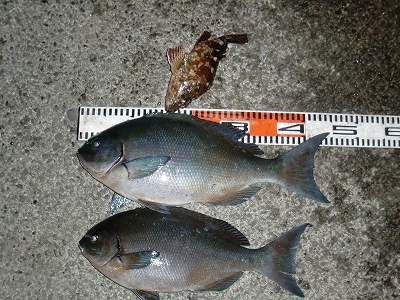
H24年 12月 19日  八丈島 乙千代ヶ浜(夕方)


北西が強く乙千代ヶ浜へ
しかし、うねりが強く危険
奥にいるのは魚八店長
沖へ流れるいい潮だが、エサが
残ってくる。前日に良型が出たようだが
かなり渋い感じ。
地元の古賀原さん。
状況は同じ様子。
結果はボーズでした。



H24年 12月 18日  八丈島 アシオレ(夕方~)


47.5cmの尾長メジナです。
実は、コイツを釣り上げる前に50オーバー
と思われる、メジナを引き抜こうとして
口バレしちゃいました。・・・(泣)



H24年 12月 08日  八丈島 (黒鰓会忘年会)


八丈島の名人たちのチーム
黒鰓会の忘年会に参加させてもらい
なんと黒鰓会に入会させて貰いました
次の大会は12月30日 ~ 01月03日
しかも、磯限定、尾長メジナ限定
55cmオーバーと凄い規定・・・。



H24年 12月 08日  八丈島 (大根)


ベテランYANAさんと一緒に
西風を避け大根へ
詳しくはhttp://www.the-fising.net
しかし、8人と大混雑だし
先端被ってるしで、苦戦
昼休憩中のバットマンさん
それでも何とか、これだけの釣果
ほとんどがイスズミだけど・・・。



H24年 12月 07日  八丈島 ヨノモウ


地元ルアーマンさんに誘ってもらい
夕間詰めのヨノモウへ
潮に乗せて沖目を狙うと食ってきた。
45cm、 ルアーマンさんも43cmと楽しめた。



H24年 11月 11日  八丈島 イデサリヶ鼻


前日のオキアジが忘れられず
休みの日に、もりね、たにやん他
8名で再度挑戦
たにやんは底物狙い。
しかし今日は東の風で
海は大荒れ・・・。
でも釣れました。オキアジ
しかも、クーラー3つ満タンに



H24年 11月 10日  八丈島 八重根(高堤防)


魚八店長が釣りをしているとの情報で
応援に行くと、夕日が綺麗で
思わずパシャリ・・。
釣果は、40cmのスマ鰹5枚
豪華客船飛鳥がやってきた・・・。
しかし  デカイな~~~。



H24年 11月 07日  八丈島 イデサリヶ鼻(夕方~)


初めて来た、西風避けの磯場
確かに海は穏やかです。
でも、水深は5~6mと言った感じで
ちょっと浅い
左先端は、頑張れば行けそうだが
ちょっと怖い・・・。
数日前に ” オキアジ ”たるものが
入れ食いだったとの事。
今日の魚八地魚メニューゲットと
釣りと言うより、仕入れに来ている魚八店長
良型のアカハタをゲットしてました。
フカセは不調で、なかなか釣れない
オキアジはもういないのか。?
いや!「絶対いる!!」とエース高広君
暗くなり、地元賢二君も応援に
すると、一気に竿をひったくる
当たりが・・・。
ついにやりました。これが噂の
”オキアジ ”です。35cm位
この後も数枚ゲットしました。



H24年 11月 04日  沖縄県那覇市 一文字堤防(北の新堤)


昨日同様北の新堤へ、しかし
今日はフカセをやめてカゴ釣り
グルクン狙いです。
先端は遠いので、手前でチャレンジ
やっぱ先端が良かったのか、
全然釣れない中、何とか
一枚初グルクンゲット・・・。
ここは北の堤防の真ん中あたり
石物に良い感じがするんだけど
どうかな~~~。
他はこんなのが釣れました。
” テングハギモドキ ”って
言うみたいです。
色は違うけど同じ魚とのこと
ほんとかな???
他、ミズンとかいう鰯みたいな魚も釣れました。



H24年 11月 03日  沖縄県那覇市 一文字堤防(北の新堤)


初挑戦の沖縄フカセ釣りをする
ゆみのさん、しかし潮が速すぎて
仕掛が定着しない。
周りの地元釣り師たちも
悪戦苦闘している。
結局、まともな魚は釣れずに撃沈
隣でやっていた人はカゴで
グルクンを釣りあげていた。



H24年 10月 28日  八丈島 八重根堤防


たにやん、底物に挑戦。
潮が速く、根掛かり多数
ガゼが手に入らず、シラガのみで
足元でワサ1枚ゲット
シマアジ狙いでかごに挑戦するもりね
しかし全く当たらない。
ムロアジすら居ない厳しい状況



H24年 10月 16日  八丈島 八重根高堤防(午前中のみ)


八重根の新堤防でシマアジが釣れているとの
情報で向かったが、高波で危険なので
高堤防へ
魚八店長は、足元で根魚狙い
しかし釣れるのはハタンポばっかし
テトラ側でカゴ釣り、シマアジ狙いの高広君
前日のアルコールが残り、フラフラ・・・・・。
慎ちゃんも対面の釣れている新堤防を
見ながら、カゴを飛ばすも当らない



H24年 10月 08日  八丈島 八重根港(午前中のみ)


最近まだ釣れていないとの情報で八重根港へ、
期待度100%   しかし、エサ取りが多すぎる。
ルアーマンさんと慎ちゃんが応援に
ルアーマンさんは前日カンパをゲット
他の八重根最新情報はメンバーサイトにて



H24年 10月 07日  八丈島 アシオレ(夕方~)


ピンボケになっちゃいましたが、たにやんです。
そろそろ夕方~のメジナはどうかな?
まだ早いよ~って応援に来てくれた
高広君     やっぱ、早いよね^^
全然だめです・・・。
片づける、もりね・・・。



H24年 10月 06日  八丈島 モロ根(午前中のみ)


前日の初底物初ゲットで、調子が良いえじりさん
今日はどうかな?
昨日、久々の釣りでボーズを食らった
ベテラン勢・・・今日こそは・・。
私、がやっちゃいました。
小さいけど、顔は口白です^^。
さて検量です・・・。小さい・・・。
47.5cm 2.06kgでした。他、たにやん2枚、えじり1枚
ワサゲットです。



H24年 10月 05日  八丈島 エダマ(午後~)


凄い久しぶりの釣りで、念入りに
ポイントを探るゆみのさん
小さな当たりにも、過敏に反応
竿が中々入らない・・・。
初底物釣りチャレンジ・・・。
誰も釣れない中、さすがです。



H24年 09月 08日  八丈島 もろ根


久しぶりに本格的に釣りをする
もりね。しかし、かご釣り不調
カンムリベラで終了でした。
自分も約一か月ちょいぶりの、石物
潮は、左から右でちょうど磯にあたって
良い感じ、しかしワサ2枚で終了
魚八店長は、お店で出すアカハタ狙い
磯一周してチャレンジも不発
結局、調子悪く感動もなく
あまりの暑さに夏は危険と感じて終了



H24年 08月 01日  八丈島 軍艦堤防 (夕方~夜)


高広君と彼女のさえちゃん。
初釣りだそうです。
ハタンポ釣って大喜びも、
すぐに飽きて・・・。またこれ~・・・。
石物仕掛けで、タマン狙ったものの
釣れたのは、アナゴ・・・??
目が大きくて、東京の物とは違う。
こっちは、もりねが釣ったエイ。
棘に注意!!
自分にも掛かった、エイ。
あまりの大きさに持ち上げられず、
このまま、糸をプツン!!
で、これが最後に釣ったウツボ
何ウツボかな???



H24年 07月 10日  八丈島 小島 (カンナギ)


暑い!!暑すぎる!!
奥に見えるは、魚八店長
手前は、たにやん
初の磯釣りが、カンナギとは・・・。
しかし、あまりの暑さにバテた、
魚八スタッフ くみちゃん
で、釣果はワサ6枚、アカハタに
これ・・・。メイチダイ 48cm
詳しくはメンバーサイトにて
で、魚八で打ち上げ・・・。
M’sのスタッフ達他と・・・。
新鮮なお魚に感激!!



H24年 06月 13日  八丈島 八重根堤防


なんだこれ~~初めて釣った。
このフグの名前はたぶん
サザナミフグ
前日からキハダマグロが釣れている。
今日は、良型のカンパチが見えていた。
さすがに雨になると人少ない。
なんとか、本命の顔は見れた。
泳がせ用のムロも・・・・。



H24年 06月 10日  八丈島 アシオレ (夕方~夜)


でかスカエースは、地元慎ちゃんの釣果
まだまだ、夕間詰めの釣りは出来ますね^^



H24年 05月 19日  八丈島 八重根港 18:00~


水温が下がり赤イカが釣れるかも
との、賢二君・・・。はたして・・・。
やりました~^^計4枚2時間の釣果
さすが賢二君^^読み正解^^



H24年 05月 12日  八丈島 小島 (一の根)


どのウニが良いかな??と
ウニ選び中のたにやん、釣果はワサ2枚で終了
エースカップ最終日の為、地元フカセチーム。
しかし強風の為、磯替えするはめに。
エースカップ表彰式
司会は、主催者のエース釣具店
高広君
第3位の地元賢二君^^一の根にて
51cm  さすがです。もりねは4位
でもたいしたもんだ^^
2位は地元慎ちゃん^^55cm
入賞の常連^^さすが^^
1位はビーチタイムのたかのぶさん
初参戦での快挙^^おめでとうございます。
じゃんけん大会でたにやんが勝ち取った
キハダマグロ・・・。ほかカツオなど
たくさん魚を頂きました^^
しかしデカイ・・・。
どこから捌けば良いのか??



H24年 05月 11日  八丈島 小島 (一の根)


初めて一の根に渡った、当会員の
底物師、ゆみの・たにやん
一の根の割に潮は緩い
頻繁に当たりはあるが、小さい。
たにやんは、お土産用のアカハタ釣りを開始
結果アカハタ不調



H24年 05月 05日  八丈島 アシオレ (スイドウ)


もりね・みやちゃんの釣果報告
凄い!メジナ三種勢ぞろいです。^^
ところでスイドウって・・・。魚居たんだ~^^
尾長47.3cm  口太47cm  オキナ45cm位?



H24年 04月 17日  熱海 網代港


朝からの大雨で、初島撤退し、時間もあったので
網代漁港へ。湾内に凄い物発見・・・。マンボウ
なんとこれ一匹ではなく、数匹浮いていた。
どうやら漂流ではなく、網に掛かったマンボウの
内臓だけ取って、そのまま海に捨てた模様・・・。
何とも言い難い光景です。・・・。



H24年 04月 16日  熱海 初島


久しぶりの初島釣行、本命は
夜釣りの餌木とメバリング
しかし、水温が低いのか全くダメ
イサキ狙いの方も、「全然ダメ」との事。
昼間はフカセで遊んでみる・・・。
エサ取りも少なく、釣りやすい^^
40cmオーバーも数枚上がっている。
湾側が好調・・・。



H24年 04月 11日  八丈島 アライケ 夕方~


初めての磯、アライケ
事前にイカが好調との情報があり
ルアーマンさん、高広君と共に
しかしこの後、強風&暴雨にて
遭難者のように・・・。
結局何も釣れずに撤収・・・。



H24年 04月 10日  八丈島 アシオレ 夕方~


地元慎ちゃん^^釣りは楽しいな~^^ 慎ちゃんの後ろは、高広君^^
名コンビが集結です。^^
今日も、モロ根に釣り人が^^
これはチャンス~~^^
で、これが釣果^^後からルアーマンさん
賢二君、新庁舎建築の鉄筋屋さんなど
たくさんの応援があり、楽しかった~~^^
ルアーマンさんにはイカがヒットもバラシ・・。



H24年 04月 09日  八丈島 軍艦堤防 夕方~


今日はルアー釣り、狙いは
カンパチ・・・。
かご釣り師、「まったく餌取られね~」との事・・・。
高い場所では石物師、「全然ダメ」との事・・・。
水温が低い。
ひたすらルアーを投げる
高広君・・・全然だめだ~~。
地元賢二君が応援に^^さらに
奥に見えるはルアーマンさん^^
みんな応援に来てくれた~^^ なのに・・・。



H24年 04月 08日  八丈島 アシオレ 夕方~


久しぶりの釣り、もりね・・・。
小型ながらも連発で、尾長メジナを
釣りあげていた。
この磯は、モロ根に釣り人が居る時が
超ねらい目・・・。エサがね・・・。
優宝丸が迎えに
ここから見る、小島の夕日は
絶景です。
パブエムズのくみちゃんが
応援に来てくれました。
で、本日の最大魚
尾長メジナ45cmでした。
全体ではこんな感じ^^
結構楽しめました^^。



H24年 03月 11日  八丈島 小島 (サンジョウネ・セイズコウ)


初めて渡ったサンジョウネ^^
てっちゃんやりました、マダイです。
もりねもやりました^^
スカエース・・・。大きさ?図るの
忘れた・・。ごめん!!でも45以上はある。
うまそ~~^^
めでたいめでたい^^
これが本日の釣果です。
11時から磯替えして、セイズコウへ
しかし、スカエースのみでした。



H24年 03月 10日  八丈島 アシオレ 夕方~


高広君、最後のチャンスです。
前回の54cmを釣ったポイントへ
57cmを超えれば優勝です。
さむ~~いよ~~!!
寒さに弱い てっちゃん
で、釣果です。数は釣れるも
大物が・・・。最大で口太43cm
高広君の釣ったミラクル^^
60cmのボラです^^
ボラの部優勝決定~~~^^



H24年 03月 08日  八丈島 八重根港 (午前中のみ)


大会中の現時点での尾長メジナ
トップは57cm・・・。抜けそうもないので
まだ、誰も釣っていない石物へ変更
水温14度台・・・。無理っしょ・・。
魚八亭店長と一緒に、店長は
ムロアジ狙い、でも14度・・・無理です。
しかし、やりました石物が39cm^^
現時点1位でしたが、最終3位入賞です。
天気は最高、しかしこの後3日間
飛行機欠航に・・・。帰れない・・・。



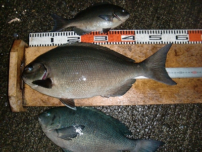
H24年 03月 07日  八丈島 アシオレ 夕方~


エース釣具店高広君が、島の大会中と
言う事もあって、大物狙いに・・・。
アシオレの手前側で足元狙いです。
島の名手、賢二君
先端で、モロ根側まで流しています。
で、結果はこれ・・・。暗くなりかけ位に
ヒットしました。尾長54cm 2.4kg
現時点でメジナの部 3位です。
自分もやりました^^。
口太46cm 1.5kg
自己ベスト更新です。



H24年 02月 29日  八丈島 アシオレ 夕方~


飛行機欠航で帰れなくなった・・・。
仕方なく?釣りへ^^
尾長43cm飛行機飛ばなくて
良かった~~^^一時入れ食いに^^



H24年 02月 27日 八丈島 乙千代ヶ浜 夕方~


初の乙千代ヶ浜に挑むおみさん。
午前中はアシオレに入たけど、うねりが
怖くなり、午後から移動
潮は手前から沖へいい感じで流れるも
エサ取りが多い、特にダツが多い。
で、結局ボーズでした。・・・。



H24年 02月 26日 八丈島 アシオレ 夕方~ 


手前から高広君・おみ・きんき
手前側にて
風が強く、仕掛けを回収できないおみさん。
おりゃ~っと気合十分の高広君 きた~イカきた~っとすごい引きの
正体はなんとアオヤガラ・・・。
餌木を丸呑みしていた。
これは珍しいハクセイハギ、
賢二くんが釣りました。
で、本日の釣果はこれ。
でっかい口太はやはり賢二くん



H24年 02月 16日 沖縄県那覇一文字堤防北の離れ 


初めて一文字堤防に渡った小林・小橋
はたして釣れるのか??
石物にも挑戦、八丈島からウニを
送ってもらいました。ありがとう、高広君。
海の中はこんな感じ・・・。
特に魚は見えないが、エサは無くなる
新しく出来た堤防、最近はこっちのほうが
人気があるらしい・・。石物師が見える。
で、フカセでカメレオンブダイが
釣れました。
他にニセカンランハギとやらも釣れ
これがエサ取りの正体の気が・・・。



H24年 02月 09日  八丈島 ヨノモウ (午後より)


八丈島エースフィッシング高広君
再び登場です。今日は大活躍でした。
地元名手、賢二くん。さすがベテラン^^
唯一40オーバーの口太をゲットです。
先端側は良いサラシが出ているも、
うねりがきつく、これ以上行けません。
で、本日の釣果、口太は賢二くん
イサキとオオグチイシチビキと言う
珍しい魚を釣ったのは高広君



H24年 02月 06日  徳島県鳴門市鳴門公園亀浦観光港


何を狙っているのかわからなかったが
釣り人が数人いた。足元狙いや
投げ釣りをしていた。
うずしお観光に向かう船。



H24年 02月 05日  兵庫県 淡路島 淡路島観光ホテルプライベート釣り場


メバリングを頑張るゆみのさん
なかなか釣れない・・・。
夜に突入、ほんとに釣れるのか
不安なたにやん。
そんな中、気合の一匹^^
やりました。
結局この一匹で終了でした。



H24年 01月 25日  八丈島 本島 アブラト


久しぶりに、高広君が応援に
しかし、潮がぐちゃぐちゃで
浮が右や左やもうわけわからん。
奥に見えるは、寒さに震える
てっちゃん・・・。



H24年 01月 04日  黒鰓会 尾長メジナ釣り大会


12月30日~01月04日までの大会期間
終了で打ち上げ・・・。
ターゲットは尾長メジナのみで、
しかも、磯のみと厳しい規定・・。
黒鰓会のみなさんと楽しい釣りの話
今回は厳しい釣りになったと反省会
口太多いな~~~~~~とか^^

そんな中でも、さすがベテラン
岡村さん優勝^^詳しくは黒鰓会↓
http://blog.goo.ne.jp/11-03-kk-9-05-ak/
お疲れ様でした^^



H24年 01月 03日  八丈島 洞輪沢港沖堤防


先端側、潮が沖目に流れいい感じ
良型の口太が多数・・・。その下には
尾長と思われる60オーバーの魚影が
数匹確認できた。
テトラ側の底物師、先端では頻繁に
当たりもあり良い感じだが、
ここは全然当たらない・・・。


今日の釣果、朝一に入れ食い状況に
しかし、その後はぽつぽつ。
初のコロダイもゲット



H24年 01月 01日  八丈島 本島 ナズマド


今年初釣りです。^^
先端側、この日は風も強く波も高いので
先端へは近づけなかった
手前のワンド、色々な魚が釣れて
面白いが、ダイバーが頻繁にやって来て
17:00頃まで釣りにならなかった



   



Copyright © 2004-2012 Isotsuri All rights reserved.