H27年 12月 31日 八丈島 アシオレ


昨日に比べて海は凪です^^
先端で出来ます^^
賢二君参戦^^しかし凪すぎるのも問題か・・・!
潮が全く動かず。
湖のような海面です。エサ取りは多数います。 夕方のチャンスタイムに期待です。
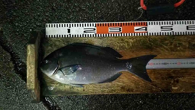
ようやく釣れた貴重な一枚、42cm尾長



H27年 12月 30日 八丈島 アシオレ


うねりは多少あるも、釣りには支障ない程度
でるか!大物!今日から黒鰓杯開催です。
優勝賞金10万円を手にするのは^^
先端は、時折被っているので、横側で釣行開始^^
夕方になってチャンス到来です^^ エサ取りも少なくなってきました^^
慎ちゃん親子も参戦です^^まさかのひなちゃん、44cmの尾長ゲット 小学4年生のひなちゃん、44cmとは・・・。凄すぎる^^
自分は40オーバー釣るのに6年近くかかったのに・・・。
自分の釣果は尾長41cmと口太41.5cmでした^^
ひなちゃんに負けた~~^^



H27年 12月 19日 熱海 エボシ


竿納会をしようと、熱海に3人でやって来ました。
お世話になった釣具屋さん。フィッシングサンワさん
まずは、コマセの準備です^^
今日向かうのは離れの磯、エボシです。
前回渡ったときはエサ取りが多くて
釣りにならなかったのですが・・・。
見えて来ました。熱海港から10分ほどで到着です。
右側は観光ホテルです。
ホテルから丸見え^^でも離れ磯ですよ
潮があまり動いていませんが、エサ取りはさほど
激しくないです。
熱海側に竿を出すゆみの氏^^
すっかり底物からフカセ氏になりつつあります。
磯が低いので結構被ります
コッパは多数釣れますが、なかなか型が出ません
ハリス1.75号
底物師のたにやんは胴付でカワハギ
カサゴ狙いで移動しながらいろいろ攻めましたが
根掛かりが多く、疲れた様子。
こちらは熱海とは反対側の磯
この奥に様々な渡船で行く磯があります。
詳しくは釣り場情報の熱海を見てください。
疲れた~~^^ゆみの氏
寝ていないですからね^^
熱海港に向かって移動中です
この距離なら自分も酔わない^^
だいぶ近づいて来ました^^
本日の釣果35cm位を2枚
バラシも2回あり、この時期のエボシは
ちょっと面白いです。



H27年 12月 13日 八丈島 アシオレ(夕方~)


やっぱ沖縄より八丈島がいいな~~^^
いつものアシオレです。
コッパやら何かわからない魚が沢山います。
良い感じで暗くなってきました^^ なんか沖合が騒がしい・・・・・。
突然、海面に水しぶきが・・・。
見えますか???
次になんやら黒い物体が・・・。
ネッシー???
次の瞬間、大きな尾びれ~^^
クジラです^^凄い迫力です。^^
黒鰓会のメンバーも合流です^^
実は自分が前日デカイのに仕掛けをやられ
犯人を確保すべく来てくれました^^
八丈島の凄腕釣師の方々^^犯人確保して
くれそうです。しかし・・・・・
木村君2回のうち一回は近くまで寄せてきましたが
古山君1回、自分も1回やられちゃいました。
犯人は何?サメではないとの事ですが・・・。



H27年 12月 06日 沖縄県 那覇一文字堤防 北の新堤防


今日は希望の北の新堤防に来れた。
朝一は胴付で楽しむ賢二君。泳がせに期待です。
さっそく泳がせ開始、しかしグルクンは釣れず
すぐ死ぬミズンで・・・。死んでも潮が速いので沖に流れる。
泳がせ用のエサを確保すべく頑張るおみ(左)と
もう死んでいるだろうエサを流す賢二君(右)
釣れね~~~~。とりあえず飯^^
しかし風が強い。
地元石物師の方・・・。
風が強くて、仕掛けが安定しない様子。
強風わかりますか???
立っていられないほどの強風です。
あまりの風の強さに撤収しようよとの事で
早めに片付けて撤収です。
明日は帰宅日なので釣りはしません。
今夜は飲み明かします^^
その前に腹ごしらえ、ステーキ1ポンドを・・。



H27年 12月 05日 沖縄県 那覇一文字堤防赤灯台


ついに賢二君が沖縄上陸です。
八丈島の凄腕を沖縄の人に見せつけて!
希望の場所に乗れず、今日は赤灯台
まずは胴付き仕掛けで・・・。
撒餌に最初に反応したのは、サヨリ君
大量にいます。見えますか?
凄く広い堤防です。おみさんはカゴで
賢二君の泳がせ用のエサを狙っています。
しかし、グルクンが釣れません・・・。
泳がせのロッドは準備万端なんですが・・・。
賢二君、泳がせ餌が釣れないので胴付
なんかデカイの掛かったのか切られた様子。
おみさん座禅を組んでカゴを見つめます。 きた~~~っ!ってこいつじゃ泳がせ出来ないし・・。
こいつはゴマモンガラ。
結局、ミズンとか言うイワシのような魚で泳がせたが
すぐに死んでしまうらしく泳がせにならず
死に餌で挑戦!。するといきなりヒット!
しかし、針に掛からず。
本日の釣果はこんな感じ。
賢二君初のカーエーもゲット。そこそこ
釣れたのでは^^
これがカーエーの刺身です。
淡白で臭みも無く。おいしかったです
こちらはカーエーのマース煮
あっさりしています。
賢二君が焼いたらおいしいとの事で
ハタテダイを焼いてみました。
ゴマモンガラを解体する賢二君^^



H27年 12月 02日 27年度バトルフィッシング忘年会


実は、まともに忘年会を行ったのは初です。

28年度会長は引き続きゆみの、副会長はきんき

会計は、もりねで行うことで決定しました。

さらに新メンバーに辻川ちゃん(写真手前右)が

入会しました。どうぞよろしくお願いします。

八丈島デビューはいつかな???

ちなみにおみさんは、体調不良で欠席です。



H27年 11月 16日 沖縄県 那覇一文字堤防北の堤防先端


ようやく明るくなってきたので、早速オミが
カゴを投入する。
足元にまき餌を撒くと大量のエサ取りが・・・。
この後、一面にサヨリが・・・。
見えますか???
凄い数です。しかし不思議と付けエサには
無反応????
スズメダイやテングハギ、トカジャーにイスズミが
犯人です。でもエサはそのまま・・・。
潮が右から左に強烈に流れていて
カゴ釣りが出来ません。そこで
胴付き仕掛けで足元狙いに切り替えた。
オミさん、エサだけ持ってかれている様子
何とか潮が止まってくれると良いんだけど。
結局釣れたのは、このサヨリを3匹に
トカジャーの30cmのみでした。
今回は時間も今日だけだったので厳しい釣りでしたが
海は結構賑やかで、小魚を追いまくっているやつも
いて、泳がせしたい感じでした。
港に戻ってくると、何で釣ったのかは知らないが
スマや磯マグロを数匹釣っている人がいました。



H27年 11月 11日 八丈島 アシオレ(夕方~)


昨日のうねりは全くなくなりべた凪です。
先客で石物師が2名入っていて、
ワサを1枚釣っていた。
昨日のサメが気になるが、先端のひな壇で
竿を出した・・・。
潮はあまり動いていない、このまま暗くなり
期待したが結局ササヨで終了



H27年 11月 10日 八丈島 アシオレ(夕方~)


2便で到着後、そのままアシオレへ
水温は高く、黒潮直撃な感じですが
エサを入れれば夕方には状況が変わるかな
潮は沖に流れる絶好の状況しかしうねりがあり
先端のひな壇は諦め、横で竿を出す。
エムズのOGの那帆ちゃんが来てくれた^^
コッパにササヨになぜか自分には来ないのに
那帆ちゃんにばっか掛かる^^
エサこんな感じですか~~って、完璧です^^
この後暗くなりチャンスタイム突入、
付けエサも残りだし、チャンス到来かと思われたが
な、なんと足元に2m超えのジュモクサメが・・・。泣



H27年 11月 04日 伊豆大島 元町港


朝から2時間くらい磯を探したが、結局
良い場所が見つからず、またまた元町港に
沖合いに見えるのは伊豆半島です。
潮は昨日とあまり変わりません。
潮がこちらの方向に流れていたので
仕掛けを流しまくってみた^^
すると・・・。
こいつが食ってきました^^
ほか、30cmのコッパやアイゴなど
夕方のイサキはダメでしたが、ま!いいか!



H27年 11月 03日 伊豆大島 元町港


5ヶ月ぶりの伊豆大島です。
まだ、イサキが釣れているとの情報で
期待が高まります。
伊豆大島へ到着です。
さあ~どこで竿を出すかな~^^
しかし、泉津川は強風でしかも工事中で
立ち入りできないらしく、磯の地図を見ながら
検討するも、いまいち入る場所が分らず
到着港の元町港で竿を出すことに。
今回は大島発のたにやんと3回目のゆみの氏
潮はほとんど動いていません。コッパが
沸いていて釣りにならない。
コッパは掛かるも・・・。夕方に期待したが
結局イサキの顔を見ることは無かった。・・。



H27年 10月 29日 八丈島 八重根低堤防


朝から大しけです。八重根は誰もいません。
最初は下にいましたが、被ってしまい
高い場所に避難してきました。
低い場所は見ての通り濡れています。
この日は最終日、ゆみの氏がワサ2枚
ゲットして今回の八丈島は終了です。



H27年 10月 28日 八丈島 アシオレ (夕方~)


夕方。アシオレに移動してフカセ釣りです。
しかし、北西の風が強く先端で竿が出せず。
左わきの足場のいいポイント
風が強すぎて、仕掛けを回収するのに一苦労
しかもエサ取り多数です。
だいぶ日が落ちてきた・・・。
もう少しでエサ取りがいなくなるはず。
あと少し、そろそろチャンスタイムが
始まるはず
満月が出てきて、エサ取りが消えた・・・。
くるぞ~~~~。
勝者は地元慎ちゃん^^
さすがです。付け根の浅い場所を重点的に
狙って見事ゲットです。
(詳しくはエース釣具店のブログにて)



H27年 10月 28日 八丈島 八重根低堤防


今日は天気が悪かったので
渡船を諦めたが、結局予想が外れてしまった。
いや~熱いです
ムロもたくさん見えます^^
周りは、カゴでシマアジが爆釣です。
結局自分たちは石物オンリーで
2枚のワサゲットです。



H27年 10月 27日 八丈島 小島 一の根


一の根に移動。さっそく船付けで
竿を出した。ここもあたりは半端ない
さっそくゆみの氏の竿が海に突き刺さった。
49cmのイシガキダイゲット 今度は成田会長にヒット
53cmイシガキダイゲットです^^
腰が痛いと唸るゆみの氏
結局この日は会長1枚、ゆみの氏3枚
自分は4枚のガッキ―をゲットしました。



H27年 10月 27日 八丈島 小島 カンナギ


久しぶりのカンナギ^^
潮は相変わらずいい感じです。
成田会長カンダイゲット
初めて見た^^
すると、3時間ほどでうねりが強くなってきた・・。 かなりやばい状況に・・・。
船長に連絡して磯替えをしてもらった



H27年 10月 26日 八丈島 藍ヶ江磯場


一便で到着後藍ヶ江港の磯場へ
初めてのポイント
根掛かりが多く、鉛がなくなる頻度が
半端ない。
八丈島荒磯会成田会長と^^
結果、会長及びゆみの氏がワサを
1枚ずつゲットした。



H27年 10月 08日 八丈島 アシオレ


今日に2便で帰るので。今日は八重根で
ぶっこみ釣りです。
オダッチ タキベラげっと・・・。
他に石垣を身エサで2枚同時にゲット^^
周りの人は泳がせやら、カゴやらと
楽しんでいます。カンパが数枚上がっていました。^^
自分もぶっこみで身エサでやってますが
針に掛かりません。小さいのが沸いている様子



H27年 10月 07日 八丈島 アシオレ


今日もアカバ狙いのオダッチ
足元にエイがいる様子。
海は凪で最高!!  風も少ない
賢二君に交代してもらって、少し休憩
アカバ釣って~~^^
あたりはあるが針に乗らない・・・。
昨日はたくさんいたムロが一匹もいない
しかし、2kgくらいのカンパは群れている。
足元で身エサで1kg位を1枚ゲット
そこにルアーマンさん登場^^
ムロが釣れないのでルアーで狙ってもらった^^



H27年 10月 06日 八丈島 アシオレ (夕方~)


まだ早いかもだけどフカセにアシオレヘ
するとムロが沸いていて、5kg位のカンパの
姿が・・・。賢二君泳がせで狙うが・・・。
オダッチは胴付き仕掛けでアカハタ狙い。
海は穏やかで風も弱く最高なんですが・・・。



H27年 09月 30日 城ケ島 釜島・外海ボート


海が若干静かになり、なんとか外洋へ それにしても、見ててヒヤヒヤ
どんどん流されていくボートチーム
自分とゆみの氏は渡船で釜島へ
期待度満点です。^^
途中、居新堤防・・・。壊れている。
どうやら台風で壊れたらしく渡れないらしい
釜島は城ケ島でも石鯛の実績が高いとの情報で
ポイントもわからないがピトンの後を頼りに・・・。
遠投は自信ないが、40mほど飛ばしてみた。
水深は6mほどかな?浅いです。
ヤドカリ餌で頻繁にあたるが、本命かは不明
石物竿はほっといて、カワハギをやろうと思ったが
水深があまりないのとハエ根があってやりづらいので
フカセに挑戦
ちょこちょこ石物竿を見てはいたが
小さなあたりばかり。
沖に小さく見えるのは、てっちゃん達
大丈夫か気になって釣りに集中できません
石物はやどかりエサで、そのまま竿が
食い込むことは無かった・・・。
釜島のワンド側、こちらは水深が結構ある。
フカセをやってみたが、食ってくるのは
でかアイゴばかり
こちらは船チームの釣果
カワハギ最大30cmオダッチがゲット
磯チームは木端メジナ数匹ゲットで終了
これが今回の最大魚
カワハギ30cmです。



H27年 09月 29日 城ケ島 赤堤防・湾内ボート


ネットで船を購入。2馬力のエンジン
みんなで組み立て中
てっちゃん指示のもと初航海へ・・・。
エンジンが中々掛からない・・・。
5分くらい悪戦苦闘・・・。
やっと出港^^大きいカワハギ期待してますよ^^
赤堤防に近づいて、湾内でカワハギ釣り 頻繁にあたりがあるみたい^^
こちらは、赤堤防に渡ったゆみの氏と自分。
外海は台風の影響で渡れず・・・。
沖に見えるはてっちゃんと魚八千住店店長の
オダッチ・・・。大丈夫か??
フカセとサビキとカワハギを狙って
赤灯台はこんな感じ、小さい・・・。
それでも何とかこれだけの釣果^^
ボートチームはこの倍は釣っていた^^



H27年 09月 16日 八丈島 八重根低堤防


よくお見かけする、通称ヘルメットおじさん
奥に見えるは、足元にいるデカイ○○狙いの
古河原さん^^
とりあえずワサを一枚釣って一服するゆみの氏
この後、天気が悪くなり一日早く帰宅する羽目に・・。



H27年 09月 15日 八丈島 八重根低堤防


ゆみのさんにまずはムロアジゲットを
お願いして~~~
確実に数少ないムロアジをゲット
そしてそのムロアジを泳がせて~~
ちゃんと沖まで泳がせて釣ったのは初!
しかし、実はリールがなって合わせを
してくれたのは地元の山ちゃん^^
ありがとう^^
底物はあたりがあるも不調・・・。
やっと食ってきたのはこいつ・・・。
凄い引きでした^^
そして、なんと地元やまちゃん・・・。
キハダマグロ122cm 27kg
40分の格闘の末、リールは吹っ飛び
竿は折れるというアクシデントの中
やりました~~
血だらけになりながら、写真撮影会^^
沢山の人が写真を撮っていました。^^
夕日の八重根港^^
めちゃくちゃ綺麗です^^
そして、夜に突入です。
なんか変なの写ってな~い??
と、びびるゆみの氏
イワシミンチを撒いて、狙うはクエ・・・。
嘘です^^タマン狙いです。
当たります。何回も当たります。
しかし、釣れてくるのは、黒アナゴとウツボ・・・。



H27年 08月 07日 八丈島 藍ヶ江港(夜釣り)


40cmオーバーのホウセキキントキ
アカメキントキが入れ食いになった。
また一つ面白い釣りを発見です。^^



H27年 07月 06日 八丈島 八重根低堤防


今日は昨日に引き続き底物狙いです。
しかし、うねりがあり先端が被っていたので
高場での挑戦^^
頻繁に当たるが、本命ではない感じ
一度も竿が入ることなく撃沈
さすがに、今日は人が少ない・・・。
でも、午後には大勢の人が集まってきた^^
底物が釣れないので、ルアーを・・・。
食ってきました^^トップウォーターで
いや~~引きますね~~^^
パワー半端なかったです^^



H27年 07月 05日 八丈島 八重根低堤防(午後~)


午前中大雨で、午後より八重根堤防へ
泳がせは不調っぽいがルアーは絶好調
地元ルアーマンさんは、
こんなシイラやら・・・・・・。
こんな、ヒラマサやら他の人には
勘八など多様にルアーに反応していた。
このヒラマサも、シイラも頂いちゃいました^^
いつもいつもありがとうございます^^
これは、地元賢二君があっという間に
網ですくったウスバハギ なんと6匹も・・。
凄い!!これうまいね^^
天ぷら、かなり感動しました^^
石物初挑戦のオダッチ・・・・。
ずっと竿先を見ていたが、一度も竿が
入ることはなかった・・・。
実は泳がせもやっていて、やっと釣れた
デカムロアジをエサに・・・すると来ちゃいました。
強烈な引き・・。竿を持っているのがやっと
ドラグがちがちにしていたのに、どんどん
持っていかれ、何も出来ずにバラシちゃいました。
蒸し暑い堤防が賑やかな状況の中
エース釣具の若旦那は、涼しげに・・・。
店内でご機嫌な様子^^
お客さんいっぱいだしね^^
一緒に釣りしたいな~~^^



H27年 06月 15日 伊豆大島 オオツクロ


釣りがしたくて、我慢できずに大島へ
強行突破することに・・・。
1時間半で到着^^船苦手の自分もジェット船なら
大丈夫^^
乗ってきた高速船
明日にはまた乗って帰ります^^
泉津港に向かったが、先客がいたので
その手前にある。オオツクロへ
行きは楽チンだが、帰りは上り坂で大変でした
海の状況は完全な凪状態です。
ワンド側で初めてまだ全然明るいうちに
このサイズ^^これは期待できそうだと思ったのに
夕方になってきて期待が一気に増します。
もりねは30cmほどの口太を釣っていました^^
しかし、やってもやっても釣れません。
エサ取りも多いがかわしてもイサキが釣れない。
結局イサキ4枚で終了・・・。泣



H27年 06月 03日 八丈島 藍ヶ江港


藍ヶ江港を早々に撤退し、再びアシオレで
フカセに挑戦です。
しかし、大荒れで先端が被っているので
南向きの横側で挑戦です。
地元慎ちゃんも応援に来てくれました。
海は荒れているも、エサ取りは相変わらず
凄まじいほどいます・・。
地元木村君も来てくれました^^
あまりにも釣れないので、竿を渡してお土産を
お願いしました^^
たにやんは付け根で頑張りますが
サラシが強すぎて、わけわかりません・・。
慎ちゃんの浮が、空へ舞いあがります^^
空にもエサ取りがいたようです^^
全然釣れない中、さすが地元木村君^^
誰も釣れない中、良型ゲットしました。



H27年 06月 03日 八丈島 藍ヶ江港


エサも残っていたので藍ヶ江港にやってきた
小さなあたりはあるが、本命ではない感じ
うねりが結構ある。
仕掛けが流れてしまう・・・。
前日に、地元古河原さんが、31kgのカンパを上げたので
自分も泳がせをしたかったが、やはりムロが釣れない・・・。
イカの丸掛けで挑戦したところ真っ二つに・・・。
犯人は????
たにやんも粘るが、食い込むような
あたりを見ることは無かった。・・・。



H27年 06月 02日 八丈島 アシオレ(夕方~)


小岩戸から戻ってきて、すぐにアシオレヘ
たにやん、今度はメジナの記録更新狙ってます
サラシもいい感じ・・・・。
潮も適度に流れています。
若干のうねりもあります。
天気もやばそうな感じ・・・。
たにやん、がんばってます^^
果たして・・・・。
どうも昨日とは状況が違う感じです。
足元狙うと、こんなのが釣れます。
やっとのことで良型が出ましたが、
この一枚で終了です。



H27年 06月 02日 八丈島 小岩戸


2回目の小岩戸、今回は底物メインで
口白を求めてやってきました。
たにやん、口白を狙って仕掛け投入
たにやんは、初の小岩戸
魚八店長は、ルアーをメインに
小田君は、アカハタ狙いの胴付仕掛け
自分も底物狙いです。泳がせもやりたかったですが
なんせムロが釣れません。
やっぱり、今宵のたにやんは何かが違う。
ついにやってくれました^^
口白 56.5cm 3.44kgゲットです。
記録更新です^^
他、ワサ3枚にアカハタ2枚、ルアー不発でした。



H27年 06月 01日 八丈島 アシオレ(夕方~)


到着後、すぐにいつものアシオレヘ
「夕方~はまだフカセは行けますよ」との事で
たにやん、慣れないフカセ釣りに挑戦。
今宵のたにやんはいつもと違う。
初の30オーバーメジナをゲットしていた。
明るいうちから、バタバタと食ってきた。
エサ取りは多いが、うまくかわせれば
良型が期待できる。
最大48cmの尾長、実はこれより全然
デカイやつをばらしてる・・・。泣



H27年 05月 23日 南伊豆大瀬 黒根の離れ小根(第3回クラブキザクラ伊豆親睦大会)


AM3:30、いよいよ始まりました^^
参加人数は34名+役員の方々
大会ルール説明中です。
手前に写るのは船長、凄く親切な方で
釣り人の気持ちを理解してくれる人です。
大瀬の倉の下はほんとお勧めです^^
自分ともりねは抽選で2便の一番最後に
決まりました。見るからに凄腕の釣り師達が
続々と乗船していきます。
いざ!出航です。^^
みんな抽選で決まった番号で
磯を決めていきます^^。
二便出船がAM4:30頃??
途中で朝日が見えてきました^^。
それぞれ好きな磯に乗っていきます。
ここは鵜の根って磯だそうです。
自分達は一番最後なので、船長に任せて
空いていた磯です。
ここは、大瀬でも一番沖にある磯で
黒根の離れになる、小根って場所
小根も超一級磯なんですが、最近あまり
釣果が良くないらしいとの事で空いていた
ようです。
しかし、この磯は水深が30m近くあり
八丈島の磯に良く似ている^^
水深のある磯に慣れているので
自分達にはラッキーかも^^
もりねも気合十分^^海に一礼かな???
自分は痛恨のハリス切れが・・・。
事前にエド山口氏にハリスは2.5以下は使わないよと
アドバイスしていただいたのに、1.75使用で・・・泣
サラシもいい感じで出ています^^。
しかしここでもフグに泣かされます^^。
とにかくフグが多い・・・・。
これは黒根と小根の間の水道です。
幅は2m位あり、ここで良型が出たことも
あるようです。
さすがに根掛かりが怖くて攻めませんでしたが
ヒラスズキを狙ってルアーを投げ込みましたが
不発でした^^
どうですか?釣れますか?ってエド山口氏と
神保テスターが様子を見に来てくれました^^
だから、ハリス太くって言ったのに~って
言われちゃいました^^
検量中です。果たして結果は・・・・ 一位の方は二度目の優勝との事です
おめでとうございます。
恒例のシャンパンかけ~^^ で、これが自分たちの釣果^^
途中フグをかわす方法を見つけ
さらにイサキのタナが分かったので
メジナ狙いを諦め、イサキ釣りに
集中しちゃいました^^
メジナは30cn位のが2枚でした^^
最後に、エド山口氏、神保テスター、船長から
挨拶があり、終了しました。
今回、初参加でクラブキザクラ伊豆親睦大会に
参加して、非常に楽しく釣りが出来ました。^^
誘って頂いた、クラブキザクラの高橋さん
ありがとうございました。
帰り際に富士山が綺麗だったので
大瀬からの富士山を撮ってみました^^
念願のイサキのお造り^^
めちゃくちゃおいしかったです^^



H27年 05月 22日 南伊豆大瀬 カンムリ


明日からの第3回クラブキザクラ伊豆懇親大会参加に
向けて、初めての磯なので前乗りしてみた。
ここの磯の名前もわからないですが、こんな磯が
沢山ありました^^。
この磯はマタカネって名前らしいです^^。
自分たちが乗った磯はカンムリ^^
ヒラスズキもやりたい船長に伝えると
名前が微妙ですが、一級磯とのこと^^
エサ取りが半端ない、でも魚影は見えず
カワハギ釣りもしてみたが、
あたりが無い。まだ早いのか?
水深は15mほどでした。
右側に写っている磯際にこの後
しばらく良いサラシが出始める
立っている磯から100m位先
ぎりぎりルアーが届いた^^
ルアーを投げ込んでみると、数投目で
食ってきました^^
他のサラシでは全く食わなかったので
諦めかけていただけに超嬉しい^^
初ヒラスズキゲットです。
もりねが、エサ取りわかりましたと
フグを持ってきた。このフグはショウサイフグ。
こいつフグのくせにめちゃくちゃ泳ぎが速い
厄介なエサ取りです。
コマセワークで。とにかくフグを突破し
もりね、イサキゲット^^もりねは初イサキです。
今日の釣果は、ヒラスズキ65cmに
イサキ35cm位 4匹でした。
30以下の木端は多数釣れました^^



H27年 05月 05日 エースカップ表彰式


表彰式です。詳しくはエース釣具店のブログにて
確認してください。
一位  内藤君、二位  慎ちゃん
三位  賢二君 地元釣り師は強いです^^。
これは、前回ビーチタイムにて
大物賞だった、まゆみさんの尾長の魚拓を
魚八に展示させてもらいました。



H27年 05月 05日 八丈島 アシオレ 夕方~


前日の撃沈が悔しいので、
今日は釣りしないつもりだったが
また来てしまった。
すると、先に女性釣り師が
黒鰓会のまゆみさんだ^^
一人で釣りしている姿に感動^^
潮がかなり引いている・・・。
まゆみさんによると、イスズミが湧いているとの事
たしかに、付けエサは取られる。
ワンド側も潮が動いていない。
暗くなって前日同様にエサ取りが消えた。
沖目に遠投すると、バリバリっと
道糸が引っ張られ、合わせるとデカイ・・・。
しかし、痛恨のハリス切れ
その後、48cmの尾長ゲットで終了



H27年 05月 04日 八丈島 アシオレ 夕方~


横瀬では撃沈だったので、夕方狙いの
アシオレヘ再度・・・・・。
しかし、エサ取りだらけでこちらも苦戦。
暗くなると付けエサが残りだしチャンス到来かと
期待するも、何もヒットせずに終了



H27年 05月 04日 八丈島 小島 横瀬(ワダ)


大会二日目、今日は小島の横瀬の
セイズコウ側にての釣行
きんき・もりね・地元慎ちゃん
地元クニ君。
潮が全く動かない・・・。
ここは足元が食ってくるとの情報で
足元も攻めたがサンノジだらけ・・・。
慎ちゃんも苦戦。チビマサゲットしていた。
先端左側ではクニ君たちが
良型口太を連発している様子・・。
50オーバーの尾長も出たらしい。



H27年 05月 03日 八丈島 小岩戸 (エースカップ開催)


非常に広い磯、ここでみんな一緒に
大会したら楽しいだろうな~
潮がめっちゃ早い・・・。が、付けエサが残る。
そんな中。もりねがイスズミゲット
地元賢二君。40オーバーの口太が
一時、入れ食い状態に・・・。
最大、尾長55.8cmを釣り上げていた。
潮が緩み、口太が湧いているのが見える。
もりね、やっとメジナを掛ける。
思い思いに竿を出す^^
大型バラシもあり、楽しい~~^^
先端も良さそうだが、船着けでも
十分釣れるので移動しなかった。
本日の自分の釣果
賢二君はこの倍は釣っていた。



H27年 05月 02日 八丈島 南原 夕方~


いよいよ、明日からエースカップの開催です。
まずは試し釣りに南原へ
エサ取りが、非常に多い暗くなればチャンスかと
思いきやサバの攻撃で終了



H27年 04月 06日 八丈島 八重根低堤防


賢二君に誘われて、アカイカ釣りに挑戦です。
いたってシンプルな釣りですが
高級アカイカが堤防で釣れるとは^^
もりね、那帆ちゃんも挑戦です。
果たして釣れるか??
霧雨の中、那帆ちゃんもがんばります。 釣れました~~^^
しかも大きい^^うまそう~~^^
バタバタと釣れだしました^^
時合い30分で7ハイ^^
賢二君、北条君、木村君にも頂き
最高のお土産が出来ました^^



H27年 04月 05日 八丈島 小島 下立


昨日の船酔いも治らないまま、またも
抽選で遠い場所、下立へ
今日こそ3枚釣りあげて、入賞するぞ!
地元釣り師。木村君。
同じ、シマノ愛好者です^^
にしても潮が悪い・・・・。
対面のコウダテの先端で釣りをしているのは
賢二くん、北条君の地元凄腕釣り師
頻繁に、竿が曲がっていたが・・・・。
こちら下立はこんなのばっかし・・・。
他は木端、沖合で湧きグレらしき魚影も見えるが
ワンドでも口太の湧きグレもあるが・・・。
釣れない・・・・。
たまに来る、木端
沖に流すとモンガラと・・。
やっぱりこいつ・・・・。
おいしいからいいか^^
そして、大会は終了、表彰式へ
優勝は地元北条君
さすが、凄腕釣り師^^
第二位、まゆみさん
現役看護師です。
まゆみさんは大物賞もゲット!
なんと59cmの尾長です。
第三位、地元木村君
おめでとうございます^^
特別賞は石鯛60.5cm 4.16kg
白石さん^^自分の石鯛記録よりでかい・・・。
この三人、地元釣りチーム 黒鰓会のメンバー
自分も、もりねも入れてもらってます^^
黒鰓会、凄い!!
今回も、お世話になった優宝丸の船長
海の怖さ、船長の凄さ、優しさに感激しました^^
ありがとうございました。
今回は料理人として裏方で頑張って頂いた
黒鰓会の岡村さん、お世話になりました。
手前右のひろし君、今回は負傷を負いながらも
全力で頑張ってくれました。
若手船長として今後ともよろしくお願いします。
BEACHTIME RUDDERS 菅野太郎会長
今回もお世話になりました。
また来年、是非参加させていただきます^^
最後に船長、自分の船酔いを気遣って頂き
ありがとうございます^^
今後ともよろしくお願いいたします。



H27年 04月 04日 八丈島 小島 小地根真ん中


始まりました、ビーチタイムカップ
日本全国から集まった、プロ・アマの
磯釣り師達が集結です。
自分たちは前日の抽選で
小地根の真ん中に・・・。
果たして・・・。
賢二君、もりね、自分は船着けで挑戦
潮はあまり動いていない感じ
純君はセリ出ている磯の先端で挑戦。
これが正解!潮も流れていて頻繁に
良型を掛けている。
純君は絶好調、良型連発
その時、もりねは・・・・???
もりね、亀の手取りに夢中!!
賢二君に頂いた、専用工具で・・・
釣りより楽しかった模様^^
自分もなんとか良型を掛けたいが
潮が動かず、サラシに仕掛けが
負けてしまう。
突然、海の状況が変わってきた。
強風で賢二くん風裏に身を隠しています。
どんどん、海の状況も悪くなってきます。
地元賢二君と純君、危険を感じた模様
優宝丸船長へ連絡を入れ撤収要請
さすが地元のお二人、この判断が
この後に起こる大事件へとつながる。
オオモウ他の磯へ他の方々を回収しに
向かうと、海はとんでもないことに・・・。
オオモウ周り回収不能・・・。
なんとか挑戦するも、うねりが凄すぎ・・。
船を着けれる状況ではない・・。
船が着けないので徒歩で鳥打へ
船長が誘導して何とか救助成功
ちなみに先端にいるのはもりね
後ろに見えるは、自分です。
内藤君がオオモウから撮ってくれてました。
船の中はこんな・・・・・。
船酔いが半端ない・・・・。
この日の打ち上げ風景
壮絶な小島からの脱出を経験した
面々、地元の人の凄さを痛感しました。
鵜沢プロもまさかの経験でしたが
凄くプラス思考な考え方。
感動しました^^



H27年 04月 03日 八丈島 アシオレ 夕方~


いよいよ明日からビーチタイムカップです。
まずは試し釣りにアシオレへ
霧が激しい・・・・。
エサ取りは、さほど多くないがいる様子。
海は穏やかだが、潮はあまり動いていない 遠投しても、潮は動いていない。
なんとか、46cm尾長をゲットしました。 もりね、イスズミのBTF記録を更新です。



H27年 03月 21日 第三回バトルフィッシングカップin八丈島 表彰式


参加者の皆さん。ガールズスタッフも
大会に花を添えてくれました。
協賛していただいた、八丈島の酒屋さん
山田屋さんの社長と山本君と小笠原社長
左、優宝丸船長
真ん中、たかのぶ君親子
右、名手岡村さん、手前底物師矢野さん
サンラインフィールドテスター内藤君真ん中
右、主将  賢二君^^
では、いよいよ入賞者の発表です。
まずは口太の部から
第三位、47.2cm 1.6kg
島のベテラン、北条君
そして恒例の入賞イッキです。
5,000円 食事券ゲット
口太第二位、47.3cm 1.68kg
島民、たかのぶくん
お子さんの前でイッキ^^
5,000円 商品券ゲット
そして、第一位・・・・。まさかの・・・・。
おみさん、47.5cm 1.72kg
おいおい!!!!3万円ゲット
感無量のイッキ^^
めったに八丈来ないのに・・・。
身内でとっちゃ~だめだめ!!
続いて、尾長メジナの部第三位
なんとまたまた登場北条君
49.5cm 1.74kg
5,000円食事券ゲット!
第二位またまたなんと、たかのぶくん
この二人凄すぎです^^
51.1cm 1.84kg
5,000円商品券ゲット!
そしてそして第一位
ほんとにほんとにほんとにすみません
八丈島初50オーバーで優勝しちゃいました。
51.4cm 1.80kg
で、自分もやりましたよ^^
恒例イッキ!!30,000円ゲット
そして、こんなんで許して貰える訳もなく
主将賢二君から、ぽん酒のお祝いを
くっ~~~~~!!
嬉しいやら辛いやら・・・・。泣
賢二君はおみだって許しません!! そして、愛光観光様からの大物賞を
私とのジャンケンで獲得したおみさん
うん万円の偏光グラスを頂きました。
そして恒例のじゃんけん大会です。
今回も各社様からの協賛が凄かった。
高級鮮魚多数、年間無料渡船券
年間無料渡船って、365日x9,000円??
328万5千円???超絶すぎる!!
オキアミ券多数、最新のシマノバッカン
道糸やらサンラインの帽子、食事券
一回無料渡船券多数
商品券多数、ビール1ケース
ビール1ケースゲット~~^^
おめでとう~真由美さん
唯一の女性参加メンバーです。
サンラインキャップげっと!
りかちゃん、女性スタッフです。
賢二君に取られてる~~^^
慎ちゃん、高広君がんばれ~~
山本君じゃんけん強すぎ~~^^
またまた、身内の女性スタッフが
シマノバッカンゲット!!
賢二君、食事券ゲット~~^^
このツーショットもレアですね^^
まだまだじゃんけん大会は続きますが
なんと、じゃんけんに夢中になりすぎて
写真がありません・・・・。泣
そして、二次会へ突入~~^^
ものほんの、パラダイス銀河で
大盛り上がりです^^
真由美さん、来年は入賞期待してます。
慎ちゃん、優勝返り咲き期待してますよ^^
元アイドルと、島のアイドルが
夢の共演^^
慎ちゃん、デビューしちゃいますか~^^
おっと、今度は島のEXILE古山君と
このショットもレアです^^
みんな楽しんでくれてますね^^
良かった~~^^
身内スタッフと高広君に山本君
ほんとにお疲れ様でした。
高広君感謝です^^
今回の依頼を快く受けていただいた
山本君の事務所社長の小笠原さん
本当にありがとうございました。
最後にみんなで記念写真^^ みなさんお疲れ様でした。



H27年 03月 21日 八丈島小島 一の根


特別ゲストとして、元光ゲンジの
山本淳一さんに来てもらいました。
ほぼ初めての磯釣りだそうです。
事務所の社長がコマセ役に
徹して、大物をゲットすべく
頑張っていました。
一度も諦めることなく、ひたすら
竿を振り続ける姿に感動
さすがアイドル、諦めません。
前方に見える、カンナギ、中根
たくさんの皆さんが見えます。
中根には鉄筋屋さんの加納さんたちが・・。
頑張って~~
朝、6:00出船で夕方16:00まで
さすがに山本さんも疲れてきました。
デカイ当たりが2回、ありましたが
バラシたようで悔しんでました。
終了です。結果は表彰式のコーナーで
最後に記念写真。
山本さんお疲れ様でした。
そしてありがとうございました。



H27年 03月 20日 八丈島小島 一の根


大会も中盤です。今日から参加の
ゆみの、たにやんは底物釣り
最近スランプに入っている
たにやん、初の一の根です。
エサがそのまま残ってきます。
自分もフカセと底物の両刀
最近お気にの、ホワイトキングで
しかし水温が低すぎます。
裏側では同じく今日から参加のおみ
先週からいる、もりねとフカセ釣り
しかし、潮が全く動かず
水温15度で苦戦。
エサがそのまま残ります。
角側でおみ、良型を掛けるも
痛恨のハリス切れ・・・・。涙
エサが取られない状況がずっと
続いています。・・・・おみ苦戦!!
自分も何とか沖に流したいのですが
全然流れて行きません・・・。
最後に一の根で記念写真を
結局この日は最後まで潮も動かず
石物は撃沈でした。
フカセは最後まで諦めなかった
もりねが口太と尾長の良型をゲット
尾長は46cm 1.52kgでした。



H27年 03月 18日 八丈島 南原 夕方~


大会中休みです。
本日は南原で釣行
風も弱く、非常に釣りやすい
しかし、エサは取られず・・・。
釣りをしたいと、エムズスタッフが
合流です。
磯釣りは難しい~~~。
仕掛けが全然馴染んでいない(笑)
慎ちゃん達も合流^^
木端は釣れるんですが・・・。
結局木端メジナを数匹と
イスズミ30cm位の釣って終了



H27年 03月 15日 八丈島 アシオレ


前日の小島情報があまりに良くないので
朝からアシオレで挑戦、風もさほど強くなく
釣りやすいが、なんせ水温が安定せず
かなり低く感じる。
エサ取りもいない状況が続き、重めの仕掛けで
底を攻めると、ブダイのラッシュ・・・。
潮が右からもろ根へゆっくり流れていて
もろ根側に投げ込むと良型ヒット・・・。
しかし、痛恨のバラシ・・・。泣
そんな中、もりねがやりました。
口太45.8cm 1.5kg
久しぶりの良型で嬉しそうなもりね
魚八店長は、フカセを諦め
餌木でアオリイカゲットです^^。



   当メンバー以外の釣果は
      エース釣具店のブログ http://blog.goo.ne.jp/hachijo-ace/
      黒鰓会のブログ http://blog.goo.ne.jp/11-03-kk-9-05-ak
   をご覧ください。^^



H27年 03月 14日 八丈島地磯 アブラト


いよいよ始まりました。BTFカップ
総勢38名の釣り師が、入賞をめざし頑張ります。
先端で石物師が竿を出していたが
全然ダメとのこと・・・・。
西風が強く風裏になるアブラトで挑戦です。
風の影響もなく、うねりも無いですが
時折降る雨と雷・・・。危険危険
雷が鳴るたびに竿をたたむの繰り返し。
水温が低く17度ほど・・・。
エサ取りもいません・・・もりね、
小型の真鯛、サンノジゲットです。



H27年 03月 13日 八丈島 アシオレ 夕方~


いよいよ、明日から第三回BTFカップです。
まずは試し釣りにアシオレヘ
しかしかなりの強風・・・・。
先端は被っていて釣りになりません。
付け根側で挑戦するも、強風で仕掛けが
馴染みません・・・。
もりね、良型のカサゴゲット
もりねも苦戦してます。
暗くなってきたところで島の賢二君登場です。
さすが賢二君、46cm 1.36kgの尾長ゲットです。



H27年 02月 08日 八丈島 軍艦堤防


軍艦堤防に朝日が昇ってきた。
風は南西の風、強風
潮があまり動かない。
ガゼは秒殺、ウニ芯、カニも秒殺
かなり小さいワサが多数いる感じ。
ワサ2枚ゲット、しかし小さい。



H27年 02月 07日 八丈島 (アシオレ)


今日は多少風も弱くなり、好きな場所
アシオレへ・・
先に木村君とまゆみさんが竿を出していた。
潮はあまり動いていない。
左はまゆみさん、右は応援に来た北条君 ひな壇。左は木村君、右はゆみの氏
コッパは入れ食い。



H27年 02月 06日 八丈島 南原


魚八店長と南原で、
何処の磯も人でいっぱいだが
かろうじて空いていた。
うねりが強く、少し危険を感じる。
風もかなりの強風
明るい内はコッパが多数釣れるも
良型は姿を見れず、暗くなると
餌がそのまま残ってきた。



H27年 01月 14日 沖縄県 一文字堤防 赤灯台


沖縄に来ても強風です。
南西の風強風
ぶっこみ釣り、キビナゴ餌で
ぶっこんでみると、頻繁に当たるが
針に掛からない・・・。
風は左から強風で
仕掛けが安定しない・・・。
船着けの階段で風を避けるが
あまり意味ない・・・。
風から逃げて、反対のテトラ側で挑戦するも
水深が浅く、根掛かりばかり
中国船がいるのか?
海上自衛隊の船がいました。
強風の中、なんとか自分がコイツをげっと
現地名イシミーバイです。
正式名称はカンモンハタです。
おみは、カゴ釣りでコイツ。
現地名はわかりませんが、
正式名称はホホスジモチノウオ



H27年 01月 06日 八丈島 ヨノモウ


またまた西風・・・。
でもさすが、平日!、磯はガラガラ
べた凪です。潮はあまり動いていない。・・。
夕方暗くなって、だんだん型の良い
メジナが釣れてきたところに
突然の雨・・・。海も荒れてきて撤収・・・。



H27年 01月 05日 八丈島 アシオレ


今日は北東の風、やっとまともな釣りが出来ます。
大好きなポイントアシオレです。
エースの若旦那、高広君
今年初の磯入りです。
自分が足腰弱いので、餌を運んできてくれました。
そこで、せっかく磯に来たので竿を渡し、
すっごい久しぶりのフカセ釣りです。
夕日が沈みます。
すると、地元賢二君が応援に・・・。
で、この釣果! 53cmは賢二君
さすがです。一時40cmオーバーが入れ食いになり
その後、止まったので遠投して53cmを
ヒットさせてました^^



H27年 01月 04日 八丈島 軍艦堤防


久々の軍艦堤防、やっと石物釣りが出来ます。
たにやんも気合入ります。
ワサが湧いているのか、あたりは頻繁にあり
ガゼは数秒でなくなります。
当たるのに食い込まない・・・。 ウニ芯を用意するたにやん!
結局たにやんはアオカンを釣って終了
今日はカゴ釣りのもりね! もりねは、サビレを多数釣って
それなりに楽しんでいました。
この日の釣果こんな感じです。
自分もなんとかワサを2枚ゲット
1枚は放流し1枚はお土産に
確保しました。
もりねとたにやんは帰省しましたが
自分は黒鰓会の打ち上げに参加しました。
恒例の優勝イッキ・・・。これなんとテキーラ
怖すぎます。!



H27年 01月 03日 八丈島 大サリヶ鼻


今日も西風が強風
釣り場も人気磯はいっぱいなので
新たな場所大サリヶ鼻
水深は6~7m位で、昨日よりは、やりやすいが
エサ取りは半端なかった。重めの仕掛けで投入すると
ブダイばっか。イスズミも多い
途中、サメが湧きだし
魚がみんな食われてしまう。
良い感じなんだけど・・・・。



H27年 01月 02日 八丈島 長根ガヒシ


西風が強風で、東側の人気磯は
何処も釣り人でいっぱいなので
初めての磯に入ってみました。
風裏で何とか釣りが出来たが
潮が沖から手前に流れていて
磯際に仕掛けが張り付いてしまう。
サラシもぐちゃぐちゃで仕掛けが馴染まない・・・。
それでも、コッパが入れ食いになった。
もりねが珍しい魚をゲット
イシガキハタと言うようです。




   




Copyright © 2004-2012 Isotsuri All rights reserved.