H26年 11月 25日 全日本磯釣り連盟 表彰式


全磯主催の第46回全日本釣り選手権大会の
関東支部表彰式に参加してきました。
なんと、底物師のゆみの氏が
フカセで初のメジナが優勝しちゃいました^^
全国大会の優勝は残念ながら
ダメでしたけど、来年は
内閣総理大臣賞狙いたいですね^^



H26年 11月 19日 八丈島 アシオレ 夕方~


これがラストの釣りです。
今日こそはでかいのやっつけたい。
海も穏やかで、風も弱く、釣りやすい・・・。
しかし、今日もエサ取りが多く苦戦です。
足元を集中的に攻めてみる
コッパは入れ食い、でかいイスズミも大量に・・・。
この竿を曲げている正体も
でかい、イスズミ・・・・。
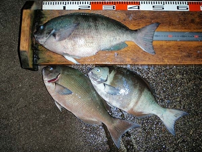
結果、38cmの口太・・・。
これで終了でした。・・・。



H26年 11月 19日 八丈島 藍ヶ江港


久しぶりに藍ヶ江港に来ました。
朝一エサ取りも無く、厳しい状況
ウニ殻を少しずつ入れながら
魚を寄せてポイント作り
AM10:00過ぎ、ようやく
当たりが出るようになった・・・。
先端のカゴ師も不調な様子
何も釣れていない・・・。
何とか数回竿が入り、ワサ2枚確保しました。



H26年 11月 18日 八丈島 アシオレ 夕方~


再びアシオレ、実は朝一小島の
一の根に渡船したが、写真を
撮り忘れてしまった・・。
ワサ7枚にアカハタ2枚ゲット
すっかり上物師も
さまになってきた、ゆみの氏・・・。
一の根ではワサを4枚ゲットしていた。
暗くなってきました。今日も出るか・・。
エサ取りが非常に多い
でかいイスズミも見える。
なんと、コイツが食ってきた。
アシオレでは初の真鯛40cm程
最近多いとの事。
メジナはダメでした・・・。



H26年 11月 17日 八丈島 アシオレ 夕方~


2便で到着後、アシオレにて
夕方からのフカセ釣り
エサ取りが多い
魚八店長は、イカ狙い。
しかし、あたりは無いとの事。
真っ暗になって、エサが残る瞬間があり
足元を攻めると食ってきた。
47.5 cm 1.42kg 尾長メジナ



H26年 10月 20日 八丈島 アシオレ


小島から帰ってきて、次は夕間詰めの
フカセ釣りに再びアシオレへ
今日が最終なので、気合十分
餌も三日入れているので、出るかも
明るい内は、コッパやらイスズミやら
ダツやら、相変わらず激しいエサ取り
しかし、暗くなってくると、エサが残る時が・・。
その時、掛けました^^・・・。
上がってきたのは、こいつたち!!
尾長40cm、口太44cm・・・。(泣)
あと、数センチあったら、磯連の大会にエントリー
できたのに・・・・・。残念!!



H26年 10月 20日 八丈島 八丈小島(一の根)


堤防の活性が低いので、小島へ渡船
カンナギに乗りたかったが、先客がいたので
実績のある一の根へ
早い潮のイメージが強い、一の根ですが
今回は、全然潮が緩くてビックリ。
竿は頻繁に入るも針に掛からないので
手持ちに変えて、送ってあげると針に掛かった・・。
上がってきたのは、初の40cm程のキンダイ!
一緒に上がった人もワサばっかし・・。
かなり小さいワサが大量にいる様子。
風は南東が強く、裏のフカセ場で
やっていたが、潮も動かず
当たりも無いので、船着けにやってきた
数投目でウキが入り、結構な引きの中
上がってきたのが、コイツ!!
ツムブリ80cm位かな^^
裏でひたすらやっていた魚八店長は
数回当たるも、手前まで寄せて
切れたらしいが、犯人わからず。
カゴがダメなので、ぶっこみで
アカハタ狙ったが、全然ダメ
今度はルアー試すも、何も追っかけてはこなかった・・。
石物の結果はワサ4枚
最大でも、2kg位で終了
写っているカンパは貰い物^^



H26年 10月 19日 八丈島 アシオレ


夕方から、アシオレに移動して
メジナ狙いのフカセ釣りです。
しかし、エサ取りが激しい。
薄暗くなって、数回デカイヒットが
あったが、上げることが出来なかった。
魚八店長登場!!
ルアーでアカハタ狙いです。
しかし、上がってきたのは
カイワリのみ。



H26年 10月 19日 八丈島 八重根低堤


今度こそ口白を・・・。
しかし、活性が低く竿が入るも
針に掛からない・・・。
1便でおみさんが合流。
シマアジ狙いのカゴに挑戦
しかし、棒ムロが湧いていて
釣りにならない
そんな状況でも、さすが地元の
やまちゃん、格闘中!!
上がってきたのは良型スマ鰹!
他にも数人あげていた。
さすがに日曜日、堤防は大勢の
人で大盛況です。^^
カンパなんかも上がっていました。



H26年 10月 18日 八丈島 八丈小島


先週の釣行に納得がいかず、
再度やってまいりました。
飛行機の中から小島が良く見えたので
地元慎ちゃんが一の根に渡って
いるらしいが、イスズミだらけとの事
夕方~アシオレで竿を出したが、
エサ取りに苦戦でボーズ



H26年 10月 10日 八丈島 八重根低堤


今日が最終日です。
うねりも小さくなって、なんとか釣り出来ます
カゴ釣りでは、良型のシマアジが上がっている。
潮は早いが、なんとか出来ます。
でも、真冬のような海、
水温は27度あるのに・・・。
結局、アオカンで終了・・。



H26年 10月 09日 八丈島 アシオレ


また、夕方からのフカセ釣り
しかし、海はこの状況で大荒れ・・・・。
すでに3人のフカセ師も入っていて
エサ取りが非常に多い・・・。
一度、強烈な当たりがあるも
ハリス切れ・・・。(泣)



H26年 10月 09日 八丈島 八重根高堤防


なんと、昨日あれだけエサを
入れたのに、うねりが大きく
低堤で釣りが出来ません!!
しかたなく、高堤防で開始です。
期待薄でしたが、何気にあたりが、あり
3回も竿が入り、コワサゲットです^^



H26年 10月 08日 八丈島 アシオレ


夕方からのアシオレで内閣総理大臣賞
狙いのメジナフカセに挑戦。
今日は皆既月食!初めて見た^^
すっかり釣りに夢中で
写真撮り忘れてましたが、
なんと!、明るいうちにこのサイズ!
釣ったのはこの人!
ゆみの氏、フカセ釣りほぼ素人
最近調子いいですね!
46cm 1.32kg 口太メジナ
バトルフィッシングの看板前で



H26年 10月 08日 八丈島 八重根低堤


うねりも有り、たまに被ってくる。
たにやん、カウントを慎重に確認
ゆみのもカウント見ながら同じ
ポイントを攻める。
しかし、あたりは少ない・・・。
ウニ殻2体撒いて魚を寄せるも・・。
潮も早い・・・。風も強い
根掛かり多数で苦戦。
自分も少し左向きに竿を出して
強風に立ち向かうも
すぐに、竿が右を向いてしまう。
こんな鳥もやって来た・・。
なんて名前だろう??
今、あたってます!!
でも、写真じゃわからないですね^^



H26年 10月 07日 八丈島 八重根低堤


2便で到着後、明日からの本番に
向けて、試し釣り・・・。
久しぶりのたにやん、しかし
台風のせいなのか?
当たりが少ない・・・。



H26年 09月 12 伊豆大島 泉津港


今日も同じ場所で挑戦!
明るいうちはキビナゴや
切り身をエサに青物狙い。
色々と釣れて、楽しい~~ 自分も7種目ほどゲット^^
小さいけど、八丈より魚影は濃い
結局この日は、20枚のイサキゲット
暗くなると、こんな珍しい魚も・・・。
沖合遠投で釣れる。
クロシビカマス。美味しい魚です。



H26年 09月 11日 伊豆大島 泉津港


初大島です。狙いはイサキ
夕方3時ごろからエサを撒き
魚を寄せます。
今回、企画していただいたYANAさん
お世話になりました。
まだ明るいので、カワハギや
ルアーをやってみた所
カワハギはまったく釣れず
このサイズのワカシとカンパチが
フカセとルアーで結構釣れた。^^
暗くなると、このサイズのイサキが
初日30枚ほど釣れ、大成功^^



H26年 09月 03日 八丈島 八重根低堤


今日は、なんとかお土産を釣りたい
この時期にしては、エサ取りも少なく
デカイのが来る予感
右は中釣り、左は底と釣り方を
替えて、二刀流です。
だんだん堤防は大混雑^^
でも知り合いばっか・・・。
明日帰るのでお土産よろしくと
地元の皆さんにお願いしました。^^
で、今回の最大魚です。
52cm  2.9kgでした。
顔は口白の顔してます。
釣ったのはゆみのさん^^前回に
引き続き記録更新です。
地元の人からも頂き、お土産
確保できました。^^



H26年 09月 01日 八丈島 藍ヶ江港


八丈島到着後、夕方から
タマン狙いで藍ヶ江港に来た
底物初挑戦のもりね
バッククラッシュに苦戦
釣れないな~~~~~
大雨で土砂崩れがあり、海は
茶色になっている。これじゃね・・・。



H26年 06月 17日 城ケ島 居島新堤


約一年ぶりの新堤防
海はやはり子鯖が半端なく
陸にはブヨが半端なく・・・。地獄だ
石物最近調子が良いとの事だが
特に怪しいあたりも無く撃沈
ヤド・磯ガニ・サザエ
たにやんは穴釣り・・・。
子メバル一枚で撃沈
カワハギは良型中型合わせて8枚
帰りの渡船で記念写真
八丈島慎ちゃん・ゆみの・たにやん
お疲れ様でした。



H26年 06月 16日 城ケ島 西崎の磯・ホテルの下(夕方~)


夕方からの釣り場を求めて
西崎の磯を見てきた。
水深は浅く、3~4mと思われる
潮もあまり動いていない。
ホテル下のポイントに来てみた。
ワンドのような感じで、良さそうなので
竿を出した。
子鯖が湧き、釣りにならない・・。
しかしさすが八丈島の凄腕釣り師
慎ちゃん、1.5号ハリスに戸惑いながらも
子鯖を突破し、良型の魚を掛ける。
上がってきたのは、40cmほどのアイゴ・・・。
でもこういう状況でサバを突破する技術
さすがです。・・・。
その後も、同サイズのアイゴを掛けて終了・・・。
地磯の厳しさをわかって貰えたようです。



H26年 06月 06日 八丈島 南原(夕方~)


なんと、飛行機が飛びません。
もう2日延泊しています。
明日は帰れるのか??
高広君も応援に
PM8:00過ぎにようやく暗くなり
エサ取りも減り、良型が・・・・。
店長が大鯖で大興奮
美味しくないことを知らない・・・。
まだまだ夕方からのメジナは行けますよ
大型はバラシましたが44cmの尾長
40オーバーのイサキゲットです。



H26年 06月 04日 八丈島 アシオレ(夕方~)


渡船から帰ってきて、夕方からの
フカセ釣りです。
エサ取り多数。暗くなってから
良型を掛けるもハリス切れ。



H26年 06月 04日 八丈島 モロ根


初八丈島に上陸の庄屋北千住店 店長
自らお店の仕入にと
釣りに初挑戦
まずはサビキでムロ鯵を釣って
泳がせ釣りに挑戦したいのだが・・・。
ムロ鯵が釣れません・・・。
結局泳がせは出来ずに終了
自分は石物、この時期はエサ取りや
小型のワサで厳しいのですが・・・。
水温26度だった。
初の渡船にも挑戦で、この笑顔
明日の一便で帰ります・・・。が
この後店長の顔が、引きつることに・・。
なんとか食べごろのワサを
4枚ゲットしました。・・・。



H26年 05月 07日 八丈島 アシオレ(夕方~)


夕方からはアシオレでフカセ釣り
なんと、こんなやつが釣れてしまった。
フカセ釣りでコバンザメ
しかも釣りで出会った魚たち記念の
100種目目です。
どうやら大型のエイが見えたので
それに附いていた様子。
ネットで調べたら、刺身で食べれるとの事で
早速食べてみた・・・。
旨くも不味くもなく、無味だった・・・。



H26年 05月 07日 八丈島 八重根低堤防


今日は東の風なので、八重根堤防へ
石物とルアーに分かれて挑戦
石物はワサ1枚で終了
ルアーは魚八店長がご覧のように
掛けたが痛恨のバラシ
鯖子が湧いている。沖合では鯖子を
食いに青物が見える



H26年 05月 06日 八丈島 アシオレ(夕方~)


大会は終了したが、お土産用の
メジナを釣ろうと、夕方から
アシオレへ、しかし北西の風が強く
先端で釣りが出来ない・・・。
左横から、もろ根方面を向いて
チャレンジ。
しかし、コッパが激しい・・・。
暗くなってからの30分ほどの間で
何とか40cmオーバーを1枚ゲット
その後は、テリエビスなどの
エサ取りで終了



H26年 05月 05 八丈島 軍艦堤防


大会最終日、しかし西風が強く
釣る場所が無い・・・。
なので、フカセを諦め石物チャレンジ
ウニ殻入れるも、こまかいあたりのみ
ワサしかいない様子。
のんびりとした空気が流れる
ゆみの師ワサ1枚ゲット
もりねは、泳がせ釣りにチャレンジ
ムロを釣って泳がせてみた・・・。
すると、あたりが・・・。
何処で合わせていいかわからず。
痛恨のすっぽ抜け・・・(泣)
エースカップ表彰式
さすが太郎君、やはり入賞しましたか
48.4cm 小島オオモウにて
2位獲得です。
1位は宮澤さん
48.7cm 小島横瀬にて
恒例のカップイッキです。
これが怖くて優勝できない人も
いるとか・・・・・・。
大会委員長の地元慎ちゃん。
何故かイッキ^^
今回はさすがの慎ちゃんも
撃沈だった様子。
釣りの話でみんなが盛り上がる。
今回は、ジャスト40cm 賞に
自分が入賞も出来ました。
大会結果です。



H26年 05月 04日 八丈島 アシオレ(夕方~)


神子様があまりに不調だったため
夕方からアシオレへ移動。
石物師からフカセ師に変更のユミノ氏
もりねも頑張る・・・・。
しかし、今日のアシオレは完全に
凪・・・。コッパが湧いていて
釣りにならない。
それでもなんとか夕方のコッパが
いなくなったタイミングで同サイズの
44cmクラスを他2枚他の釣果だった。



H26年 05月 04日 八丈島 本島沖磯(神子様)


初上陸 本島沖磯の神子様
詳しくは、釣り場情報に記載しています。
船着け場所の低い場所、ここは
水面にも近く釣りやすいが
この後、うねりでビシャビシャに。
一段高い場所に避難し、石物挑戦
しかし、ウニ殻2体撒くも
まったくあたりが無い・・・・。
こちらは船着け逆側の水道と
呼ばれる場所。
メジナの好ポイントとの事だが・・・。
うねりがきつく、釣りにならない。
潮は右から左の陸側に流れる
もりねは、ずっと水道を責めるが
釣れるのは、コッパとササヨ
まっ!どこでやっても同じだったが・・。
上部を見ると、黒砂砂丘の突進が見える
たまに観光客が顔を出していた。
荷物がうねりで流されないように
高場へ移動



H26年 05月 03日 八丈島 南原(夕方~)


今日からエースカップの開催です。
しかし、海は時化・・・。西風が
強いので、午前中は諦め軍艦で
石物狙い、その後夕方から南原でフカセです。
結果、やはりこのサイズしか
釣れません。ちなみに
軍艦での石物はぼーずだった。



H26年 05月 02日 八丈島 南原(夕方~)


明日からエースカップの開催です。
フカセ練習中のユミノ氏
だいぶコツを掴んできたようです。
しかしうねりが気になる。
もりねも大会に向け、感覚を
取り戻すべく、チャレンジ
そして、今日の最大魚
44cm このサイズが多い様子。



H26年 04月 06日 ビーチタイム杯 表彰式


表彰式!今回は大しけの中
名人達も苦戦したようです。
普段は50cmオーバーが出る大会ですが
今回はすべて50cm以下でした。
最大魚3匹の総重量で決まります。
優勝したのは、佐藤さん!
なんと4度目だそうです。素晴らしい!
私は、5位入賞でした。
2次会はエムズでカラオケです。
貴重な鵜澤さんの歌声も聞けました。
みなさん、お疲れ様でした。



H26年 04月 06日 八丈島 (アブラト)


大会最終日、昨日よりも大しけ
やる場所が無い・・・。
どうにか、アブラトなら出来そうと
チャレンジ
先端部分、うねりと強風で
ビシャビシャに・・・。
バッカンは飛ばされ、まき餌が・・・。
まったく魚の反応が無い・・。
夕方からに期待したが、結局
もりねがサンノジゲットで終了



H26年 04月 05日 ビーチタイム杯初日終了 打ち上げ会


全国から磯釣り名人達が集結です。 総勢30人以上!!
ビーチタイム会長の太郎君
凄腕磯釣り師です。
大会実行委員長の鵜澤政則氏
なんと鵜澤さんですよ・・・!!!
ダイワ・キザクラのあの鵜澤さんです。
鵜澤さんを囲っての釣り談話^^
ちょくちょく女性の話になってましたけど
初日入賞者^^
なんと自分が入ってしまいました。
もりね、鵜澤さんとツーショット!!
凄い!でもその凄さに気づいていない
もりね・・・・・。
いつもお世話になっている、地元
名人黒鰓会のメンバーと鵜澤さん
これだけで大満足です^^



H26年 04月 05日 八丈島 アシオレ (場所替え)


あまりに釣り辛いので、ダメもとで
アシオレに移動してきました。
やはり大しけ、バンバン潮をかぶりながらの挑戦。
しかし、魚の活性は高い!
コッパが大量に湧いている。
付けエサが残らない。
夕方に期待。
アシオレ八重根側
こっちは横風強く釣りにならなかった。
これが釣果、やはり夕方から
コッパがいなくなり、44cm 1.2kgを頭に
既定の3匹を釣り上げた。



H26年 04月 05日 八丈島 ヨノモウ (右側手前)


いよいよ始まりました。ビーチタイム杯
西風強風で海は大しけ
やる場所無くヨノモウの右側へ
沖へ30m位まで浅く沖のサラシ
あたりで深くなっている。
遠投したいが、風が強く飛ばない
一度良型が掛かるも根ずれで
ラインブレイク・・。泣
本来のヨノモウ、しかし中間より
先は被っていて近づけない。
一番手前で、ビーチタイム杯の参加の方が
チャレンジも苦戦している。



H26年 04月 03日 八丈島 アシオレ 夕方~


明後日から、ビーチタイム杯
今日は試し釣りに44cm他ゲット
もりね痛恨のデカバラシあり。



   当メンバー以外の釣果は
      エース釣具店のブログ http://shoden.ddo.jp/~hachijo-ace/
      黒鰓会のブログ http://blog.goo.ne.jp/11-03-kk-9-05-ak
   をご覧ください。^^



第2回バトルフィッシングカップを振り返って


  入賞者の詳しい詳細は、トップページより

  第二回バトルフィッシングカップ結果発表をご覧ください。

  今回協賛頂いた、エース釣具店様、優宝丸様、黒鰓会様

  をはじめ、各種賞を提供して頂いた皆さん、

  大会に参加頂いた皆さんに大変感謝致します。

  ありがとうございました。

  来年も、もっともっと楽しい大会にするべく努力致しますので

  参加のほどよろしくお願い申し上げます。
   良い笑顔です^^また来年もお願いします^^



H26年 03月 09日 第二回バトルフィッシングカップin八丈島表彰式


参加者の皆さん。エムズガールも
大会に花を添えてくれました。
今回参加して頂いた、南鷲会の皆さん。
美味しいウィンナーも差し入れして頂き、
大会を盛り上げて頂きありがとうございます。
優勝候補の太郎くん、エース若旦那
黒鰓会会長の古山君、同じく優勝候補慎ちゃん
地元賢二君に、BTFのメンバー
では、いよいよ入賞者の発表です。 まずは、BTF賞入賞者から、
オキナメジナの部49.3cm 3.26kg
いや~~デカいです^^1000円ゲット
フカセ、イシダイ部58.5cm 3.68kg
これが、底物で釣りたいです^^
1000円ゲット^^
ニザダイ61.2cm 2.96kg
デカイ~~~^^60オーバー^^
木村君2000円ゲット^^
口太メジナ48cm 1.82kg
さすが太郎君^^まさかの口太狙いに
方向転換して、5000円見事ゲット。
では、上位三名の表彰です。
まずは口太3位入賞46.6cm 1.76kg
サンラインフィールドテスター内藤君
今回は表彰式に参加できずエース若旦那が
代理で表彰です。食事券ゲット
毎回恒例の入賞者の日本酒イッキ飲み
高広君、代理で飲むはめに・・・・。
もうフラフラです^^
ありがとうございました^^
今回も、たくさんありがとうございました。
また、来年もよろしくお願いします。
口太の部第二位
47.4cm 1.92kg
すみません、自分が取りました^^
一位より重いのに大きさで・・・泣
そして、口太の部第一位です。
やはりこの人^^太郎君です^^
48.0cm' 1.82kgです。
さすがです^^皆さんの期待に応えてくれます。
口太優勝賞金30,000円 + BTF賞5,000円
35,000円ゲット~~~~~^^
そして、やっぱり日本酒イッキ^^
なんか、これが怖くて優勝者がいなくなるとか・・。
なにはともあれ、おめでとうございます。
二次会は、エムズにて
全てをやりきった釣り師は、
楽しい宴で終了です^^
レッツ!!ダンシング
みんなまだまだ元気です^^



H26年 03月 09日 八丈島 (ウロウ根)


今日は悩みに悩んで、ウロウ根に渡船です。
自分は前日同様、両刀使いで
底物、フカセチャレンジ
もりねは、フカセ一筋
潮は、ゆっくりと港方向へ流れています。
てっちゃん、北斗の拳ラオウのポーズ
最終日果たして・・・。
ゆみのさんは、底物・・・。
果たして、今日は・・・。
潮は緩いが、今日のウロウ根は大正解
尾長45cmクラスが入れ食い状態に。
もう底物との両刀は出来ません。
てっちゃんは、足元狙いに切り替え、
何回も、ハリスをブチ切られる・・。
正体不明・・・。
海は穏やか・・・。
小雨は降っているが、釣りやすい^^
もりねもコンスタントに、尾長を釣り上げていく
しかし、型が出ない・・・・。
ゆみのさん、やりました~^^
自己記録更新の良型^^
しかし・・・・。53cm 2.76kg
痩せていて入賞ならず。
最後にバトルフィッシングメンバーで
記念写真。たにやんは結局ボーズだったが
他のメンバーは非常に楽しい釣りでした。
てっちゃん、足元狙いで唯一上げたのが
コイツ。真鯛41cm  しかし、
5号ハリスを何度もブチ切っていったのは
コイツでは無い。・・・。犯人は???
ウロウ根の釣果がこれ、なんと一部
放流も合わせたら、何匹だったのか??
いや~~釣りは楽しい^^



H26年 03月 08日 八丈島 本島 (黒崎)


大会3日目です。今日は東京から
バトルフィッシングの最強チームが
合流です。10時便でやってきます。
自分は、底物とフカセの両刀使いです。
もりねは、潮に乗せながら
フカセ一筋。早くみんな来ないかな~~~。
来た来た~^^てっちゃん、ゆみの、たにやん
早速ウニ殻を撒いて、準備に入る
ゆみの、たにやん。
1年ぶりのてっちゃん、入賞目指し
ニュー仕掛けを持参で登場
今日は、本石狙いだよ~~^^
たにやん、ひたすら竿先を見つめる。
しかし、まったく当たらない。
当たらないな~~~~。
魚いるのかな~~~~。
水温低いしな~~~~。
潮があまり動いていないが、
仕掛けを馴染ませながら、なんとか
当たりを待つ・・・。
自分も、軽い仕掛けで沖合を狙ってみる
そして、今日の釣果がこれ
底物は不発でした。
黒崎は、口太だらけ・・・。



H26年 03月 07日 八丈島 地磯 南原


今日は大会中休み
もりねと夕食の魚ゲットに来たが
北西の風強く大しけ・・・。
潮も動かず、風も強く仕掛けが馴染まない。
結局、もりねがカゴカキダイを
ゲットして、あまりの寒さに帰宅。



H26年 03月 02日 八丈島 地磯 南原(夕方~)


今日は朝から大雨・・・・。
気持ちが落ちるが、なんせ大会中
大雨の中、地元賢二君、古山君と
4人で南原へ、賢二君に安全な釣り場を
譲って貰い、何とか入賞サイズの
口太をゲット47.4cm 1.92kg



H26年 03月 01日 八丈島 地磯 アシオレ(夕方~)


小島から戻ってきて、夕方からの
チャンスを狙って、アシオレへ
しかし、尾長44.5cm 1.34kg
デカイのがほしい~~。



H26年 03月 01日 八丈島 小島 中根


いよいよ始まりました。BTFカップ
総勢35名の釣り師が、入賞をめざし
頑張ります。
きんき・もりねはYANAさんと
小島は中根に渡り、YANAさん
尾長44cm 1.48kgゲット~~
もりねは、中根で人気の角へ
潮も引いて来たので、先端まで
行ってみたが、いまいち・・・。
きんき・もりねの釣果。
良型が出ない・・・・。
尾長45cm 1.34kg 口太45cm 1.36kg
でした。



H26年 02月 28日 八丈島 アシオレ(夕方~)


いよいよ明日からBTFカップです。
まずは試し釣りにアシオレへ
今日は風も弱く、非常に釣りやすい
気温も暖かく、いい感じ
まずは手堅く、もりね口太ゲットです。 自分は、スマ鰹^^
今晩のおかずゲット~~^^



H26年 02月 04日 八丈島 南原(夕方~)


今日は、地元の凄腕釣り師、賢二君も
来てくれて、楽しい釣りに・・・。
しかし、自分はヒットするもすべて
ハリス切れ???5号なのに・・・。
さすが、地元コンビはコンスタントに
釣っていく・・・。凄い^^
お腹の中には、なんとアオサがいっぱい
だった。これはもしかしたら・・・。



H26年 02月 03日 八丈島 アシオレ(夕方~)


今回は一人で八丈島へ
地元慎ちゃんが、危ないのでと
一緒に釣りに来てくれました。
風も無くいい感じだが、まだ水温が
少し上がったのか?エサ取りが
多数(コッパ)苦戦それでも慎ちゃんは
尾長35cmをどうにかゲット



H26年 01月 02日 八丈島 南原(夕方~)


今年の初釣りで、慎ちゃん、魚八店長と
しかし、海は大荒れ・・・。
さらに相変わらず水温が低すぎる。
もう海は真っ白・・・。
浮がどこにあるのか????
まったくわかりません・・・。
魚八店長も、あまりの荒れ模様に
茫然・・・・。
それでも、年明けの初開店の魚を
ゲットしたく、頑張る魚八店長。
しかし、そう簡単には釣れず。
結果、慎ちゃんがスカエースを釣って
初釣りは終了




   




Copyright © 2004-2012 Isotsuri All rights reserved.