシオレに先客がいたので
南原に来ました。久しぶりの南原です。
海は凪です。日差しが強い~~^^
ずっとこの天気だと良いんだけどな^^
途中、イカ狙いで彷徨っていた真由美さんと出会い
誘ってみた^^
ワンドを丁寧に攻める真由美さん。
しかし潮が逆でやりづらそう~!
もりねはいい感じで潮に流している
でもやっぱりエサ取りが多い。
賢二君も合流です^^暗くなったらエサ取り
居なくなると期待して
いい感じになってきました。賢二君からたまに足元で
デカイの掛かるけど、取れないとの話を・・・。
で、足元でほんとに食ってきちゃいました。
でも大会前でノーカウント・・・・。泣
さらに磯連の大会も忘れて・・・・。
それでも自己記録更新です^^ 58.8cm  2.92kg



H28年 03月 07日 八丈島地磯 アシオレ


まさかの飛行機欠航・・・。また釣りが出来ると思いきや
アシオレはこんな感じ。
それでも先端の高場でうねりを見ながらチャレンジすると
良型の口太をゲットです^^



H28年 03月 06日 八丈島地磯 アシオレ


なんと今日は悪天候・・・南の風が強く、渡船は断念。 アシオレの先端は勿論、左側も不可能なので、右側のワンドで
エサ取り多数。尋常じゃ無い程のエサ取りが見えます。
主にコッパです。
時より降る雨が更に悪条件を・・・
結局この日はコッパで終了。
小島に渡った参加者が良型を釣ったとの情報も



H28年 03月 05日 八丈島小島 シモダテ


いよいよ始まりました。BTFカップ
総勢39名の釣り師が、入賞目指し今日から始まります。
皆さん各々の考えや情報で磯を選んでいます。
どこにするかな~~~^^
ここは邦君達が選んだハコと呼ばれる場所 何が釣れているか見えませんが、頻繁に竿が曲がっていました^^
こちらは慎ちゃんが選んだカタナカ  どうかな?? 慎ちゃん~~!!って呼んだら聞こえたらしい~^^
何やらデカイの掛けている様子だが^^
本石が多い様子^^
こちらはもりね^^下館です^^
先端で開始です。果たして・・・・・・
右は真由美さんです
エサ取りが多く苦戦の模様。エサが残らないらしい。
途中でイルカがご挨拶・・・。
イルカがいると釣れないと言うが・・
真由美さんどうですか~~^^
先端裏側で竿を出すのは、古河原さん
後姿に貫禄がありますね
しら~~っと量型メジナをクーラーへ
全く動じません^^
先端を諦め、中間あたりに移動した真由美さん
サラシを狙っています。
底物ヒット~~~^^強い引きです。
出てきたのはコイツです。^^自己記録更新です^^ サラシ狙いもダメだったのか
また先端に戻ってきた真由美さん^^
底物初挑戦のやすじ君3回投げると2回はバッククラッシュ
最初はみんな同じです^^
当たってます^^まだ??まだ???
いいよ~~~~~!!
初底物で初本命ゲットです^^
小さいけど初めて釣った時は嬉しいですね
底物チャレンジ中のやすじ君と自分です^^
最後に下館チームで記念写真
フカセは撃沈でしたが、良型の本石をフカセでゲットした
慎ちゃんに、記録更新した自分^^
船酔わない人は良いな~~^^
このころ自分は後ろで顔面蒼白でした。



H28年 03月 04日 八丈島 アシオレ(夕方~)


いよいよ、明日から第四回BTFカップです。
まずは試し釣りにアシオレへ
地元賢二君も合流^^
海は穏やかです。最近先端より横のほうが
釣果が出ているらしい。
沖縄から来た仲間にフカセ釣りを教えてます^^
もりねが、やっと一枚ゲット。
30cmクラスは多数ですが、型が出ません。



H28年 02月 05日 八丈島 アシオレ(夕方~)


慎ちゃん高広君と共に八丈島へ
やっぱり八丈が良いな~~とつくづく思います
そして大好きなアシオレに^^
潮は最高です。これは釣れる予感が大
風も弱く、潮は沖へ流れ、エサ取りも少ない
もう理想です。
賢二君も応援に来てくれました^^はたして・・・・
やっぱり釣れました。バラシが結構ありましたが
何とか2枚ゲット。明日も期待って感じでしたが
この後まさかの胃腸炎で東京に帰るはめに・・・。



H28年 02月 04日 神奈川県 葉山沖磯


たにやんと合流しました。他のメンバーは他の港から
磯で落ち合います。
今日こそは黒鯛を目指します。事前に常連さんから情報を
お聞きし挑戦です。
たにやんは、サザエとカニで石物狙い。陸向きで挑戦! てっちゃん達がやってきました^^
2馬力にしては、やけに速いが・・・・。
ゆみのさん達も追いついてさっそく開始です。カワハギと鯛狙いです。 てっちゃんチームはかなり沖のポイントへ移動・・・
大丈夫か???
もう遠すぎて見えません。望遠で何とか見える程度。
この後すぐ、ゆみのチームは船酔いで撃沈!!
てっちゃんに魚群探知機で水深を見て貰ったところ
なんと沖向きより陸向きが深いとのこと
さっそく深いポイントへ移動です。沖に見えるのは平島
常連さんが乗っています。結構魚を掛けているようです。
たにやんは2本竿でポイントを探りながら石物を
狙っています。
すると、ねり餌で底に落としながら粘りよくやっていた
慎ちゃんが見事黒鯛ゲットです。45cmくらいあります。
自分は、あたりも無くエサも取られない黒鯛釣りに心が折れ
メジナを釣ってました^^
えさ取りの正体はこいつら・・・。
海タナゴです。慎ちゃんは初めて見たそうです。
そして夜は慎ちゃんの釣った魚などで宴会です。
これ、めちゃくちゃ旨かったです^^
こちらはてっちゃんチームの真鯵です。
こちらもシマアジに負けない旨さでした^^
大阪からフィッシングショーの帰りに合流した
高広君^^
きゃ~やめて~~撮らないで~~と
楽しそうな高広君
女の子に八丈島を語る高広君^^
島では見せない楽しそうな顔ですね^^



H28年 02月 03日 神奈川県 葉山沖磯


黒鯛を釣ってみたいとの事で、前日の白石さんの
情報を元に葉山へ
葉山釣具センター到着です。
初めての場所で期待度MAX^^
受付を済ませて渡船場へ行くと "しんちゃん" と
書かれた軽トラ発見^^
ここから乗るのかな????
沖合いには伊豆大島が見えます^^
出船です。小さな船ですが、安定しています。
たくさんの沖磯を見ながら割島へ
かなり沖合にある割島が見えてきました。
カンナギに似てるって思いましたが・・・
着いてみると結構平坦な島でした。
さっそくフカセ開始です。
奥に見えるのがテゴ島です。よっぽど
潮が引いてないと乗れませんね^^
黒鯛ポイントが分らないのでとりあえず沖向きに
竿を出すとメジナ連発です。
足裏サイズがかなり釣れます^^
でも狙いは黒鯛^^結局この日はメジナしか釣れず終了
今日のお宿、明日はてっちゃん、ゆみの、たにやん
もりね、新メンバーつじかわちゃんが合流します。
宿の目の前は海です^^明日こそ黒鯛頑張ります。



H28年 01月 29日 フィッシングショー in横浜


仕事で東京に来ていた慎ちゃんとフィッシングショーへ
行ってきました。
がまかつ竿の体験中、竿の強度を体験できる
とのことで、折ってやろうとする慎ちゃん
これはダイワだったかな???忘れた~~^^ シマノブースで平和卓也氏を発見。
記念写真をお願いしました。慎ちゃん緊張顔^^ で、自分もお願いしちゃいました。なんと
平和卓也氏は八丈島へ行った事無いそうです。
来年のBFカップに参加して貰えるよう
交渉しときました^^
島でよくお見かけするパパさん。
カッコいいですね^^
この日の夜は、八丈島で知り合った白石さんと
初呑み^^黒鯛釣りの話で盛り上がりました^^



H28年 01月 12日 八丈島 アシオレ


釣りに夢中で写真を撮り忘れました。今日は北条君が駆けつけてくれました
実はこの日デカイの掛け浮かせたのに突っ込まれ切られると事件もあり
なんとか尾長48.5cm  1.72kgを確保
北条君は口太46.0cm  1.54kgを確保
黒鰓会の自分の刺繍が出来上がりました^^
めちゃくちゃかっこいい^^北条君ありがとう~^^
自分の名前を刺繍で入れるのは中学生以来?(笑)



H28年 01月 11日 八丈島 アシオレ


またまた来ちゃいました^^前回から一週間しか経っていません^^ 良い感じです^^潮はあまり良くないですが
良い感じで流れてはいます^^
暗くなってきました^^チャンス来るか~~~^^ 足元のサラシも良い感じです^^
慎ちゃんも駆けつけてくれました^^どっちが先に掛けるか~~^^ 途中いつものモンスターにやられながらも
どうにか一枚ゲット44.5cm尾長です。



H28年 01月 03日 八丈島 八重根低堤防


今日帰ります。黒鰓杯まだ開催中ですが仕方ないです・・・
今回は諦めます。
いつもの八重根軍団・・・。なんども良型を掛けていましたが
惜しくも口ばれを食らっていました。
ひたすら足元をミャク釣りで攻めまくるオダッチ
ついに良型をゲットです^^32.5cm  820gでした。



H28年 01月 02日 八丈島 黒崎


今年初の渡船に選んだのは黒崎です。前日良型の尾長を
八丈島荒磯会のメンバーが確保したとの情報で向かいました。
奥から たにやん、オダッチ、金子さん。
金子さんと一緒に釣りするのは初めてです^^
自分は、石物とフカセの両刀です。しかし、潮が止まって動きません。 オダッチはミャク釣りでカンムリベラの猛攻にあっています。
賢二君は頻繁にポイントを変えながら良型の口太入れ食い状態です。
金子さんもカンムリベラの猛攻に苦戦してます。 結局、潮があまり動かず。口太多数にワサ一枚で終了。残念です
ウロウ根に渡った、荒磯のメンバー 橋本さんと小林さん 今日の釣果はこんな感じです。実際はもっと釣れましたが^^
最大47.8cmの口太を賢二君がゲット
橋本さんはウロウ根で石物爆釣だったらしいです。
本石、60.2cm  3.98kg
小林さんは44cm位あるアカハタをゲットされてました^^



H28年 01月 01日 八丈島 アシオレ


今日は一転、大しけです。初釣なのに・・・。たまに来る大波に
何度も被り全身びしゃびしゃです。
洗濯機の中のような海の状態。仕掛けが安定しない。
こんな状態でもエサ取りは多数います フカセの苦手な、たにやんはミャク釣りでヤガラゲット^^
そろそろチャンスかな~~^^ あと少しで日が沈みます^^チャンスまでのカウントダウン開始
デカイ波をもろに被り、ビシャビシャになるたにやん
結局寒さに耐えられず、この日は納竿




   




Copyright © 2004-2012 Isotsuri All rights reserved.